ID: 7323
УЗКОКОЛЕЙНЫЕ ЖЕЛЕЗНЫЕ ДОРОГИ ЯРОСЛАВСКОЙ ОБЛАСТИ
2157
Ярославская область — субъект Российской Федерации. Центр — г. Ярославль. Площадь — 36 400 км², численность населения 1 327 тыс. чел. (2006).
По состоянию на 2008 год, в Ярославской области находились 4 действующие полноценные узкоколейные железные дороги: узкоколейная железная дорога Мокеиха-Зыбинского торфопредприятия, узкоколейная железная дорога Батьковско-Ольховского торфопредприятия, узкоколейная железная дорога Переславского железнодорожного музея-заповедника в посёлке Талицы (эти дороги до 2002 года составляли единую сеть узкоколейных железных дорог Купанского транспортного управления), Ярославская детская железная дорога.
Сохранялась также Малая Ярославская детская железная дорога, однако ввиду незначительных масштабов (протяжённость — около 300 метров, путевого развития нет) она едва ли может быть отнесена к числу полноценных узкоколейных железных дорог.
Казариновская узкоколейная железная дорога, по состоянию на лето 2008 года, ещё не была полностью разобрана, однако являлась непригодной для проезда какого-либо подвижного состава (в том числе съёмных дрезин). В последующие годы она была разобрана.
По состоянию на 2011 год, число сохранившихся узкоколейных железных дорог сократилось до трёх — узкоколейная железная дорога Батьковско-Ольховского торфопредприятия была разобрана.
Малая Ярославская детская железная дорога полностью разобрана. Перспектив восстановления она не имеет.
БОЛЬШЕСЕЛЬСКИЙ РАЙОН
Узкоколейная железная дорога Вареговского торфопредприятия. Начальный пункт — посёлок Варегово, расположенный у станции Варегово (конечный пункт железнодорожной линии Ваулово — Варегово).
Узкоколейная железная дорога полностью разобрана. Дата ликвидации — 2002 год.
БОРИСОГЛЕБСКИЙ РАЙОН
Юркинская (?) узкоколейная железная дорога. Начальный пункт — посёлок Юркино, расположенный на правом берегу реки Могза.

Узкоколейная железная дорога на топографической карте масштаба 1:200 000, изданной в 1987 году
(западная часть), 1982 году (восточная часть). Узкоколейная железная дорога нанесена условно.

Узкоколейная железная дорога на топографической карте масштаба 1:100 000, изданной в 1983 году. Узкоколейная железная дорога на топографической карте масштаба 1:200 000, изданной в 1993 году
Узкоколейная железная дорога являлась лесовозной, «сплавной», принадлежала Юркинскому леспромхозу. Протяжённость главной линии узкоколейной железной дороги, согласно топографическим картам, составляла около 20 километров. Сплав леса, вывезенного по узкоколейной железной дороге, осуществлялся в весеннее время по небольшой реке Могзе.
По информации от А. Каменского, первый участок узкоколейной железной дороги был открыт в 1930-х годах. На узкоколейной железной дороге имелся лесной посёлок Латка (около 2 километров от Юркино). По информации от В. Миронова, на узкоколейной железной дороге работали паровозы, позднее — мотовозы МД54-4.
По воспоминаниям одного из старейших работников Юркинского леспромхоза, бывшего машиниста Михаила Васильевича Кузнецова, в начале 1960-х годов узкоколейная железная дорога активно развивалась. Период развития дороги прервался в тот момент, когда было принято решение о её закрытии в связи с прекращением молевого сплава леса по реке Могзе.
Цитата из материала «И каждый день записан мелким почерком» (воспоминания М. В. Кузнецова), опубликованного в газете «Золотое Кольцо», номер от 03.10.2007, автор — В. Нестеренко (http://www.goldring.ru/index.php?option=com_content&task=view&id=87271&Itemid=3&date=2007-10-3):
В 1957 году перебрались в Юркино: открывшемуся здесь леспромхозу требовались трактористы. В своем дневнике Михаил Васильевич невольно стал летописцем истории этого предприятия, пережившего несколько реорганизаций. «Лес пилили здесь вручную с 1920-х годов. Сначала был «Месттоп» с конторой в Борисоглебе. Сплавляли лес по Кеде, Яксуре, Могзе к Семибратову до железной дороги. Плотов не вязали. При таком молевом сплаве терялось много леса. Могза — кормилица окрестных сёл. На ее дне — слой потопленного леса, покрытого илом. Об этом ведь не пишут».
...
Жили тогда на хуторе Латка — самом богатом лесоучастке леспромхоза: был здесь медпункт, магазин, гараж, столовая, несколько многоквартирных жилых деревянных домов. Сейчас ничего этого не осталось. Живут несколько семей, в основном старики-пенсионеры. Машина автолавки не всегда проедет: весной распутица, зимой дорогу заметет — по нескольку дней, бывало, никто не ездит, не чистит снег.
А тогда, в 1960-х, вели через леса и болота узкоколейную железную дорогу в сторону Неверкова — 30 км плюс 1,5 — 2 км «ветки», углубляющиеся в лес. Михаил Васильевич строил узкоколейку, потом работал машинистом — возил рабочих в делянку. Лес вывозили в Юркино, на берег Могзы, дальше оттуда сплавом. Но вскоре наступили новые времена: строить автомобильные дороги, возить лес на лесовозах хлыстами в Борисоглеб. Дальние делянки исчерпывали себя. И узкоколейка осталась не у дел. Сперва пытались снимать с неё рельсы, чтобы провести их к фермам, но бросили. Ныне узкоколейка, на строительство которой положено столько сил, где работало столько людей, заросла лесом так, что, собирая грибы, можно переступить через нее, не заметив ни насыпи, ни рельсов. А прошло-то всего каких-то 25 — 30 лет!
1960 — 1970-е годы — расцвет леспромхоза. На поле у деревни Юркино вырос большой одноимённый поселок с двухэтажными домами, магазинами, детсадом, баней, засадили его деревьями, благоустроили. В клубе била ключом культурная жизнь: праздники, вечера, концерты. Заработки в леспромхозе были хорошие. Когда стали давать жильё работникам, устремился сюда народ из окрестных деревень.
Ориентировочный период закрытия узкоколейной железной дороги — конец 1960-х годов. После этого узкоколейная железная дорога разбиралась не полностью. Многие участки рельсового пути остались лежать в лесу.
http://robinbad.livejournal.com/4067.html — «Юркино железнодорожное» (материал А. Каменского, посвящённый поездке на разобранную узкоколейную железную дорогу, предпринятой в мае 2008 года)
__________________________________________________________________________________________________
Неверковская (?) узкоколейная железная дорога. Предполагаемый начальный пункт — село Неверково.

Район местонахождения узкоколейной железной дороги на топографической карте
масштаба 1:100 000, изданной в 1983 году. По информации от А. Мерщикова, в течение некоторого времени (ориентировочно в 1950-х годах) существовала лесовозная узкоколейная железная дорога на Неверковском участке Борисоглебского леспромхоза.
Узкоколейная железная дорога была полностью разобрана не позднее 1960-х годов.
ГАВРИЛОВ-ЯМСКИЙ РАЙОН
Узкоколейная железная дорога льнокомбината «Заря Социализма». Начальный пункт — город Гаврилов Ям, расположенный у станции Гаврилов Ям (конечный пункт железнодорожной линии Семибратово — Гаврилов Ям).

Узкоколейная железная дорога на топографической карте масштаба 1:100 000,
изданной в 198? году (обозначена разобранной, обозначена не полностью). Узкоколейная железная дорога на топографической карте масштаба 1:100 000, изданной в 198? году (обозначена разобранной, обозначена не полностью)
Узкоколейная железная дорога предназначалась для доставки топливного торфа на льнокомбинат «Заря Социализма» — главное предприятие города Гаврилов Ям. По неподтверждённым данным, узкоколейная железная дорога была построена в период Великой Отечественной войны или вскоре после неё (в строительстве участвовали военнопленные). На топографической карте масштаба 1:100 000, изданной в 1941 году, узкоколейная железная дорога отсутствует.
Протяжённость главной линии узкоколейной железной дороги составляла около 20 километров. По информации от А. Мерщикова, добычу торфа вели два торфопредприятия: Дедовское и «Исаковские Разливы». Владельцем узкоколейной железной дороги являлся льнокомбинат.
Узкоколейная железная дорога, помимо своей основной функции — доставки торфа, обеспечивала транспортное сообщение с пионерским лагерем, расположенным на берегу реки Лахости, и геофизическим полигоном.
Узкоколейная железная дорога была полностью разобрана в связи c отказом льнокомбината «Заря Социализма» от использования торфяного топлива. Ориентировочный период ликвидации — конец 1960-х годов. На топографической карте масштаба 1:500 000, изданной в 1979 году, узкоколейная железная дорога отсутствует, по её направлению показана грунтовая дорога.
http://www.geocaching.su/?pn=101&cid=3106 — «Узкоколейка на Лахости. Пионерлагерь»
ДАНИЛОВСКИЙ РАЙОН
Макаровская (?) узкоколейная железная дорога. Начальный пункт — посёлок Макарово, расположенный у станции Макарово на железнодорожной линии Данилов — Паприха.

Узкоколейная железная дорога на топографической карте масштаба 1:100 000,
изданной в 1978 году (обозначена разобранной). Узкоколейная железная дорога была лесовозной, её протяжённость, согласно топографическим картам, составляла около 7 километров.
По информации от А. Мерщикова, основанной на архивных данных, строительство узкоколейной железной дороги было запланировало на 1952 год. Возможно, узкоколейная железная дорога была построена позднее.
Узкоколейная железная дорога просуществовала недолго, была разобрана ориентировочно в 1960-х годах.
__________________________________________________________________________________________________
Ристовская (?) узкоколейная железная дорога. Предполагаемый начальный пункт — посёлок Соть, расположенный у станции Соть на железнодорожной линии Данилов — Буй.

