28 КАТАЛОГ – Страница 7
ID: 5879
240
Расписание движения поездов на лето 1897 года (из «Официального указателя
железнодорожных, пароходных и других пассажирских сообщений»).
Расписание движения поездов с 15 октября 1911 года (из «Официального указателя
железнодорожных, пароходных...
4 вложения
ID: 5880
752
Игринская узкоколейная железная дорога являлась одной из крупнейших и одной из лучших лесовозных узкоколейных железных дорог СССР. Общая протяжённость её линий на пике развития составляла около 200 километров.
На головном магистральном участке Игра — В...
ID: 5881
345
Узкоколейная железная дорога на топографической карте масштаба 1:1 000 000
(в 1 сантиметре — 10 километров), изданной в 1988 году.
Узкоколейная железная дорога на топографической карте масштаба 1:500 000 (в 1 сантиметре — 5 километров), изданн...
4 вложения
ID: 5882
108
Ирванцевский торфобрикетный завод (в течение какого-то времени — Ирванцевское торфопредприятие) находится в посёлке Куты Вторые Семёновского района Черниговской области Украины.
В ведении завода находится узкоколейная железная дорога. По состоянию на 20...
ID: 5883
84
Страница является незавершённой. На снимках: линия, торфомассив, погрузка торфа.
На странице 40 изображений. Размер каждого изображения — около 500 КБ.
Дорога к торфобрикетному заводу.
21.06.2011
Торфобрикетный завод.
21.06.2011
Линия за пер...
40 вложений
ID: 5884
47
Страница является незавершённой. На снимках: погрузка торфа, движение в сторону завода.
На странице 40 изображений. Размер каждого изображения — около 500 КБ.
21.06.2011
21.06.2011
21.06.2011
21.06.2011
21.06.2011
21.06.2011
21.06.2011
...
40 вложений
ID: 5885
33
Страница является незавершённой. На снимках: авария, подъём тепловоза, движение в сторону завода.
На странице 40 изображений. Размер каждого изображения — около 500 КБ.
21.06.2011
21.06.2011
21.06.2011
21.06.2011
21.06.2011
21.06.2011
21....
40 вложений
ID: 5886
31
Страница является незавершённой. На снимках: смена направления движения, мост через Рванец, главная станция.
На странице 40 изображений. Размер каждого изображения — около 500 КБ.
21.06.2011
21.06.2011
21.06.2011
21.06.2011
21.06.2011
21.0...
40 вложений
ID: 5887
39
Страница является незавершённой. На снимках: главная станция.
На странице 16 изображений. Размер каждого изображения — около 500 КБ.
21.06.2011
21.06.2011
21.06.2011
21.06.2011
21.06.2011
21.06.2011
21.06.2011
21.06.2011
21.06.2011
...
16 вложений
ID: 5888
73
Узкоколейная железная дорога на топографической карте масштаба 1:500 000, изданной в 1988 году.
Обозначена автором, по состоянию на 2011 год.
Узкоколейная железная дорога на топографической карте масштаба 1:200 000, изданной в 1989 году.
Обозначе...
4 вложения
ID: 5889
280
Сравнительно небольшая ведомственная железнодорожная линия, начальным пунктом которой являлась станция Казариново на магистральном участке Данилов — Буй. Пролегала почти параллельно границе Костромской и Ярославской областей.
В первые годы ХХI века эту...
ID: 5890
87
Вокзал на станции Казариново.
28.09.2004
Вид от вокзала в сторону станции Данилов. Ближайшая стрелка
является начальной точкой ветки на Гагарино. 28.09.2004
Вид из той же точки в обратном направлении. На первом пути
стоит пригородный поезд соо...
37 вложений
ID: 5891
91
На снимках: разобранная железная дорога в Гагарино, между Гагарино и Кулижским, в Кулижском.
На странице 20 изображений. Размер каждого изображения — около 300 КБ.
Разобранная железная дорога в Гагарино. Вид в сторону Казариново.
20.06.2012
Вид ...
20 вложений
ID: 5892
49
Железнодорожная линия на топографической карте
масштаба 1:500 000, изданной в 1979 году.
Железнодорожная линия на топографической карте масштаба 1:200 000, изданной в 1977 году.
Красным цветом выделен неразобранный участок (по состоянию на 2004 ...
5 вложений
ID: 5893
933
Килемарская железная дорога, выглядящая на карте как линия, пересекающая западные, «лесные» районы республики Марий Эл — одна из крупнейших жертв современных «борцов» с железными дорогами. Сотни километров пути, станции, посёлки — всё было разрушено, всё б...
ID: 5894
162
«Атлас. Железные дороги» (Омская картографическая
фабрика, 2002 год).
Килемарская железная дорога на карте масштаба 1:250 000, изданной в США в 1953 году
(информация взята в основном из карт, изданных в СССР, состояние местности
может соответствова...
6 вложений
ID: 5895
94
Материал из газеты Горьковской железной дороги «Волжская магистраль», 1996 год, автор — Н. Морохин
(записан и предоставлен А. Балашовым).
