28 КАТАЛОГ – Страница 9
ID: 5919
75
График исполненного движения поездов за 11 июня 1996 года. Получен автором в июне 1999 года.
График исполненного движения поездов за 12 июня 1996 года. Получен автором в июне 1999 года.
27.02.2008 © [ДАННЫЕ УДАЛЕНЫ]
«Кубовская узкоколейная желе...
2 вложения
ID: 5920
134
Узкоколейная железная дорога на карте масштаба 1:1 000 000, изданной в 1987 году.
Узкоколейная железная дорога на топографической карте
масштаба 1:500 000 (состояние местности на 1970-е годы).
Узкоколейная железная дорога на топографической карте ...
5 вложений
ID: 5921
684
Начальным пунктом Бизярской узкоколейной железной дороги являлся посёлок Кукуштан, расположенный в Пермском районе Пермского края, вблизи станции Кукуштан на магистральной железнодорожной линии Пермь — Кузино. Узкоколейная железная дорога принадлежала Бизя...
ID: 5922
82
График исполненного движения поездов за 15.04.1997 года (фрагмент). Получен автором в мае 1998 года.
17.08.2005 © [ДАННЫЕ УДАЛЕНЫ]
«Бизярская узкоколейная железная дорога»...
1 вложение
ID: 5923
241
Узкоколейная железная дорога на топографической карте
масштаба 1:500 000, изданной в 1981 году.
27.02.2008 © [ДАННЫЕ УДАЛЕНЫ]
«Бизярская узкоколейная железная дорога»...
1 вложение
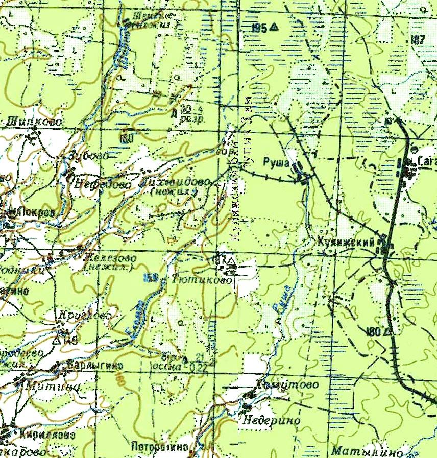
ID: 5924
196
Начальным пунктом Казариновской узкоколейной железной дороги является посёлок Кул́ижский, расположенный в Любимском районе Ярославской области. Транспортное сообщение с посёлком осуществляется исключительно через Буйский район Костромской области.
По с...
ID: 5925
58
Узкоколейная железная дорога на топографической карте масштаба 1:200 000, изданной в 1981 году (западная часть), 1977 году (восточная часть). Состояние местности в основном на 1960-е годы.
Узкоколейная железная дорога на топографической карте м...
5 вложений
ID: 5926
312
Торфопредприятие «Красная Пресня» находилось в посёлке Красная Пресня Калининского района Тверской области, расположенном вблизи остановочного пункта Кулицкий Мох на Петербурго-Московской железной дороге. Торфопредприятию принадлежала узкоколейная железная...
ID: 5927
384
Турундаевское торфопредприятие находилось в посёлке Лоста, расположенном вблизи восточной окраины города Вологда. Торфопредприятие создавалось с целью поставки топливного торфа на Вологодскую ТЭЦ.
Ориентировочная дата открытия узкоколейной железной дор...
ID: 5928
66
Страница является незавершённой. Подписи к изображениям будут добавлены позднее.
Размер каждого изображения — около 500 КБ.
02.06.2005
02.06.2005
02.06.2005
02.06.2005
02.06.2005
02.06.2005
02.06.2005
02.06.2005
02.06.2005
02...
25 вложений
ID: 5929
58
Страница является незавершённой. Подписи к изображениям будут добавлены позднее.
Размер каждого изображения — около 500 КБ.
03.06.2005
03.06.2005
03.06.2005
03.06.2005
03.06.2005
03.06.2005
03.06.2005
03.06.2005
03.06.2005
03...
27 вложений
ID: 5930
128
Узкоколейная железная дорога на топографической карте масштаба 1:100 000 (cостояние местности на 1960-е годы).
Узкоколейная железная дорога на топографической карте масштаба 1:100 000, изданной
в 1986 году (западная часть),
1980 году (восточная ча...
4 вложения
ID: 5931
41
«Ликвидация ночных смен на Турундаевском торфопредприятии» («Торфяная промышленность», 1971 год).
08.09.2007 © [ДАННЫЕ УДАЛЕНЫ]
«Узкоколейная железная дорога Турундаевского торфопредприятия»...
1 вложение
ID: 5932
202
Железнодорожная линия Гюмри — Маралик находится в марзе Ширак Республики Армения. Железнодорожная линия входит в состав железнодорожной сети общего пользования (Южно-Кавказская железная дорога). Протяжённость железнодорожной линии составляет 38 километров,...
ID: 5933
237
Размер каждого изображения — около 500 КБ.
Вокзал на станции Артик.
07.10.2010
Объявление в вагоне электропоезда ЭР2-909, следующего из Гюмри в Пемзашен.
Под ним — схема участков обращения электропоездов
от Балтийского вокзала Санкт-Петербурга....
20 вложений
ID: 5934
50
Размер каждого изображения — около 500 КБ.
Перегон Артик — Пемзашен, конец 31 километра/начало 32 километра.
Вид в сторону станции Пемзашен.
07.10.2010
Вид из той же точки в противоположном направлении.
07.10.2010
Впереди — остановочный пункт ...
20 вложений
ID: 5935
88
Размер каждого изображения — около 500 КБ.
Недействующий вокзал на станции Пемзашен. Вид из посёлка.
07.10.2010
Станция Пемзашен. Вид в сторону Маралика.
07.10.2010
Вид из той же точки в противоположном направлении. Слева — вокзал.
07.10.201...
20 вложений
ID: 5936
91
Размер каждого изображения — около 500 КБ.
Перегон Пемзашен — Маралик. Вид в сторону Маралика.
07.10.2010
Вид из той же точки в противоположном направлении, в сторону Пемзашена.
07.10.2010
Перегон Пемзашен — Маралик. Вид в сторону Маралика.
...
20 вложений
ID: 5937
197
Размер каждого изображения — около 500 КБ.
Перегон Пемзашен — Маралик. Вид в сторону Маралика.
Предвходной светофор станции Маралик.
07.10.2010
Вид из той же точки в противоположном направлении, в сторону Пемзашена.
07.10.2010
Перегон Пемза...
20 вложений
ID: 5938
188
Размер каждого изображения — около 500 КБ.
Вокзал на станции Маралик.
07.10.2010
Станция Маралик. Вид в сторону тупика. Слева — вокзал.
07.10.2010
Вид из той же точки в противоположном направлении, в сторону Пемзашена.
07.10.2010
Вокзал...
18 вложений