Район местонахождения узкоколейной железной дороги на топографической карте масштаба 1:100 000,
изданной в 1978 году (узкоколейная железная дорога не обозначена). Узкоколейная железная дорога была лесовозной, относилась к Ристовскому участку Даниловского леспромхоза.
По информации от А. Мерщикова (автора сайта www.yarvokzal.ru), основанной на архивных данных, первый участок узкоколейной железной дороги был открыт в 1950 году, в дальнейшем протяжённость узкоколейной железной дороги достигла 15 километров. Тяговый подвижной состав был представлен как минимум одним мотовозом.
Узкоколейная железная дорога упоминалась в публикациях районной (?) газеты в период от 1950 года до 1954 года.
В 1960-х годах узкоколейная железная дорога была полностью разобрана.
Трасса главной линии узкоколейной железной дороги на местности не установлена.
__________________________________________________________________________________________________
Ухринская (?) узкоколейная железная дорога. Начальный пункт — посёлок Ухринский.

Район местонахождения узкоколейной железной дороги на топографической карте масштаба 1:100 000,
изданной в 1986 году (узкоколейная железная дорога не обозначена). Узкоколейная железная дорога была лесовозной, относилась к Ухринскому лесопункту Даниловского леспромхоза. Трасса главной линии узкоколейной железной дороги на местности не установлена.
По информации от А. Мерщикова, узкоколейная железная дорога упоминалась в публикациях районной (?) газеты в 1958 году.
В 1960-х годах узкоколейная железная дорога была полностью разобрана.
ЛЮБИМСКИЙ РАЙОН
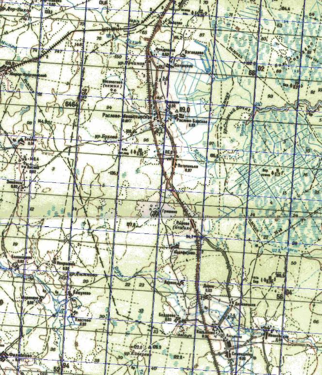
Расловская узкоколейная железная дорога. Предполагаемый начальный пункт — село Раслово-Монастырское.

Район местонахождения узкоколейной железной дороги на топографической карте
масштаба 1:200 000, изданной в 1981 году. Узкоколейная железная дорога была лесовозной, относилась к Расловскому участку Любимского леспромхоза. Данная информация получена от А. Мерщикова.
Трасса главной линии узкоколейной железной дороги на местности не установлена.
Скорее всего, узкоколейная железная дорога просуществовала недолго. В 1960-х годах она была полностью разобрана.
__________________________________________________________________________________________________
Узкоколейная железная дорога кирпичного завода в населённом пункте Зайцево. Местонахождение — населённый пункт Зайцево.

Район местонахождения узкоколейной железной дороги на топографической карте
масштаба 1:50 000, изданной в 1990 году. В посёлке Зайцево, расположенном вблизи юго-западной окраины города Любима, находился кирпичный завод. По информации, полученной автором в 2000 году от местных жителей, на кирпичном заводе действовала узкоколейная железная дорога небольшой протяжённости, предназначенная для доставки глины от карьера до завода.
Узкоколейная железная дорога была разобрана не позднее 1970-х годов.
__________________________________________________________________________________________________
Узкоколейная железная дорога на Любимском лесозаводе имени КИМ. Местонахождение — город Любим.
По информации от А. Мерщикова, на лесозаводе имени КИМ (Коммунистический интернационал молодёжи) в г. Любиме существовала укзколейная железная дорога. Узкоколейная железная дорога предназначалась для внутризаводских перевозок. Узкоколейная железная дорога была действующей, по состоянию на 1951 год.
Узкоколейная железная дорога полностью разобрана.
__________________________________________________________________________________________________
Узкоколейная железная дорога (?) в окрестностях Любима. Возможный начальный пункт — город Любим, расположенный у станции Любим на железнодорожной линии Данилов — Буй.

Узкоколейная железная дорога на топографической карте масштаба 1:200 000, изданной в 1993 году
(карта для широкого круга потребителей «Ярославская область», издана Московским АГП).

Узкоколейная железная дорога (?) на топографической карте масштаба 1:100 000,
изданной в 198? году (обозначена как строящаяся).

Трасса узкоколейной железной дороги (?) на спутниковом снимке (источник — «Google Maps»,
ориентировочная дата получения снимка — 2005 год). Узкоколейная железная дорога (?) на топографической карте масштаба 1:50 000, изданной в 1990 году (обозначена как строящаяся)
На топографических картах различного масштаба, изданных в 1980-1990-х годах, показана строящаяся узкоколейная железная дорога, пролегающая от города Любима в южном направлении — от станции Любим до окрестностей деревни Бедарево, протяжённостью около 20 километров.
В августе 2000 года автор побывал в Любимском районе. В том месте, где, согласно картам, находится начальный пункт строящейся узкоколейной железной дороги, находится нижний склад Любимского леспромхоза. Опрошенные работники леспромхоза утверждали, что узкоколейной железной дороги здесь не было (по крайней мере, на протяжении последних 20-30 лет), и её строительство не начиналось.
После этой поездки был сделан вывод, что обозначение на картах — «след» существовавшего, но не реализованного проекта строительства лесовозной узкоколейной железной дороги (картографы поспешили обозначить проектируемую узкоколейную железную дорогу как строящуюся). Но в 2006 году стали доступны спутниковые снимки (источник — «Google Maps»), на которых видна просека (след разобранной железной дороги), пролегающая в точности по тому же направлению, что и «строящаяся узкоколейная железная дорога» на топографических картах. Это указывает на то, что железная дорога существовала (или, по крайней мере, на всём её протяжении были выполнены строительные работы).
Тот факт, что строящаяся железная дорога показана на картах как узкоколейная, не обязательно означает, что здесь действительно строилась узкоколейная железная дорога. Ошибки картографов относительно ширины колеи встречаются нередко.
Возможно, по этому направлению была построена железная дорога широкой колеи к запроектированному у деревни Бедарево промышленному или военному объекту (строительство самого объекта, судя по спутниковым снимкам, не начиналось). В результате экономического и политического кризиса в конце 1980-х — начале 1990-х годов от реализации проекта отказались, уже построенная железная дорога могла быть разобрана.
Вторая версия представляется более близкой к реальности, чем версия строительства по этому направлению узкоколейной железной дороги. Однако достоверной информацией, по состоянию на 2010 год, автор не располагает. Разыскиваются любые сведения, касающиеся данной линии.
__________________________________________________________________________________________________
Казариновская узкоколейная железная дорога. Начальный пункт — посёлок Кулижский, расположенный вблизи станции Кулижский (12 км) на железнодорожной линии Казариново — Гагарино.
Узкоколейная железная дорога разобрана.
МЫШКИНСКИЙ РАЙОН
«Графская дорога» в Юхотской лесной даче. Предполагаемый начальный пункт — деревня Угольники, расположенная на правом берегу реки Волги.

Возможная трасса узкоколейной железной дороги на топографической карте
масштаба 1:200 000, изданной в 1987 году. Возможная трасса узкоколейной железной дороги на топографической карте масштаба 1:100 000, изданной в 2001 году (подписана в оригинале карты как «Графская дорога»)
Факт существования данной узкоколейной железной дороги достоверно не подтверждён. По информации от А. Мерщикова, в газете «Ярославские губернские ведомости» в 1893 году была упомянута проектируемая дорога с деревянными брусьями вместо рельсов («американского типа»), которая должна была работать на паровой тяге, скорость движения от 6 до 8 вёрст в час.
В других, значительно более поздних материалах прессы (названия и даты не выяснены) имеются упоминания того, что по направлению деревня Угольники (окрестности города Мышкина) — деревня Баскачи была построена традиционная узкоколейная железная дорога, принадлежавшая графу Шереметьеву и обеспечивавшая вывоз леса и принадлежавшей ему Юхотской лесной дачи.
По информации от А. Мерщикова, в одной из газетных публикаций рассказывается о поиске краеведами из г. Мышкина моста узкоколейной железной дороги через реку Улейма. В публикации упомянуты такие географические точки, как Покровское, Вощажниково и Ростов. Судя по ним, мост мог относиться к другой узкоколейной железной дороге. Нельзя исключать и того, что узкоколейная железная дорога была значительно более протяжённой и соединяла город Мышкин с железнодорожной магистралью широкой колеи, пролегая по направлению Угольники — Баскачи — Вощажниково — Ростов. В этом случае протяжённость линии могла составлять около 80 километров.
Узкоколейная железная дорога (в случае, если информация о её существовании является достоверной) действовала непродолжительное время в конце XIX века — начале XX века.
В городе Мышкине, по состоянию на 2007 год, сохраняется деревянное здание, которое считается бывшим вокзалом «Графской дороги». Здание было перевезено в Мышкин из другого населённого пункта (предположительно из Угольников). Но это не является безоговорочным доказательством существования дороги — в городе Мышкине ведётся значительная работа по повышению его привлекательности для туристов, и некоторые достопримечательности могут быть созданы искусственно.
Цитата из материала «Музей Учемского края» (http://www.myshkingrad.ru/muzuchma.html):
Вы можете пройти экологической тропой по красивейшим местам Мышкинского Заволжья, заглянуть в потаённые заповедные уголки, расположенные на древнейших землях княжества Юхотского. Узнать истории, которые хранят деревья в лесах, где XVI веке был срублен легендарный город — крепость Свияжск и отсюда сплавлен под враждебную Казань. Где пролегала узкоколейная дорога графа Шереметьева со стрелками и полустанками, мостами и вокзалами, которые были перевезены в город Мышкин и далее служили как жилые дома.
http://myshkinmr.ru/rus/sity/excurs/ — упоминание вокзала узкоколейной железной дороги в городе Мышкине (оригинальная подпись к фотографии: «Вокзал графов Шереметьевых. Этим домом заканчивалась узкоколейная графская дорога, идущая из юхотских лесов.»
НЕКОУЗСКИЙ РАЙОН
Узкоколейная железная дорога Харино — Молога. Начальный пункт — станция Харино (ныне Некоуз) на железнодорожной линии Ярославль — Рыбинск — Сонково, расположенная в посёлке Новый Некоуз.