24.02.2009 © [ДАННЫЕ УДАЛЕНЫ]
«Килемарская железная дорога»...
1 вложение
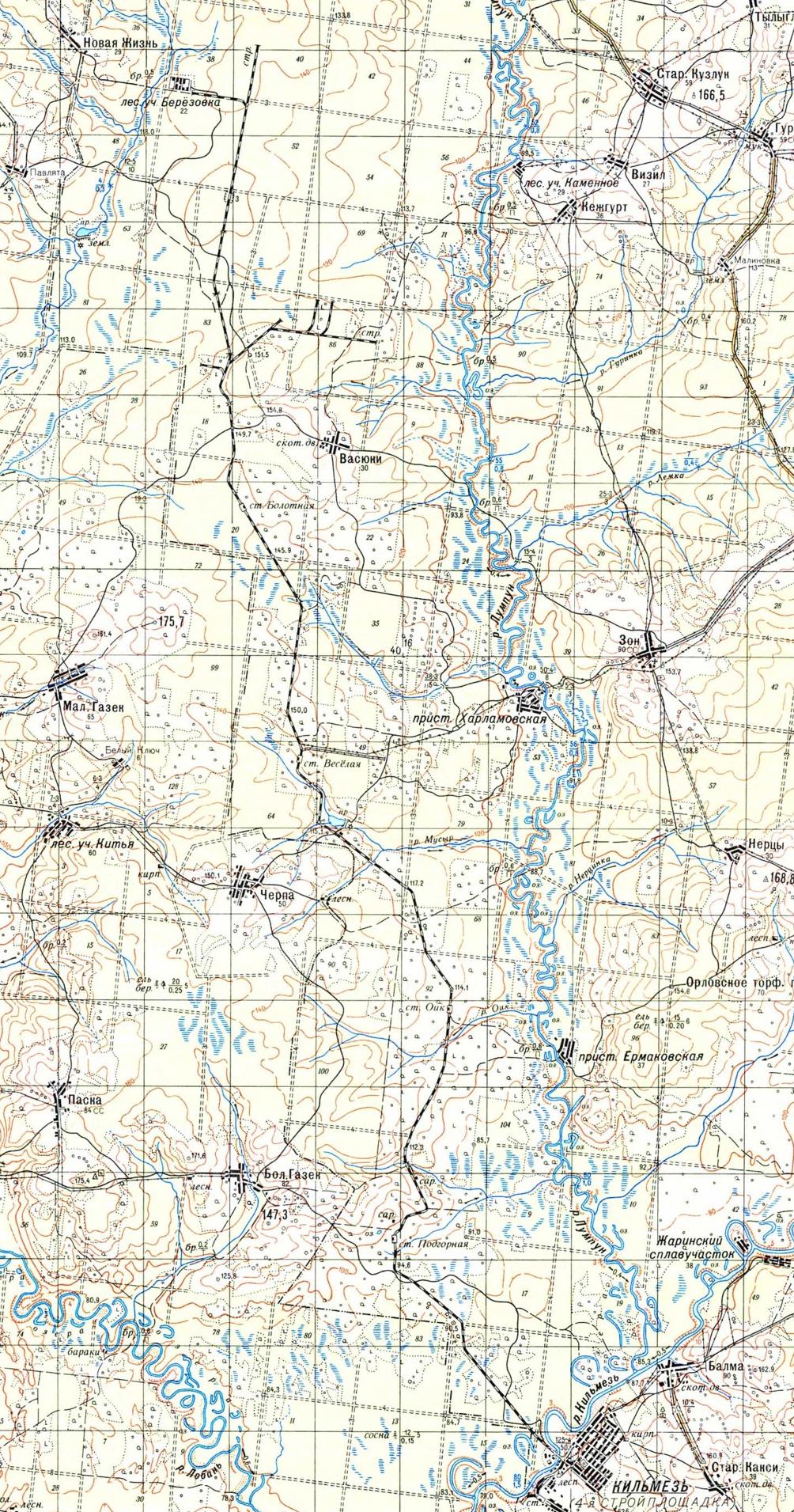
ID: 5896
342
Начальным пунктом Кильмéзской узкоколейной железной дороги являлся посёлок Кильмéзь, расположенный в Сюмсинском районе Удмуртской республики, вблизи одноимённой станции — конечного пункта железной дороги широкой колеи Люкшудья — Кильмезь. Узкоколейная желе...
ID: 5897
287
Узкоколейная железная дорога на топографической карте масштаба 1:100 000, изданной в 1960 году.
Узкоколейная железная дорога на топографической карте масштаба 1:500 000, изданной в 1983 году. Участок Берёзовка — Ключёвка в оригинале карты не был по...
3 вложения
ID: 5898
85
«УЖД Кильмезская» (сюмсинская районная газета «Знамя», 18 апреля 1992 года).
«Наши судьбы неразделимы» (материал, посвящённый Сюрекскому леспромхозу, сюмсинская районная газета «Знамя», 27 июня 1992 года).
«Сплавные работы на Лумпуне» (сюмсинска...
3 вложения

