28 КАТАЛОГ – Страница 11
ID: 5959
293
Вислянская узкоколейная железная дорога находилась в Койгородском районе республики Коми и Гайнском районе Пермской области.
Начальным пунктом узкоколейной железной дороги был посёлок Нижняя Турунья (c 1977 года официальное название —
Нижний Турунъю), ...
ID: 5960
144
Страница является незавершённой. На снимках: разрушенная главная станция в посёлке Нижняя Турунья.
На странице 7 изображений. Размер каждого изображения — около 500 КБ.
01.10.2011
01.10.2011
01.10.2011
01.10.2011
01.10.2011
01.10.2011
01....
7 вложений
ID: 5961
80
Железная дорога широкой колеи (вероятно, предшествовавшая узкоколейной железной дороге)
на топографической карте масштаба 1:200 000, изданной в 1966 году.
Железная дорога широкой колеи (вероятно, предшествовавшая узкоколейной железной дороге) на то...
3 вложения
ID: 5962
479
Производственное республиканское унитарное торфопредприятие (ПРУТ)
имени Даумана находится в посёлке городского типа
Оболь Шумилинского района Витебской области. В ведении торфопредприятия находится узкоколейная железная дорога торфовозного назначения....
ID: 5963
76
Страница является незавершённой.
Размер каждого изображения — около 500 КБ.
15.11.2012
15.11.2012
15.11.2012
15.11.2012
15.11.2012
15.11.2012
15.11.2012
15.11.2012
15.11.2012
15.11.2012
15.11.2012
15.11.2012
15.12....
12 вложений
ID: 5964
53
На снимках: главная станция в Оболи, депо, поездка по линии.
Размер каждого изображения — около 500 КБ.
30.07.2013
30.07.2013
30.07.2013
30.07.2013
30.07.2013
30.07.2013
30.07.2013
30.07.2013
30.07.2013
30.07.2013
30.07.2013
30....
40 вложений
ID: 5965
40
Страница является незавершённой. На снимках: поездка по линии.
Размер каждого изображения — около 500 КБ.
31.07.2013
31.07.2013
31.07.2013
31.07.2013
31.07.2013
31.07.2013
31.07.2013
31.07.2013
31.07.2013
31.07.2013
31.07.2013
31...
40 вложений
ID: 5966
58
Страница является незавершённой. На снимках: поездка по линии, Леоновский переезд.
Размер каждого изображения — около 500 КБ.
31.07.2013
31.07.2013
31.07.2013
31.07.2013
31.07.2013
31.07.2013
31.07.2013
31.07.2013
31.07.2013
31.07.2...
40 вложений
ID: 5967
55
Страница является незавершённой. На снимках: поездка по линии.
Размер каждого изображения — около 500 КБ.
31.07.2013
31.07.2013
31.07.2013
31.07.2013
31.07.2013
31.07.2013
31.07.2013
31.07.2013
31.07.2013
31.07.2013
31.07.2013
...
40 вложений
ID: 5968
64
Страница является незавершённой. На снимках: поездка по линии, погрузка торфа на торфомассиве Сидень.
Размер каждого изображения — около 500 КБ.
31.07.2013
31.07.2013
31.07.2013
31.07.2013
31.07.2013
31.07.2013
31.07.2013
31.07.2013
3...
40 вложений
ID: 5969
68
Страница является незавершённой. На снимках: линия — новый участок, построенный Железнодорожными войсками.
Размер каждого изображения — около 500 КБ.
31.07.2013
31.07.2013
31.07.2013
31.07.2013
31.07.2013
31.07.2013
31.07.2013
31.07.201...
40 вложений
ID: 5970
80
Страница является незавершённой. На снимках: линия.
Размер каждого изображения — около 500 КБ.
31.07.2013
31.07.2013
31.07.2013
31.07.2013
31.07.2013
31.07.2013
31.07.2013
31.07.2013
31.07.2013
31.07.2013
31.07.2013
31.07.2013
...
40 вложений
ID: 5971
69
Страница является незавершённой. На снимках: полевая база на торфомассиве Чистик, главная станция в Оболи.
Размер каждого изображения — около 500 КБ.
31.07.2013
31.07.2013
31.07.2013
31.07.2013
31.07.2013
31.07.2013
31.07.2013
31.07.201...
40 вложений
ID: 5972
105
Узкоколейная железная дорога на топографической карте масштаба 1:100 000, изданной в 1939 году.
Узкоколейная железная дорога на топографической карте масштаба 1:500 000, изданной в 1980 году.
Узкоколейная железная дорога на топографической ...
7 вложений
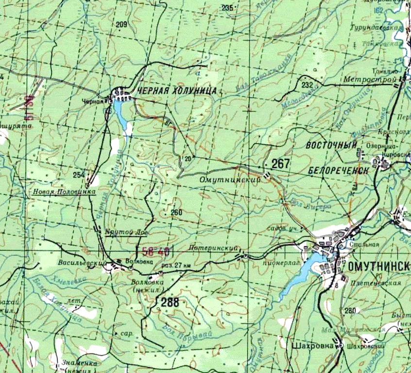
ID: 5973
282
Омутнинская (Чернохолуницкая) на протяжении длительного времени относилась к категории лесовозных, принадлежала Омутнинскому леспромхозу. Однако узкоколейная железная дорога строилась в первую очередь для сообщения с Чернохолуницким металлургическим заводо...
ID: 5974
175
Узкоколейная железная дорога на топографической карте масштаба 1:500 000, изданной в 1988 году.
Узкоколейная железная дорога на топографической карте масштаба 1:200 000, изданной в 1987 году (северо-западная часть), 1986 году (северо-восточная част...
3 вложения
ID: 5975
331
Начальным пунктом Опаринской узкоколейной железной дороги является посёлок Опарино — центр Опаринского района Кировской области. Посёлок расположен вблизи станции Опарино на железнодорожной линии Киров — Котлас.
Владельцем Опаринской узкоколейной желез...
ID: 5976
98
Ближайший к центру посёлка участок Опаринской узкоколейной железной дороги
(заброшенный тупик, расположенный к западу от депо).
19.07.2004
Немногим далее, тот же заброшенный участок. Вид
в противоположном направлении — в сторону депо.
19.07.2004
...
54 вложения
ID: 5977
129
Опаринская узкоколейная железная дорога на карте
масштаба 1:1 000 000, изданной в 1967 году.
Опаринская узкоколейная железная дорога на карте масштаба 1:1 000 000,
изданной в 1990-х годах (фрагмент карты «Республика Коми»
из серии «Общегеографиче...
5 вложений
ID: 5978
480
Орловское торфопредприятие находится в посёлке Орловское Сюмсинского района Удмуртской республики. По состоянию на конец 2009 года, в ведении торфопредприятия находилась единственная сохранившаяся в республике торфовозная узкоколейная железная дорога.
...