Предполагаемая трасса узкоколейной железной дороги на
оперативной карте германской армии, составленной
в 1942 году (состояние местности соответствует
периоду времени до заполнения
Рыбинского водохранилища). Узкоколейная железная дорога должна была связать станцию Харино (ныне Некоуз) на магистральной железнодорожной линии Бологое — Сонково — Рыбинск с городом Молога, расположенным у слияния рек Молога и Волга.
Цитата из материала «Экономическое развитие Мологи и Мологского района с 1900 по 1941 гг.», опубликованного в издании «Ярославский педагогический вестник», автор — А.А. Марков (http://www.yspu.yar.ru/vestnik/kraevedinie/4_1/):
В конце 20-х годов началось строительство узкоколейного железнодорожного полотна, которое соединило бы районный центр Молога со станцией Харино, находившейся на Рыбинско-Бологовской дороге.
Да, много можно было бы сделать на этой исторической земле. Но строительство новой электростанции под Рыбинском навсегда уничтожило одну из страниц русской истории.
Скорее всего, узкоколейная железная дорога не была построена. Автору не известно ни одной карты, на которой по данному направлению была бы обозначена строящаяся или действующая железная дорога.
В 1930-х годах руководством СССР было принято варварское посстановление о строительстве Рыбинской ГЭС и Рыбинского водохранилища, затапливающего огромную площадь исторических российских земель. Насильственное выселение города Мологи стало самой ужасной страницей в истории затопления севера Ярославской области: в процессе выселения и затопления погибло значительное число его жителей. Трасса недостроенной (?) узкоколейной железной дороги Харино — Молога ныне частично находится под водой.
__________________________________________________________________________________________________
Узкоколейная железная дорога торфопредприятия «Солодиха». Начальный пункт — посёлок Солодиха.

Узкоколейная железная дорога на топографической карте масштаба 1:100 000,
изданной в 1986 году (нанесена условно). Торфопредприятие «Солодиха» находилось в посёлке Солодиха, расположенном в 4 километрах южнее станции Родионово на железнодорожной линии Ярославль — Сонково. В ведении торфопредприятия находилась узкоколейная железная дорога, связывавшая посёлок Солодиха с торфомассивом и со станцией Родионово, где торф перегружался в вагоны широкой колеи.
По информации от А. Мерщикова, основанной на архивных данных, узкоколейная железная дорога была открыта в 1940 либо 1941 году. По состоянию на 1944 год, тяговый подвижной состав был представлен двумя паровозами.
После основания вблизи соседней станции Пищалкино нового, значительно более крупного Мокеиха-Зыбинского торфопредприятия в начале 1950-х годов торфопредприятие «Солодиха» практически не развивалось. Позднее оно было закрыто в связи с нерентабельностью. Ориентировочный период ликвидации узкоколейной железной дороги — 1970-е годы.
__________________________________________________________________________________________________
Узкоколейная железная дорога Шестихинского кирпичного завода. Начальный пункт — посёлок Шестихино, расположенный вблизи станции Шестихино на железнодорожной линии Ярославль — Сонково.
Узкоколейная железная дорога полностью разобрана. Ориентировочный период ликвидации — 1970-е годы.
__________________________________________________________________________________________________
Узкоколейная железная дорога Мокеиха-Зыбинского торфопредприятия. Начальный пункт — станция Перегрузочная, расположенная в посёлке Октябрь, вблизи станции Пищалкино на железнодорожной линии Ярославль — Сонково.
По состоянию на 2010 год, узкоколейная железная дорога действует.
НЕКРАСОВСКИЙ РАЙОН
Узкоколейная железная дорога вблизи посёлка Некрасовское. Местонахождение — посёлок Некрасовское (до 1938 года — село Большие Соли), расположенный вблизи правого берега реки Волги.

Район местонахождения узкоколейной железной дороги на топографической карте
масштаба 1:100 000, изданной в 1981 году. По информации от А. Мерщикова, узкоколейная железная дорога соединяла гравийный карьер (был расположен вблизи деревни Шишелово и северной окраины посёлка Некрасовское) с берегом реки Волги. Протяжённость узкоколейной железной дороги составляла около 3 километров. Владельцем узкоколейной железной дороги являлась Ремонтно-строительная кооперативная артель имени В.М. Молотова.
Первоначально, в 1930-х годах, здесь действовал рельсовый путь узкой колеи, на котором для перемещения вагонеток использовалась конная тяга. По состоянию на 1941 год (информация от А. Мерщикова, основанная на архивных данных), дествовала полноценная узкоколейная железная дорога, на ней работали два мотовоза и 70 вагонеток.
На берегу Волги находились склады, в которых накапливался добытый в карьерах гравий. Погрузка гравия на баржи осуществлялась с помощью тачек.
Не позднее 1960-х годов узкоколейная железная дорога была разобрана. Наиболее вероятная причина ликвидации — переход на использование автомобильного транспорта.
__________________________________________________________________________________________________
Узкоколейная железная дорога на Моделовском участке Ярославского торфопредприятия. Возможное местонахождение — Моделовский торфомассив.

Район предполагаемого местонахождения узкоколейной железной дороги на топографической
карте масштаба 1:100 000, изданной в 1981 году. Моделовский торфомассив находится в левобережной части Некрасовского района Ярославской области, к востоку от села Вятское. В 1930-1950-х годах торфомассив разрабатывался Ярославским торфопредприятием, управление которого находилось в 40 километрах от торфомассива — в левобережной части города Ярославля.
По информации от А. Мерщикова, основанной на публикациях областной прессы, на Моделовском торфомассиве существовал Моделовский участок Ярославского торфопредприятия. Торф добывался гидравлическим способом, перекачивался по массопроводу длиной около 40 километров на Ляпинские поля сушки, расположенные вблизи левобережных районов Ярославля. Массопровод заработал весной 1945 года.
Факт наличия узкоколейной железной дороги на Моделовском торфомассиве с достоверностью не выяснен. Как правило, при наличии гидравлическом способе добычи торфа и при наличии массопровода узкоколейная железная дорога не нужна.
По неподтверждённым данным, добыча торфа на Моделовском торфомассиве велась и до 1945 года, она происходила по полному циклу (добыча, розлив, сушка, уборка). В этом случае узкоколейная железная дорога, как правило, необходима.
Узкоколейная железная дорога неоднократно упоминалась в региональных газетах. Однако нет полной уверенности, что речь идёт именно о Моделовском торфомассиве.
Добыча торфа на Моделовском торфомассиве была прекращена в 1960-е годы. Не позднее этого времени узкоколейная железная дорога (в случае, если она существовала) была полностью разобрана.
__________________________________________________________________________________________________
Узкоколейная железная дорога Бурмакинского кирпичного завода (?) . Предполагаемый начальный пункт — посёлок Бурмакино, расположенный вблизи станции Бурмакино на железнодорожной линии Ярославль — Нерехта.

Район возможного местонахождения узкоколейной железной дороги на топографической карте
масштаба 1:50 000, изданной в 1981 году. Бурмакинский кирпичный завод находится в посёлке Бурмакино Некрасовского района Ярославской области. По неподтверждённым данным, на заводе действовала узкоколейная железная дорога, предназначенная для доставки глины из карьера.
Узкоколейная железная дорога (в случае, если она когда-либо существовала) была разобрана не позднее 1970-х годов.
ПЕРВОМАЙСКИЙ РАЙОН (центр района — посёлок Пречистое)
Марфинская (?) узкоколейная железная дорога. Начальный пункт — посёлок Марфино, расположенный вблизи станции Марфино на железнодорожной линии Данилов — Паприха.

Район местонахождения узкоколейной железной дороги на топографической карте масштаба 1:100 000,
изданной в 1990 году (узкоколейная железная дорога не обозначена). Узкоколейная железная дорога была лесовозной, относилась к Марфинскому участку Даниловского леспромхоза. Трасса главной линии узкоколейной железной дороги на местности не установлена.
По информации от А. Мерщикова, узкоколейная железная дорога упоминалась в публикациях районной (?) газеты в 1950 году.
Не позднее 1970-х годов узкоколейная железная дорога была полностью разобрана.
__________________________________________________________________________________________________
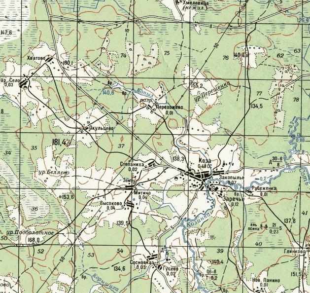
Козская узкоколейная железная дорога. Предполагаемый начальный пункт — село Коза, расположенное на левом берегу реки Козинка.

Район местонахождения узкоколейной железной дороги на топографической карте масштаба 1:100 000,
изданной в 1986 году (узкоколейная железная дорога не обозначена). По информации от А. Мерщикова, Козская узкоколейная железная дорога была лесовозной, относилась к Даниловскому леспромхозу. Предполагаемый начальный пункт — село Кóза. Трасса главной линии узкоколейной железной дороги на местности не установлена.
Не позднее 1970-х годов узкоколейная железная дорога была полностью разобрана.
ПЕРЕСЛАВСКИЙ РАЙОН
Узкоколейная железная дорога Переславского кирпичного завода. Начальный пункт — Переславский кирпичный завод, расположенный на восточной окраине города Переславля.

