06 КАТАЛОГ – Страница 7
ID: 1260
99
Расписание движения поездов (график 1981/1982 гг., из сборника расписаний для пассажиров).
Расписание движения поездов (график 1991/1992 гг., из сборника расписаний для пассажиров).
Расписание движения поездов (график 1994/1995 гг., из сбор...
6 вложений
ID: 1261
43
«Кукушка», везущая в никуда». Газета «Московский Комсомолец», 8 июня 2005 года.
08.10.2011 © [ДАННЫЕ УДАЛЕНЫ]
«Железнодорожная линия Кривандино — Рязановка»...
1 вложение
ID: 1262
238
Кучинский кирпичный завод находится в городе Железнодорожный, с 1948 года является частью Кучинского керамического комбината. Заводу принадлежала узкоколейная железная дорога, предназначенная для доставки глины из карьера.
Кирпичный завод основан в 182...
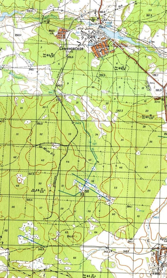
ID: 1263
161
Посёлок Леспромхоз (прежнее название - посёлок Мира или Мирный) находится в Можайском районе Московской области, вблизи более крупного населённого пункта - села Семёновское. Посёлок являлся начальным пунктом лесовозной узкоколейной железной дороги.
Инфор...
ID: 1264
621
Железнодорожная линия Луховицы — Зарайск находится в Московской области. Протяжённость железнодорожной линии составляет 28 километров. Линия однопутная, неэлектрифицированная. Является частью сети общего пользования ОАО «РЖД», Московская железная дорога.
...
ID: 1265
95
Страница является незавершённой. На снимках: станция Зарайск.
На странице 32 изображения. Размер каждого изображения — около 600 КБ.
01.08.2008
01.08.2008
01.08.2008
01.08.2008
01.08.2008
01.08.2008
01.08.2008
01.08.2008
01.08...
32 вложения
ID: 1266
101
Страница является незавершённой. На снимках: станция Зарайск.
На странице 32 изображения. Размер каждого изображения — около 600 КБ.
01.08.2008
01.08.2008
01.08.2008
01.08.2008
01.08.2008
01.08.2008
01.08.2008
01.08.2008
01.08...
32 вложения
ID: 1267
99
Железнодорожная линия на топографической карте масштаба 1:200 000 (в 1 сантиметре — 2 километра), изданной в 1984 году.
02.01.2020 © [ДАННЫЕ УДАЛЕНЫ]
«Железнодорожная линия Луховицы — Зарайск»...
1 вложение
ID: 1268
794
Протяжённость железнодорожной линии Мальчики — Заводская (город Лыткарино) составляет 10 километров. С учётом участка от станции Заводская до крайнего пункта в промзоне Тураево, протяжённость линии составляет 15,5 километра. Железнодорожная линия пролегает...
ID: 1269
53
На снимках: участок Мальчики — Разъезд 2 км, станция Разъезд 2 км.
Размер каждого изображения — около 500 КБ.
Начальный участок линии у станции Мальчики. Вид в направлении Заводской.
22.10.2011
Там же. Табличка «Граница подъездного пути».
22.1...
22 вложения
ID: 1270
50
На снимках: станция Разъезд 2 км, перегон Разъезд 2 км — Заводская.
Размер каждого изображения — около 500 КБ.
Здание ДС на станции Разъезд 2 км.
22.10.2011
Станция Разъезд 2 км. Вид в направлении Заводской.
22.10.2011
Вид из той же точки в...
22 вложения
ID: 1271
35
На снимках: перегон Разъезд 2 км — Заводская.
Размер каждого изображения — около 500 КБ.
Перегон Разъезд 2 км — Заводская. Вид в сторону Заводской.
05.09.2012
Вид из той же точки в противоположную сторону. Предвходной светофор станции Разъезд 2 ...
20 вложений
ID: 1272
66
На снимках: перегон Разъезд 2 км — Заводская, окрестности села Токарёво.
Размер каждого изображения — около 500 КБ.
Перегон Разъезд 2 км — Заводская. Вид в сторону Заводской.
05.09.2012
Вид из той же точки в противоположную сторону.
05.09.2012
...
20 вложений
ID: 1273
61
На снимках: перегон Разъезд 2 км — Заводская, станция Заводская.
Размер каждого изображения — около 500 КБ.
Перегон Разъезд 2 км — Заводская, примерно в 1 километре
севернее Заводской. Вид в сторону станции Заводская.
05.09.2012
Вид из той же т...
23 вложения
ID: 1274
75
Железнодорожная линия на топографической карте масштаба 1:100 000,
изданной в 1940 году.
Железнодорожная линия на топографической карте масштаба 1:25 000 (в 1 сантиметре — 250 метров), изданной в 1968 году. Станция Заводская подписана как Лыткари...
5 вложений
ID: 1275
184
Незавершённая страница. В настоящее время открыта «условно».
Мельчевское торфопредприятие находилось в посёлке Мельчевка Дмитровского района Московской области. Торфопредприятию принадлежала узкоколейная железная дорога торфовозного назначения.
О...
ID: 1276
91
Узкоколейная железная дорога на топографической карте масштаба 1:50 000, изданной в 1965 году.
Узкоколейная железная дорога на топографической карте масштаба 1:100 000
(состояние местности на 1980-е годы).
14.04.2008 © [ДАННЫЕ УДАЛЕНЫ]
«Узк...
2 вложения
ID: 1277
542
Малая Московская детская железная детская железная дорога находится в городе Жуковский — наукограде Российской Федерации, расположенном приблизительно в 40 километрах к юго-востоку от центра Москвы.
Протяжённость главного пути между станциями Юност...
ID: 1278
52
Билет для проезда в пассажирском поезде,
проданный в июле 1998 года.
Билет для проезда в пассажирском поезде,
проданный 11 июля 2010 года.
Билет для проезда в пассажирском поезде,
проданный 11 июля 2010 года.
26.03.2005 © [ДАННЫЕ УДАЛЕНЫ]
«М...
3 вложения
ID: 1279
113
Высокая посадочная платформа на станции Пионерская. 06.1997
Памятник В. И. Ленину и фрагмент деревянного станционного здания на станции Юность (Путь Ильича). 06.1997
Депо узкоколейной железной дороги на станции Пионерская и вагоны пассажирского поезд...
3 вложения

