Все статьи – Страница 187
ID: 3685
146
Узкоколейная железная дорога на карте масштаба 1:1 000 000 (в 1 сантиметре — 10
километров), изданной в 1988 году (южная часть), 1968 году (северная часть).
Обозначена только в южной части.
Узкоколейная железная дорога на топографической карте м...
4 вложения
ID: 3686
305
Начальным пунктом Шестаковской узкоколейной железной дороги являлся посёлок Центральный, расположенный в Слободском районе Кировской области, вблизи правого берега реки Вятка. Узкоколейная железная дорога являлась лесовозной, «сплавной».
Ориентировочны...
ID: 3687
79
Размер каждого изображения — около 500 КБ.
Разобранная магистраль узкоколейной железной дороги. Вид от бывшего переезда
(пересечения узкоколейной железной дороги с автодорогой Слободской — Кобра)
в южном направлении, в сторону Рычажного.
27.09.2011 ...
30 вложений
ID: 3688
116
Узкоколейная железная дорога на топографической карте
масштаба 1:1 000 000, изданной в 1988 году.
Узкоколейная железная дорога на топографической карте
масштаба 1:500 000, изданной в 1984 году.
Узкоколейная железная дорога на топографической карт...
3 вложения
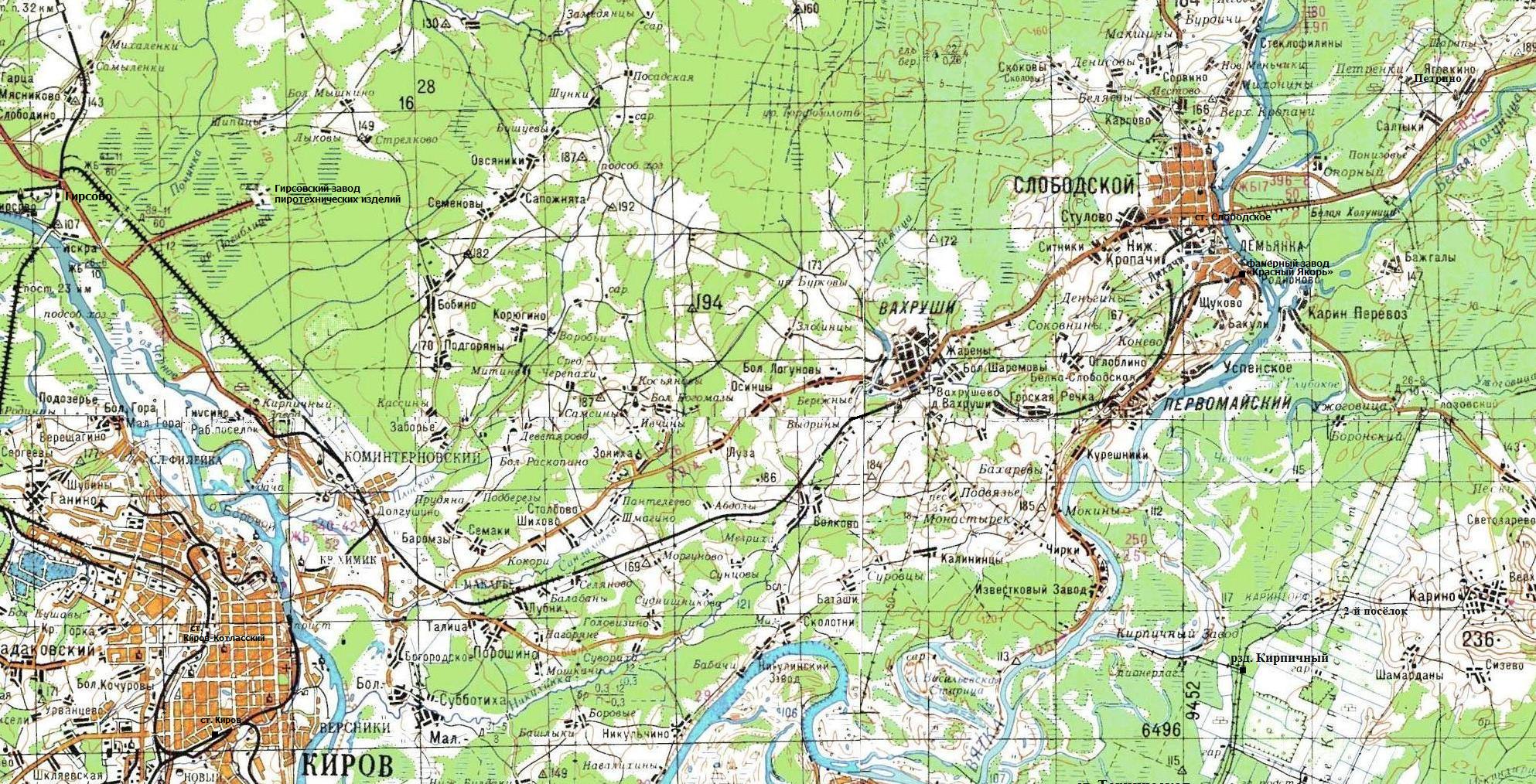
ID: 3689
1009
Протяжённость железнодорожной линии Гирсово — Слободское (город Слободской) составляет 49 километров. Железнодорожная линия пролегает по территории Кировской области. Начальным пунктом является станция Гирсово на
железнодорожной линии Киров — Котлас (Вят...