Район местонахождения узкоколейной железной дороги на топографической
карте масштаба 1:50 000, изданной в 1988 году. Информация об этой узкоколейной железной дороге получена от С. Костыгова. Узкоколейная железная дорога принадлежала Переславскому кирпичному заводу, расположенному на восточной окраине города Переславля, к северу от одноимённой станции (конечного пункта железнодорожной линии широкой колеи Берендеево — Переславль).
Протяжённость узкоколейной железной дороги, по состоянию на начало 1990-х годов, составляла менее 1 километра (от завода до глиняного карьера). На ней работал один тепловоз ТУ6А.
Приблизительно в 1995 году протяжённость узкоколейной железной дороги была сокращена примерно до 300 метров, тепловоз перестал использоваться — вагонетки перемещали канатной тягой. По состоянию на 1997 год, тепловоз находился в разграбленном состоянии, но движение вагонеток посредством канатной тяги продолжалось.
Скорее всего, позднее узкоколейная железная дорога была окончательно уничтожена.
__________________________________________________________________________________________________
Узкоколейная железная дорога (?) Шушково — Рабочий Посёлок. Возможный начальный пункт — станция Шушково, расположенная на магистральной железнодорожной линии Александров — Ярославль.

Железная дорога широкой колеи (?) Шушково — Рабочий Посёлок в атласе «Схемы
железных дорог и водных путей сообщения СССР», изданном в 1943 году.

Узкоколейная железная дорога на топографической карте
масштаба 1:100 000, изданной в 1987 году. Согласно предположению, высказанному А. Мерщиковым (автором сайта www.yarvokzal.ru), по направлению Шушково — окрестности деревни Киучер с 1930-х годов могла существовать узкоколейная железная дорога, обслуживавшая разработки камня, гравия и песка.
В атласе «Схемы железных дорог и водных путей сообщения СССР», изданном в 1943 году, показана железнодорожная линия широкой колеи Шушково — Рабочий Посёлок, протяжённостью 10 километров. Данный атлас имеет доказанные ошибки, касающиеся отображения ширина колеи, но в данном случае, скорее всего, ширина указана верно — данная ветвь действительно была ширококолейной. Никаких доказательств того, что она когда-либо имела узкую колею, найти не удалось.
Железнодорожная линия была полностью разобрана не позднее 1970-х годов в связи с прекращением добычи гравия. На топографических картах, изданный в 1980-е годы и позднее, она показана разобраннной.
__________________________________________________________________________________________________
Узкоколейная железная дорога Батьковско-Ольховского торфопредприятия. Начальный пункт — посёлок Кубринск.
Узкоколейная железная дорога ранее входила в единую сеть узкоколейных железных дорог Купанского транспортного управления. С 2002 года является изолированной.
Узкоколейная железная дорога полностью разобрана. Ориентировочная дата ликвидации: 2010 год.
__________________________________________________________________________________________________
Узкоколейная железная дорога Переславского железнодорожного музея-заповедника. Начальный пункт — посёлок Талицы.
Узкоколейная железная дорога ранее входила в единую сеть узкоколейных железных дорог Купанского транспортного управления. С момента создания музея в 1990 году небольшой участок узкоколейной железной дороги (около 2 километров), соединявший посёлок Талицы с магистральной линией Купанское — Кубринск Купанского транспортного управления, находился в собственности музея, но оставался частью единой сети.
С 2004 года, после варварского уничтожения большинства линий узкоколейной железной дороги бывшего Купанского транспортного управления, данный участок является изолированным.
По состоянию на 2010 год, узкоколейная железная дорога действует (производится эпизодическая обкатка экспонатов музея).
__________________________________________________________________________________________________
Узкоколейная железная дорога Берендеевского торфопредприятия. Начальный пункт — станция Перегрузочная, расположенная в посёлке Берендеево, вблизи станции Берендеево на железнодорожной линии Александров — Ярославль.
Узкоколейная железная дорога полностью разобрана. Ориентировочная дата ликвидации — 2000 год.
ПОШЕХОНСКИЙ РАЙОН
Пошехоно-Володарская узкоколейная железная дорога. Начальный пункт — посёлок Зубарёво, расположенный на берегу Рыбинского водохранилища, вблизи устья реки Согожи.
Узкоколейная железная дорога полностью разобрана. Ориентировочная дата ликвидации: 1998 год.
__________________________________________________________________________________________________
Носовская (?) узкоколейная железная дорога. Начальный пункт — посёлок Носово, расположенный на левом берегу реки Согожа (узкоколейная железная дорога начиналась на правом берегу, напротив посёлка).

Район местонахождения узкоколейной железной дороги на топографической карте
масштаба 1:200 000, изданной в 1986 году (нанесена на основе данных
карты, изданной в 1977 году).

Узкоколейная железная дорога на топографической карте масштаба 1:100 000, изданной в 1977 году (обозначена разобранной). По информации от А. Мерщикова, в данном районе существовали два объекта узкой колеи — на Носовском лесопункте и на лесопункте Красный Яр. Более длительно существовавшая узкоколейная железная дорога относилась к Носовскому участку (лесопункту) Пошехоно-Володарского леспромхоза. Согласно публикациям региональной прессы, в 1950 году в Носовский лесопункт был завезён мотовоз. Возможно, узкоколейная железная дорога была построена в 1952 году.
В конце 1953 года был построен рельсовый путь узкой колеи Красный Яр — Гривцово, на котором применялась конная тяга. Он просуществовал недолго.
Лесовозная «сплавная» узкоколейная железная дорога Носовского лесопункта действовала ориентировочно до конца 1960-х годов. Её протяжённость, согласно топографической карте масштаба 1:100 000, изданной в 1977 году, составляла около 8 километров.
Узкоколейная железная дорога полностью разобрана.
__________________________________________________________________________________________________
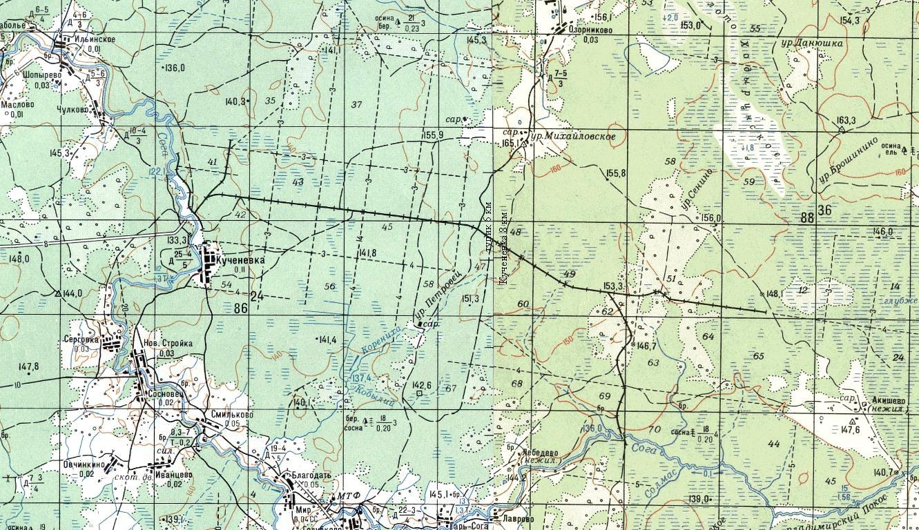
Согская узкоколейная железная дорога. Начальный пункт — посёлок Кученёвка, расположенный на правом берегу реки Сога.

Узкоколейная железная дорога на топографической карте
масштаба 1:500 000, изданной в 1979 году.

Узкоколейная железная дорога на топографической карте масштаба 1:200 000, изданной в 1991 году. Узкоколейная железная дорога на топографической карте масштаба 1:100 000, изданной в 1986 году
Узкоколейная железная дорога являлась лесовозной, «сплавной». По информации от А. Мерщикова, основанной на архивных данных, узкоколейная железная дорога относилась к Свердловскому участку (лесопункту) Пошехоно-Володарского леспромхоза.
Ориентировочная дата открытия первого участка узкоколейной железной дороги — 1950 год. По состоянию на 1954 год, на узкоколейной железной дороге насчитывалось 2 паровоза, 1 мотовоз, 35 вагонов-сцепов и вагонов-платформ.
Протяжённость узкоколейной железной дороги на пике её развития, согласно топографическим картам, составляла около 20 километров.
Узкоколейная железная дорога полностью разобрана. Ориентировочный период ликвидации — 1980-е годы.
__________________________________________________________________________________________________
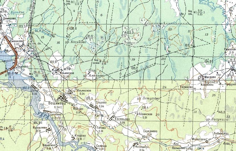
Рельсовый путь узкой колеи вблизи населённого пункта Вощиково. Начальный пункт — село Вощиково, расположенное вблизи правого берега реки Ухра.

Район местонахождения рельсового пути узкой колеи на топографической карте
масштаба 1:100 000, изданной в 1986 году. По информации от А. Мерщикова, основанной на архивных данных, вблизи села Вощиково, по состоянию на 1951 год, существовал рельсовый путь узкой колеи, на котором применялась конная тяга. Рельсовый путь узкой колеи использовался для вывоза леса, находился в ведении Арефинского участка Пошехоно-Володарского леспромхоза. Рельсовый путь узкой колеи пролегал от Вощиково на восток, в сторону деревни Любимцево.
Рельсовый путь узкой колеи полностью разобран. Ориентировочный период ликвидации — 1960-е годы.
РОСТОВСКИЙ РАЙОН
Узкоколейная железная дорога торфопредприятия «Караш». Начальный пункт — посёлок Караш.

Район местонахождения узкоколейной железной дороги на топографической карте
масштаба 1:100 000, изданной в 1941 году.

Район местонахождения узкоколейной железной дороги на топографической карте
масштаба 1:100 000, изданной в 1991 году.

Узкоколейная железная дорога на топографической карте масштаба 1:100 000 из атласа «Ярославская область»,
изданного ООО «Фирма «Арбалет» в 2001 году. Обозначена разобранной, обозначена не полностью. Массовая добыча торфа вблизи посёлка Караш началась в 1930-х годах. На топографической карте масштаба 1:100 000, изданной в 1941 году, вблизи посёлка Караш показаны торфоразработки, обозначение узкоколейной железной дороги отсутствует.
По информации от В. Миронова, узкоколейная железная дорога на торфопредприятии «Караш» существовала ориентировочно с 1940-х годов до 1970-х годов. Узкоколейная железная дорога связывала посёлок Караш с торфомассивом и со станцией Сильницы на магистральной железнодорожной линии Александров — Ярославль.
Незадолго до ликвидации торфопредприятия (либо в период ликвидации) его имущество (торфодобывающая техника и подвижной состав узкоколейной железной дороги) было передано на более современное Захаро-Годеновское торфопредприятие, находившееся в посёлке Приозёрный.
__________________________________________________________________________________________________
Узкоколейная железная дорога Захарово-Годеновского торфопредприятия. Начальный пункт — посёлок Приозёрный.

Узкоколейная железная дорога на топографической карте
масштаба 1:200 000, изданной в 198? году. Узкоколейная железная дорога на топографической карте масштаба 1:100 000, изданной в 1991 году
Узкоколейная железная дорога на топографической карте масштаба 1:50 000, изданной в 1988 году
Захаро-Годеновское торфопредприятие находилось в посёлке Приозёрный Ростовского района Ярославской области. В ведении торфопредприятия находилась узкоколейная железная дорога, связывавшая посёлок Приозёрный с торфомассивами и со станцией Петровск на магистральной железнодорожной линии Александров — Ярославль.
Узкоколейная железная дорога была открыта не позднее 1960-х годов. По информации от В. Миронова, подвижной состав для этой узкоколейной железной дороги частично был взят с узкоколейной железной дороги соседнего торфопредприятия «Караш», признанного неперспективным.
Протяжённость узкоколейной железной дороги составляла около 15 километров, в том числе линия Приозёрный — Петровск — 12 километров. На станции Петровск торф перегружался в вагоны широкой колеи.
Ориентировочный период ликвидации узкоколейной железной дороги — начало 1990-х годов. После этого минимальная добыча торфа вблизи Приозёрного продолжалась, торф вывозился автомобильным транспортом.
__________________________________________________________________________________________________
Узкоколейная железная дорога на карьерах Петровского карьероуправления, расположенных в окрестностях станции Сильницы. Начальный пункт — посёлок Павлова Гора, находящийся вблизи станции Сильницы на магистральной железнодорожной линии Александров — Ярославль.

Узкоколейная железная дорога на топографической карте
масштаба 1:100 000, изданной в 1941 году.

Узкоколейная железная дорога на топографической карте масштаба 1:200 000, изданной в 198? году
(на том месте, где обозначена узкоколейная железная дорога, к моменту издания карты уже
длительное время действовала железная дорога широкой колеи). Вблизи станции Сильницы на магистральной железнодорожной линии Александров — Ярославль как минимум с 1930-х годов ведётся массовая добыча нерудных материалов (камня, песка). На топографической карте масштаба 1:100 000, изданной в 1941 году, показаны линии узкоколейной железной дороги от станции Сильницы на запад, к карьеру у деревни Андронеж, и на восток, к карьеру у деревни Хмельники.
По информации от А. Мерщикова, в 1950-х годах был создан Первитинский карьер, расположенный между населёнными пунктами Коленово и Первитино. При карьере был построен рабочий посёлок Горный. Предположительно, к Первитинскому карьеру также была проложена линия узкоколейной железной дороги протяжённостью около 10 километров, не позднее 1960-х годов она была заменена железной дорогой широкой колеи. По другой версии, железная дорога на Первитинский карьер изначально была ширококолейной (в некоторых картах она обозначена как узкоколейная по ошибке).
По информации от А. Максимова, в 1968 году действующая узкоколейная железная дорога находилась на карьере у села Павловское (рабочий посёлок карьера имеет название Павлова Гора). Узкоколейная железная дорога имела небольшую протяжённость, пролегала от забоев карьера до приёмного бункера щебёночного завода, расположенного в посёлке Павлова Гора. В то время на ней работал как минимум один паровоз П24 и мотовоз МД54-4. Вскоре (ориентировочно в 1969-1970 году) вместо узкоколейной железной дороги на карьере стали использоваться пути широкой колеи и автомобильный транспорт.
__________________________________________________________________________________________________
Узкоколейная железная дорога Приимковского торфопредприятия. Начальный пункт — посёлок Приимковского торфопредприятия (ныне не существует).

Узкоколейная железная дорога на топографической карте масштаба 1:100 000,
изданной в 1941 году.

Узкоколейная железная дорога на топографической карте масштаба 1:100 000, изданной в 198? году
(нанесена условно, на основе данных карты, изданной в 1941 году). Узкоколейная железная дорога была построена в 1930-х годах. По информации от А. Мерщикова, узкоколейная железная дорога предназначалась для доставки топливного торфа на льнокомбинат «Заря Социализма» в городе Гаврилов Ям. По узкоколейной железной дороге торф перевозился от Приимковского торфомассива до станции Вахрушево (?) на железнодорожной линии широкой колеи, затем — по широкой колее в Гаврилов Ям. Протяжённость узкоколейной железной дороги составляла около 3 километров.
По информации от А. Мерщикова, основанной на архивных данных, в 1943 году на узкоколейной железной дороге имелись два мотовоза — газогенераторный и жидкостный.
В 1960-х годах добыча торфа была прекращена, узкоколейная железная дорога была разобрана. Помимо ликвидации узкоколейной железной дороги, прекращение добычи торфа на Приимковском торфомассиве привело к ликвидации находившегося на нём посёлка и станции Вахрушево (?) на железнодорожной линии широкой колеи Семибратово — Гаврилов Ям.
__________________________________________________________________________________________________
Узкоколейная железная дорога Ростов — торфомассив Савинский Мох. Начальный пункт — город Ростов (Ростов Великий).

Узкоколейная железная дорога на топографической карте масштаба 1:100 000,
изданной в 1941 году.

Узкоколейная железная дорога на топографической карте масштаба 1:100 000, изданной в 1992 году
(нанесена условно, на основе данных карты, изданной в 1941 году). Узкоколейная железная дорога была построена в 1930-х годах. По неподтверждённым данным, она принадлежала торфопредприятию «Савинский Мох». Протяжённость узкоколейной железной дороги, согласно топографической карте масштаба 1:100 000, изданной в 1941 году, составляла около 10 километров. На линии узкоколейной железной дороги имелись рабочие посёлки, в которых проживали торфодобытчики (пос. №1, пос. №2).
В 1960-х годах добыча торфа была прекращена, узкоколейная железная дорога была разобрана. Рабочие посёлки при этом также были ликвидированы.
__________________________________________________________________________________________________
Узкоколейная железная дорога (?) на Ростовской кофе-цикорной фабрике. Местонахождение — город Ростов (Ростов Великий).
По информации от А. Мерщикова, основанной на архивных данных либо материалах районной прессы, по состоянию на 1941 год, на Ростовской кофе-цикорной фабрике для внутренних перевозок использовалась узкоколейная железная дорога (либо рельсовый путь узкой колеи, на котором применялась ручная либо конная тяга).
Узкоколейная железная дорога (?) полностью разобрана.
РЫБИНСКИЙ РАЙОН
Узкоколейная железная дорога кирпичного завода в Рыбинске. Местонахождение — город Рыбинск.
По информации от А. Мерщикова, основанной на архивных данных, на кирпичном заводе в Рыбинске (точное местонахождение не установлено) действовала узкоколейная железная дорога. ПО состоянию на 1956 год, на узкоколейной железной дороге насчитывалось 8 вагонов (либо вагонеток).
Узкоколейная железная дорога полностью разобрана.
__________________________________________________________________________________________________
Узкоколейная железная дорога на Рыбинском кожевенном заводе №1. Местонахождение — город Рыбинск.
По информации от А. Мерщикова, основанной на архивных данных либо публикациях местной прессы, на Рыбинском кожевенном заводе №1 в 1942 году была построена узкоколейная железная дорога, предназначенная для внутренних перевозок.
Узкоколейная железная дорога полностью разобрана.
__________________________________________________________________________________________________
Узкоколейная железная дорога исправительно-трудового учреждения в Рыбинске. Местонахождение — город Рыбинск.
По информации от А. Мерщикова, основанной на архивных данных либо публикациях местной прессы, на территории пересыльной тюрьмы, расположенной в районе Переборы города Рыбинска, действовала узкоколейная железная дорога. По неподтверждённым данным, узкоколейная железная дорога действовала также в рыбинской исправительно-трудовой колонии №2 («Двойка»).
Узкоколейная железная дорога полностью разобрана.
__________________________________________________________________________________________________
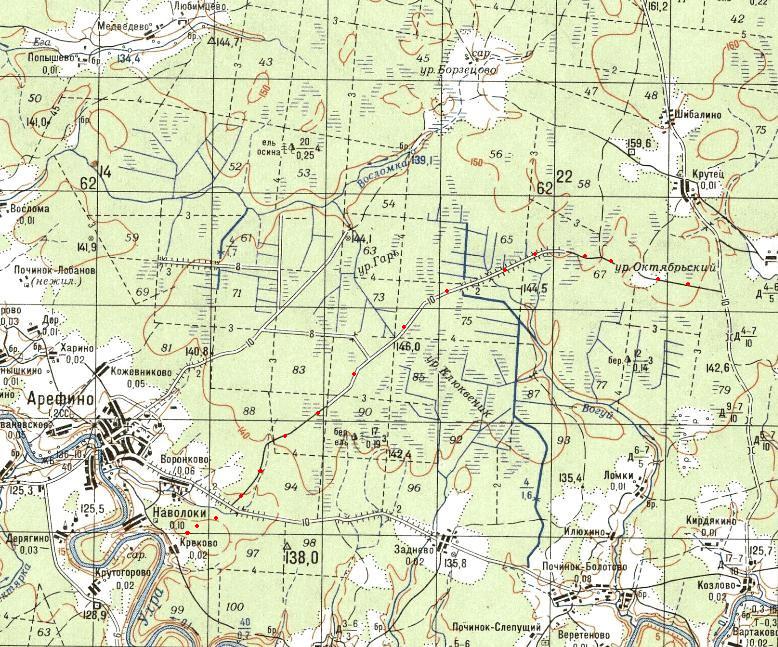
Рельсовый путь узкой колеи вблизи села Арефино. Начальный пункт — село Арефино, расположенное на правом берегу реки Ухра.