ID: 3690
211
Железнодорожная линия на топографической карте масштаба 1:200 000, изданной в 1980 году.
05.01.2013 © [ДАННЫЕ УДАЛЕНЫ]
«Железнодорожная линия Гирсово — Слободское»...
1 вложение
ID: 3691
334
Начальным пунктом Шорыгинской узкоколейной железной дороги являлся посёлок Смычка, расположенный вблизи железнодорожной линии Егоршино — Устье Аха (историческая Северо-Восточная Уральская железная дорога). Главная станция находилась в посёлке Фабричное. На...
ID: 3692
128
Узкоколейная железная дорога на карте масштаба 1:1 000 000 (в 1 сантиметре - 10 километров).
Узкоколейная железная дорога на топографической карте масштаба 1:500 000.
16.01.2008 © [ДАННЫЕ УДАЛЕНЫ]
«Шорыгинская узкоколейная железная дорога»...
2 вложения
ID: 3693
604
Начальным пунктом Соловьёвской узкоколейной железной дороги до 1999 года являлся посёлок Сосьва. После уничтожения моста через реку Сосьва начальным пунктом узкоколейной железной дороги являлась станция, расположенная на правом берегу реки Сосьвы, напротив...
ID: 3694
113
Страница является незавершённой.
Размер каждого изображения — около 500 КБ.
04.10.2006
04.10.2006
04.10.2006
04.10.2006
04.10.2006
04.10.2006
04.10.2006
04.10.2006
04.10.2006
04.10.2006
04.10.2006
04.10.2006
04.10....
20 вложений
ID: 3695
114
Страница является незавершённой.
Размер каждого изображения — около 500 КБ.
04.10.2006
04.10.2006
04.10.2006
04.10.2006
04.10.2006
04.10.2006
04.10.2006
04.10.2006
04.10.2006
04.10.2006
04.10.2006
04.10.2006
04.10....
20 вложений
ID: 3696
97
Страница является незавершённой.
Размер каждого изображения — около 500 КБ.
04.10.2006
04.10.2006
04.10.2006
04.10.2006
04.10.2006
04.10.2006
04.10.2006
04.10.2006
04.10.2006
04.10.2006
04.10.2006
04.10.2006
04.10....
20 вложений
ID: 3697
115
Страница является незавершённой.
Размер каждого изображения — около 500 КБ.
04.10.2006
04.10.2006
04.10.2006
04.10.2006
04.10.2006
04.10.2006
04.10.2006
04.10.2006
04.10.2006
04.10.2006
04.10.2006
04.10.2006
04.10....
20 вложений
ID: 3698
91
Страница является незавершённой.
Размер каждого изображения — около 500 КБ.
04.10.2006
04.10.2006
04.10.2006
04.10.2006
04.10.2006
04.10.2006
04.10.2006
04.10.2006
05.10.2006
05.10.2006
05.10.2006
05.10.2006
05.10....
20 вложений
ID: 3699
93
Страница является незавершённой.
Размер каждого изображения — около 500 КБ.
05.10.2006
05.10.2006
05.10.2006
05.10.2006
05.10.2006
05.10.2006
05.10.2006
05.10.2006
05.10.2006
05.10.2006
05.10.2006
05.10.2006
05.10....
20 вложений
ID: 3700
125
Страница является незавершённой.
Размер каждого изображения — около 500 КБ.
05.10.2006
05.10.2006
05.10.2006
05.10.2006
05.10.2006
05.10.2006
05.10.2006
05.10.2006
Заброшенное здание ДС на станции Татька.
05.10.2006
05.10...
20 вложений
ID: 3701
74
Страница является незавершённой.
Размер каждого изображения — около 500 КБ.
05.10.2006
05.10.2006
05.10.2006
05.10.2006
05.10.2006
05.10.2006
05.10.2006
05.10.2006
05.10.2006
05.10.2006
05.10.2006
05.10.2006
05.10....
20 вложений
ID: 3702
106
Страница является незавершённой.
Размер каждого изображения — около 500 КБ.
05.10.2006
Разрушенный мост через реку Турья (81 километр узкоколейной железной дороги).
05.10.2006
05.10.2006
05.10.2006
05.10.2006
05.10.2006
05.10.2006...
20 вложений
ID: 3703
123
Страница является незавершённой.
Размер каждого изображения — около 500 КБ.
05.10.2006
05.10.2006
05.10.2006
05.10.2006
05.10.2006
05.10.2006
05.10.2006
05.10.2006
05.10.2006
05.10.2006
05.10.2006
05.10.2006
05.10....
17 вложений
ID: 3704
108
Страница является незавершённой.
Размер каждого изображения — около 500 КБ.
05.10.2006
05.10.2006
05.10.2006
06.10.2006
06.10.2006
06.10.2006
06.10.2006
06.10.2006
06.10.2006
06.10.2006
06.10.2006
06.10.2006
06.10....
16 вложений