Предполагаемая трасса рельсового пути узкой колеи на топографической
карте масштаба 1:100 000, изданной в 1986 году. По информации от А. Мерщикова, основанной на архивных данных, вблизи села Арефино, по состоянию на 1952 год, существовал рельсовый путь узкой колеи, на котором применялась конная тяга. Рельсовый путь узкой колеи использовался для вывоза леса, находился в ведении Арефинского участка Рыбинского леспромхоза (не следует путать его с Арефинским участком Пошехоно-Володарского леспромхоза).
Рельсовый путь пролегал по приблизительному направлению: деревня Креково (ближайшие окрестности Арефино, берег реки Ухры) — деревня Крутец. Не исключено, что позднее рельсовый путь узкой колеи стал полноценной узкоколейной железной дорогой.
Рельсовый путь узкой колеи полностью разобран. Ориентировочный период ликвидации — 1960-е годы.
__________________________________________________________________________________________________
Узкоколейная железная дорога кирпичного завода в посёлке Песочное. Начальный пункт — кирпичный завод, расположенный в посёлке Красная Горка (левобережная часть посёлка Песочное).

Узкоколейная железная дорога на топографической карте
масштаба 1:100 000, изданной в 1986 году (обозначена
на основе данных карты 1970-х годов издания).

Узкоколейная железная дорога на топографической карте масштаба 1:50 000, изданной
в 1989 году (обозначена на основе данных карты 1970-х годов издания). Песоченский (?) кирпичный завод находился в посёлке Красная Горка (формально входит входит в состав посёлка Песочное, отделён от него рекой Волгой). Кирпичному заводу принадлежала узкоколейная железная дорога, связывавшая завод с глиняным карьером. Её протяжённость, согласно топографическим картам, составляла менее 1 километра.
Узкоколейная железная дорога полностью разобрана. Ориентировочный период ликвидации — 1970-е годы. Источник информации: узкоколейная железная дорога обозначена на топографической карте масштаба 1:50 000, изданной в 1972 году. На аналогичной карте, изданной в 1989 году, не показана ни узкоколейная железная дорога, ни глиняный карьер.
__________________________________________________________________________________________________
Узкоколейная железная дорога Рыбинского торфопредприятия. Начальный пункт — станция Перегрузочная, расположенная в посёлке Тихменево, вблизи станции Тихменево на железнодорожной линии Ярославль — Сонково.
Узкоколейная железная дорога полностью разобрана. Дата ликвидации — 2005 год.
ТУТАЕВСКИЙ РАЙОН
Узкоколейная железная дорога кирпичного завода в посёлке Волжский. Начальный пункт — посёлок Волжский, расположенный на левом берегу реки Волги.

Узкоколейная железная дорога на топографической карте масштаба 1:100 000, изданной в 1975 году.

Узкоколейная железная дорога на топографической карте масштаба 1:50 000, изданной в 1989 году
(нанесена условно, на основе данных карты масштаба 1:100 000, изданной в 1975 году). Узкоколейная железная дорога принадлежала кирпичному заводу (его название не установлено), использовалась для доставки глины от карьера до завода. Протяжённость узкоколейной железной дороги составляла приблизительно 1 километр.
30 сентября 2004 года на разобранной узкоколейной железной дороге побывал любитель железных дорог из Москвы Д. Фокин. По информации от него, на тот момент узкоколейная железная дорога была разобрана, кирпичный завод был полуразрушен. Вблизи разрушенного завода сохранялась кабина мотовоза МД54-4, небольшие фрагменты рельсов.
По утверждению Д. Фокина, узкоколейная железная дорога была разобрана приблизительно в 1999 году. Факт наличия относительно хорошо сохранившихся развалин указывает на то, что данная дата может быть близкой к действительности. Вероятно, узкоколейная железная дорога не была обозначена на топографической карте масштаба 1:50 000, изданной в 1989 году, не в силу того, что она была разобрана к моменту подготовки карты, а в силу недобросовестной работы картографов.
__________________________________________________________________________________________________
Узкоколейная железная дорога Константиновского кирпичного завода. Начальный пункт — посёлок Константиновский, расположенный у станции Константиновский Завод (конечный пункт железнодорожной линии Тутаево — Константиновский Завод).

Район местонахождения узкоколейной железной дороги на топографической карте
масштаба 1:50 000, изданной в 1989 году. По информации от А. Мерщикова, основанной на архивных данных и публикациях областной газеты «Северный Рабочий», Константиновский кирпичный завод находился на 28-м километре автомобильной дороги Ярославль — Тутаев — Рыбинск. Завод был принят в эксплуатацию в октябре-ноября 1958 года. С момента начала работы завода на нём действовала узкоколейная железная дорога, предназначенная для доставки глины от карьера до приёмно-сырьевого отделения завода. Сведений о подвижном составе нет.
По информации от А. Мерщикова, в прессе встречались и другие названия завода: «Цех Ярославского кирпичного завода №1» (бывший Константиновский кирпичный завод); «Филиал Норского завода красного кирпича»; «3-й участок Ярославского кирпичного завода №1». Скорее всего, все они относились к одному и тому же предприятию.
Узкоколейная железная дорога была полностью разобрана не позднее 1990-х годов.
__________________________________________________________________________________________________
Узкоколейная железная дорога Тутаевском кирпичном заводе №1. Местонахождение — город Тутаев, расположенный у станции Старое Тутаево (конечный пункт железнодорожной линии Чёбаково — Тутаево).
По информации от А. Мерщикова, основанной на публикациях региональной прессы, по состоянию на 1957 год, на Тутаевском кирпичном заводе №1 действовала узкоколейная железная дорога, предназначенная для доставки глины от карьера до завода. Точное местонахождение завода неизвестно (возможно, левобережная часть города).
Узкоколейная железная дорога полностью разобрана.
УГЛИЧСКИЙ РАЙОН
Узкоколейная железная дорога в окрестностях села Путчино. Начальный пункт — село Путчино, расположенное на левом берегу реки Сабля.

Район местонахождения узкоколейной железной дороги на топографической карте
масштаба 1:100 000, изданной в 1978 году.

Район местонахождения узкоколейной железной дороги на топографической карте
масштаба 1:50 000, изданной в 1988 году. По информации от В. Миронова, в селе Путчино и его окрестностях действовала узкоколейная железная дорога. Узкоколейная железная дорога, предположительно, обслуживала Путчинский льнозавод, открытый в 1933 году. Имелись паровозы. Никаких иных сведений не известно.
На топографической карте масштаба 1:100 000, изданной в 1941 году, узкоколейная железная дорога в окрестностях Путчино не обозначена.
Узкоколейная железная дорога (в случае, если она когда либо существовала) полностью разобрана.
__________________________________________________________________________________________________
Узкоколейная железная дорога на стройплощадке Угличской ГЭС. Местонахождение — город Углич.

Район местонахождения узкоколейной железной дороги на топографической карте
масштаба 1:50 000, изданной в 1989 году. Строительство плотины Угличской ГЭС на реке Волге началось в 1938 году, основные работы были закончены в 1943 году (достройка продолжалась до 1955 года).
При строительстве плотины Угличской ГЭС использовалась временная узкоколейная железная дорога. Тяговый подвижной состав был представлен мотовозами.
Цитата из материала «На борту теплохода «Иосиф Сталин», опубликованного в газете «Комсомольская Правда», номер от 24 апреля 1937 года (http://www.oldgazette.ru/kopravda/24041937/text2.html):
Углич мы миновали сегодня утром. Строительство, развернувшееся там, производит огромнейшее впечатление. Часть перемычки уже воздвигнута. Пологий когда-то левый берег становится высоким. Огромная насыпь на этом берегу уже очерчивает будущее направление Волги. Вдали маячат краны и экскаваторы. По насыпям движутся мотовозы с тележками. Весь берег завален штабелями строительного камня.
Скорее всего, узкоколейная железная дорога была полностью разобрана ещё до окончательного завершения строительства Угличской ГЭС в 1955 году.
http://russos.livejournal.com/669463.html — фоторепортаж, посвящённый Угличской ГЭС, на сайте А. Попова (фотографии сделаны в 2010 году)
ЯРОСЛАВСКИЙ РАЙОН И ГОРОД ЯРОСЛАВЛЬ
Узкоколейная железная дорога кирпичного завода в селе Кузнечиха. Местонахождение — село Кузнечиха.

Узкоколейная железная дорога на топографической карте
масштаба 1:100 000, изданной в 1975 году. В селе Кузнечиха, находящемся вблизи северной окраины города Ярославля, действовал кирпичный завод, имевший узкоколейную железную дорогу, предназначенную для доставки глины из карьера.
Информация от А. Мерщикова (www.yarvokzal.ru):
Завод находился примерно в километре к востоку от шоссе Ярославль — Вологда (от въезда в Кузнечиху со стороны Ярославля). Глина добывалась в расположенном неподалёку карьере и грузилась на узкоколейную железную дорогу, проложенную петлёй вокруг карьера (был ли аналогичный разворот на самом заводе — неизвестно). Вагонетки были с опрокидывающимися кузовами, промышленного изготовления, а локомотив был самодельным и в своей прежней до-рельсовой жизни являлся трактором конструкции НАТИ (Научный авто-тракторный институт).
Общая длина пути (ветка от завода до карьера и периметр карьера) составляла 1,5 километра. В таком виде узкоколейная железная дорога существовала во второй половине 1960-х годов, а в 1974 году завод уже не работал, узкоколейная железная дорога была почти разобрана, оставалось лишь несколько звеньев. Более точные даты существования узкоколейной железной дороги неизвестны.
По состоянию на 2004 год, на расстоянии примерно километра к востоку от завода не просматривается никаких признаков наличия в прошлом карьера. Первые 200 метров застроены (автобаза, склад), а дальше — ровное поле (результат рекультивации ландшафта).
Узкоколейная железная дорога полностью разобрана. Ориентировочная дата ликвидации — 1973 год.
__________________________________________________________________________________________________
Узкоколейная железная дорога Филино — Волгострой (?). Возможный начальный пункт — станция Филино, расположенная на железнодорожной линии Ярославль — Данилов.

Разобранная узкоколейная железная дорога (?) на топографической карте
масштаба 1:100 000, изданной в 1975 году. Факт существования узкоколейной железной дороги по направлению Филино — Кузнечиха — Толгоболь — Пазушино — Волгострой представляется спорным. Возможно, узкоколейная железная дорога была построена в начале 1930-х годов, когда на реке Волге немногим выше Ярославля предполагалось строительство плотины крупной гидроэлектростанции. В 1935 году место строительство ГЭС было перенесено из Ярославля в Рыбинск. О неосуществлённом проекте строительства ГЭС у Ярославля напоминает название посёлка Волгострой.
http://www.unost-yar.ru/index.php?page=text&text=05-38-101s — «Рыбинская ГЭС могла быть под Ярославлем»
К месту строительства Ярославской ГЭС была подведена железнодорожная линия широкой колеи, пролегающая южнее предполагаемой узкоколейной железной дороги. Если узкоколейная железная дорога дорога по направлению Филино — Кузнечиха — Толгоболь — Пазушино — Волгострой действительно существовала — она могла действовать непродолжительное время, до открытия параллельной линии широкой колеи, либо остаться недостроенной.
Не исключена вероятность того, что по этому направлению строилась железная дорога широкой колеи. Позднее её было решено проложить южнее.
На топографической карте масштаба 1:500 000, изданной в 1941 году, и в атласе «Схемы железных дорог и водных путей сообщения СССР», изданном в 1943 году, показаны узкоколейные железные дороги, пролегающие по направлениям Филино — Волгострой и Филино — Красный Профинтерн. Однако это не является доказательством того, что они действительно существовали — почти нет сомнений, что относительно ширины колеи данных линий составители этих карт допустили ошибку.

Узкоколейные железные дороги (?) Филино — Волгострой и Филино — Красный Профинтерн
на топографической карте масштаба 1:500 000, изданной в 1941 году.

Узкоколейные железные дороги (?) Филино — Волгострой и Филино — Красный Профинтерн
в атласе «Схемы железных дорог и водных путей сообщения СССР»,
изданном в 1943 году. Узкоколейная железная дорога (в случае, если она когда-либо существовала) полностью разобрана.
В июне 2011 года по возможной трассе узкоколейной железной дороги (данные на основе карты) совершил поход один из любителей железных дорог. Информация от него:
Возле станции Филино всё перепахано-перестроено. Так что не поймёшь, где там проходила линия...
Участок Юрятино — Сереново — Кузнечиха мне хорошо известен. По бывшей насыпи проложена асфальтовая дорога. Всё прекрасно читается на местности.
За Кузнечихой самое интересное. Сначала асфальт, потом обычная полевая грунтовка. А вот дальше — дальше путь идет через лес по очень старой и очень узкой просеке. Угадываются следы очень древних земляных работ.
За лесом снова начинаются поля. Но дорога с двух сторон огорожена высокими валами, на которых растут очень солидные берёзы. Эта аллея выходит к шоссе Ярославль — Очапки у остановки «Красный Кустарь». В этом месте аллея расширяется, дорога разделяется на две параллельные.
По всем признакам здесь когда-то давно была двухпутная станция. Возможно, также было ответвление к Волге в сторону Толгского монастыря. Помню, что в детстве я однажды по какой-то незнакомой дороге вышел от Толги к Кустарю. Но сейчас там всё застроено дачами, бесполезно искать.
За Кустарём опять начинается грунтовка. Главный ход резко отворачивает от шоссе на север и выходит в створ улицы Лебедева микрорайона Резинотехника (бывший пос. Волгострой). Дальше отследить направление УЖД пока не представляется возможным.
__________________________________________________________________________________________________
Узкоколейная железная дорога Ярославского торфопредприятия. Начальный пункт — посёлок Ляпино, расположенный в левобережной части города Ярославля.

Узкоколейная железная дорога на топографической карте масштаба 1:100 000,
изданной в 1941 году (обозначена не полностью).

Узкоколейная железная дорога на топографической карте
масштаба 1:500 000, изданной в 1979 году.

Узкоколейная железная дорога на топографической карте масштаба 1:200 000,
изданной в 1982 году (обозначена разобранной, обозначена не полностью).

Узкоколейная железная дорога на топографической карте масштаба 1:100 000,
изданной в 1981 году (обозначена разобранной, обозначена не полностью). Эта узкоколейная железная дорога предназначалась для доставки торфа на Ярославскую ГРЭС — одну из первых электростанций Советской России, построенных по плану ГОЭЛРО. По информации от А. Мерщикова, основанной на публикациях региональной прессы, при строительстве Ярославской ГРЭС (по состоянию на 1922 год) использовался рельсовый путь узкой колеи, на котором применялась ручная тяга. Он соединял стройплощадку ГРЭС со станцией Филино.
В 1922 году был открыт первый сезон добычи торфа, была запущена в эксплуатацию Ярославская ГРЭС. С этого времени на Ляпинском торфомассиве активно работала торфовозная узкоколейная железная дорога.
На протяжении некоторого времени Ярославское торфопредприятие имело Моделовский участок, находящийся на значительном удалении от основного (Ляпинского) торфомассива. Торф добывался гидравлическим способом, перекачивался из Моделовского торфомассива на Ляпинский участок по 40-километровому массопроводу.
В 1930-х годах была построена линия узкоколейной железной дороги от ГРЭС до ближайшей пристани на реке Волге. Между пристанью и ГРЭС по узкоколейной железной дороге перевозилась истопная древесина, поступавшая сплавом по Волге. Источник данной информации — книга «Ярославль за Волгой — иллюстрированный путеводитель» (автор — Н.Н. Обнорская).
В 1946 году через пристань прошла линия «Старой» Ярославской детской железной дороги. Скорее всего, на протяжении некоторого времени узкоколейная железная дорога Ярославского торфопредприятия составляла единую сеть со «Старой» Ярославской детской железной дорогой, действовавшей в 1946-1958 годах.
В 1972 году было торжественно отмечено 50-летие Ярославского торфопредприятия. В публикации «Ярославскому торфопредприятию 50 лет» из журнала «Торфяная Промышленность» (номер за ноябрь 1972 года) рассказывалось об отличных показателях его работы и ничего не говорилось о возможном сворачивании его деятельности или полном закрытии.
«Ярославскому торфопредприятию 50 лет» (материал из журнала «Торфяная Промышленность», 1972 год)
«Ярославскому торфопредприятию 50 лет» (материал из журнала «Торфяная Промышленность», 1972 год)
Реальность оказалась иной: приблизительно в 1975 году добыча торфа была сокращена до минимума, узкоколейная железная дорога была полностью разобрана. Ярославское торфопредприятие формально существовало до 1996 года.
__________________________________________________________________________________________________
Узкоколейная железная дорога Ярославского шпалопропиточного завода. Местонахождение — город Ярославль, окрестности станции Ярославль-Пристань.

Район местонахождения узкоколейной железной дороги на топографической карте
масштаба 1:50 000, изданной в 1981 году.

Район местонахождения узкоколейной железной дороги на спутниковом снимке (источник — «Google Maps»). Район местонахождения узкоколейной железной дороги на спутниковом снимке, источник — «Google Maps» (увеличенный фрагмент)
Ярославский шпалопропиточный завод находился в южной части города Ярославля, вблизи правого берега реки Волги. На заводе действовала узкоколейная железная дорога. Её назначение было типичным для узкоколейных железных дорог шпалопропиточных предприятий.
В 1980-х годах в связи с постепенным переходом на железобетонные шпалы объём работы шпалопропиточного завода снизился, было принято решение о его закрытии. 6 июня 1989 года на базе Ярославского шпалопропиточного завода было создано предприятие «Антарес», сферой деятельности которого являются: сборка и ремонт верхнего строения пути, строительство и ремонт железнодорожных и трамвайных путей, изготовление комплектующих верхнего строения пути, строительство и эксплуатация очистных сооружений, изготовление пиломатериалов, заготовка, переработка и реализация лома чёрных металов, строительство зданий и сооружений (источник информации: http://mb.csti.yar.ru/exponent/161.shtml). Скорее всего, узкоколейная железная дорога была разобрана в близкий период времени.
По состоянию на 2004 год (информация от Д. Мосейчука), на территории бывшего Ярославского шпалопропиточного завода сохранялись небольшие фрагменты путей, разграбленные тепловозы ТУ4-2395 и ТУ6А (номер не установлен).
__________________________________________________________________________________________________
Узкоколейная железная дорога Забелицкого торфопредприятия. Начальный пункт — посёлок Забелицы (ныне — часть города Ярославля).

Узкоколейная железная дорога на топографической карте масштаба 1:100 000,
изданной в 1941 году (нанесена условно).

Район местонахождения узкоколейной железной дороги на топографической карте
масштаба 1:50 000, изданной в 1981 году. По информации от А. Мерщикова, Забелицкое торфопредприятие было основано в 1920-х годах. Добыча торфа первоначально велась на небольшом торфомассиве, расположенном вблизи станции Полянки. Торфопредприятие обеспечивало топливом фабрику «Красный Перекоп» (бывшая «Ярославская Большая мануфактура»). Узкоколейной железной дороги на торфопредприятии первоначально не было.
По утверждению авторов материала «Ярославские трамваи. История развития», в период Великой Отечественной войны, когда потребность в торфяном топливе резко возросла, была построена узкоколейная железная дорога от торфомассива до фабрики «Красный Перекоп». Вблизи фабрики был сооружён перегруз торфа на трамвайную линию. По трамвайной линии на платформах торф перевозился на городскую электростанцию.
Цитата из материала «Ярославские трамваи. История развития» (http://tram.yar.ru/history.html):
В 1940 г. в трамвайном хозяйстве Ярославля проводился капитальный ремонт на Б.Пролетарской ул., Советской ул., Красной пл., меняли рельсы на кривой у Московского вокзала. В феврале 1941 г. грузовое движение было ликвидировано в связи с резким снижением перевозок. Возобновилось оно с началом войны. С Забелицкого торфопредприятия проложили узкоколейку к «Красному Перекопу», где в 1943 г. в вагонетках стали подвозить торф, перегружать на ж\д платформы, которые потом вёз трамвай на электростанцию. Производилась доставка продуктов со Всполья. В 1944 начался ремонт 20 вагонов с привлечением предприятий Ярославля. В 1945 перестроили разворотное кольцо у Московского вокзала.
По информации от А. Мерщикова, история узкоколейной железной дороги в районе «Красного Перекопа» началась раньше — в 1930-е годы. Помимо своего основного назначения — перевозки торфа, узкоколейная железная дорога использовалась для вывоза отходов из жилых корпусов к месту захоронения (слива). Кроме того, линия узкоколейной железной дороги была проложена от «Дома коллектива» «Красного Перекопа» до лабаза (склада продуктов), использовалась для перевозки продуктов от лабаза до «Дома коллектива».
Цитата из материала А. Мерщикова, 2003 год (http://finance.groups.yahoo.com/group/750mm/message/2560):
Итак, помимо Дома коллектива, есть на Перекопе ещё одна достопримечательность — корпуса. Так называются 3-4-этажные жилые дома в количестве 9 штук (из них жилыми на 2003 год остаются 4, три переделаны в административные и производственные и включены в состав комбината, а 2 расселены и уже лет 15 как находятся в состоянии вялотекущего ремонта). Построены они в конце 19 века для рабочих мануфактуры. В одном из них посчастливилось родиться автору этих строк.
Фактически это были казармы — длинный коридор и множество каморок (комнат примерно 4х10 м), в которых жили, как правило, по 3 семьи: одна у двери, одна — в середине, одна — у окна. Я этот кошмар не застал — в 1960 году наш дом переделали, и у нас уже была комната в 2-комнатной коммуналке (с туалетом, но без ванны и с кухней без окна) и ларь с картошкой в коридоре. А до переделки, по моим подсчетам, в коридоре, проходящем вдоль всего дома, было 20 каморок по одной стене и 18 — по другой.
Сколько человек жило в таком доме? [114 каморок] х [3 семьи] х [количество чел. в семье] = ну, никак не меньше тысячи душ! А каморка — это не квартира. Это только жилое помещение, без кухни, без умывальника и туалета, не говоря уж о ваннах. Помните, у Высоцкого: «На 38 комнаток — всего одна уборная». Как будто про наши перекопские корпуса пел.
Все удобства — общие, в конце коридора. И всё, что тысяча жильцов в эти удобства выливала, попадало — куда б вы думали? Нет, не в канализацию, она там появилась только в 1950-е годы. Попадало это в узкоколейные цистерны, которые стояли как раз под этими самыми удобствами. Соответственно, к каждому дому было подведено по две узкоколейных ветки. (Впрочем, возможно, это были и не цистерны, а просто чаны на колесах).
Рано утром весь этот «подвижной состав» выкатывали из домов (по одним расссказам — лошадьми, по другим - вручную) на общую линию, сцепляли и паровозом увозили в Забелицы, где и сливали в пруды (возникшие, вероятно, в процессе выработки торфа). Можете себе представить процесс движения такого поезда?
Так что, в отличие от классической торфовозной УЖД с одним грузовым направлением и встречным порожним, на перекопской дороге были грузовыми оба направления. Для тех, кто знает Ярославль (бывал в нём или хотя бы проезжал через него) — находилось это место слева от ж.д., если ехать из Москвы, не доезжая станции Полянки. А если посмотреть на атлас Ярославской области (2-километровку), то это там, где написано слово «Забелицы», левее нынешней Окружной дороги, хотя сам посёлок с таким названием находится справа от нее.
Старики рассказывали, что перед войной железнодорожный вывоз фекалий был заменён автомобильным, а в 1950-е годы, как я уже писал, построили нормальную канализацию.
Не позднее 1960-х годов добыча торфа была прекращена, узкоколейная железная дорога была полностью разобрана.
http://yarportal.ru/topic14388s60.html — обсуждение истории «Красного Перекопа», фотография узкоколейной железной дороги
__________________________________________________________________________________________________
Узкоколейная железная дорога на стройплощадке Ярославского резиноасбестного комбината. Местонахождение — город Ярославль.
По информации от А. Мерщикова, на строительстве Ярославского резиноасбестового комбината (велось в 1927-31 годах) действовала временная узкоколейная железная дорога. По ней перевозились строительные материалы и оборудование. На узкоколейной железной дороге работали паровозы. Скорее всего, узкоколейная железная дорога была разобрана после завершения строительства.
По состоянию на 2003 год, на месте Ярославского резиноасбестового комбината находилось несколько отдельных предприятий, располагающихся на единой промплощадке в районе Полушкина Роща — Ярославский шинный завод, завод синтетического каучука, ТЭЦ-1, Завод опытных машин, Полимермаш и другие.
__________________________________________________________________________________________________
Узкоколейная железная дорога Ярославского завода силикатного кирпича. Начальный пункт — Ярославский завод силикатного кирпича, расположенный в черте города Ярославля, вблизи станции Ярославль-Московский.

Узкоколейная железная дорога на топографической карте масштаба 1:50 000,
изданной в 1981 году (обозначена автором согласно сведениям,
предоставленным А. Мерщиковым). Ярославский завод силикатного кирпича находится вблизи Московского вокзала города Ярославля. Почтовый адрес завода — 150048, г. Ярославль, Силикатное шоссе, д.5. Завод был введён в эксплуатацию 21 мая 1931 года.
http://yarzsk.ru/index.php?s=1 — раздел, посвящённый истории Ярославского завода силикатного кирпича, на официальном сайте предприятия
По информации от А. Мерщикова, основанной на архивных данных и публикациях областной прессы, первоначально узкоколейной железной дороги на заводе не было. Необходимый для производства силикатного кирпича песок добывался в непосредственной близости от завода.
В период Великой Отечественной войны завод не работал. В 1946 году была проведена реконструкция завода, в ходе которой была построена узкоколейная железная дорога протяжённостью около 3 километров — до песчаного карьера, находившегося вблизи деревни Перелески. Узкоколейная железная дорога была электрифицирована. Предположительно,на ней работали переоборудованные шахтные электровозы.
В 1957-1959 годах на узкоколейной железной дороге был построен второй путь. Среди подвижного состава — неустановленный мотовоз (его наличие зафиксировано в 1951 году), 8 электровозов и 20 вагонеток (наличие зафиксировано в 1956 году).
В 1965 году было принято решение о переходе на автомобильную доставку песка из нового Климовского карьера, находившегося на значительном удалении от завода. Среди причин — узкоколейная железная дорога мешала застройке города и создавала помехи для автомобильного движения. Скорее всего, в 1965 году почти вся узкоколейная железная дорога (кроме небольшого участка внутри территории завода) была разобрана.
Небольшой участок узкоколейной железной дороги (возможно, предназначавшийся для доставки песка от места накопления до приёмного бункера) мог оставаться действующим до 1990-х годов. Источник данной информации: по утверждению начальника Горного цеха Ивановского силикатного завода Андрея Александровича Петрушова, в 1991 году (либо 1992 году) на завод поступил электровоз К10, приобретённый на Ярославском силикатном заводе. По состоянию на 2007 год, этот электровоз находился на территории Ивановского силикатного завода в разукомплектованном состоянии.
__________________________________________________________________________________________________
«Старая» Ярославская детская железная дорога. Начальный пункт — станция Родина, расположенная в черте города Ярославля.
Узкоколейная железная дорога полностью разобрана. Дата ликвидации — 1958 год.
__________________________________________________________________________________________________
«Новая» Ярославская детская железная дорога. Начальный пункт — станция Пионерская, расположенная в черте города Ярославля.
По состоянию на 2010 год, узкоколейная железная дорога действует.
__________________________________________________________________________________________________
«Малая» Ярославская детская железная дорога. Местонахождение — город Ярославль, территория Дома Культуры железнодорожников узла Ярославль-Главный.
По состоянию на 2007 год, «Малая» Ярославская детская железная дорога действует. Однако данный объект едва ли может быть признан полноценной узкоколейной железной дорогой.
__________________________________________________________________________________________________
Ярославско-Вологодско-Архангельская узкоколейная железная дорога. Начальный пункт — станция Урочь, расположенная на левом берегу реки Волги, напротив города Ярославля (в настоящее время — в черте города Ярославля).
Узкоколейная железная дорога полностью разобрана. Ориентировочная дата ликвидации последнего участка (Урочь — Филино) — 1924 год.
18.03.2010 © [ДАННЫЕ УДАЛЕНЫ]
назад
на главную страницу

