ID: 7287
УЗКОКОЛЕЙНЫЕ ЖЕЛЕЗНЫЕ ДОРОГИ КАЛУЖСКОЙ ОБЛАСТИ
1067
Калужская область — субъект Российской Федерации. Центр — г. Калуга. Площадь — 29 800 км², численность населения 1 014 тыс. чел. (2006).
По состоянию на 2007 год, в Калужской области нет действующих узкоколейных железных дорог (в том числе шахтных). Последняя действовавшая в регионе узкоколейная железная дорога находилась на шахте «Середейская» и была закрыта вместе с шахтой в 2005 году. Временная узкоколейная железная дорога на стройплощадке Центрального канализационного тоннеля в черте города Калуги не используется в связи с остановкой строительства.
БАРЯТИНСКИЙ РАЙОН
Узкоколейная железная дорога Барятинского (?) торфопредприятия. Начальный пункт — село Барятино, расположенный у станции Барятинская на железнодорожной линии Сухиничи-Узловые — Занозная.

Узкоколейная железная дорога на топографической карте масштаба
1:100 000, изданной в Германии в 1942 году.

Узкоколейная железная дорога на топографической карте масштаба 1:200 000,
изданной в 197? году (обозначена разобранной).

Узкоколейная железная дорога на топографической карте масштаба 1:100 000,
изданной в 1986 году (обозначена разобранной). Узкоколейная железная дорога предназначалась для доставки торфа из торфомассива Красниковский Мох в село Барятино. Ориентировочный период постройки узкоколейной железной дороги — 1930-е годы.
Протяжённость линии узкоколейной железной дороги (без учёта внутримассивных путей) составляла 15 километров. Вблизи торфомассива на линии узкоколейной железной дороги находился посёлок торфодобытчиков Красниковский Мох.
Вывезенный по узкоколейной железной дороге торф использовался на промышленных предприятиях села Барятино, а также перегружался на широкую колею.
Не позднее 1970-х годов добыча торфа была прекращена, посёлок Красниковский Мох был выселен. Узкоколейная железная дорога была полностью разобрана.
ДЗЕРЖИНСКИЙ РАЙОН (центр района — город КОНДРОВО)
Узкоколейная железная дорога Пятовского карьероуправления. Начальный пункт — посёлок Пятовский, расположенный вблизи станции Пятовская на железнодорожной линии Муратовка — Вязьма.

Узкоколейная железная дорога на карте масштаба 1:250 000,
изданной в США в 1954 году (обозначена пролегающей по
направлению станция Пятовская — Груздовский карьер).

Район местонахождения узкоколейной железной дороги на топографической карте масштаба
1:100 000, изданной в 1984 году (узкоколейная железная дорога не обозначена). В окрестностях посёлка Пятовский Кондровского района Калужской области имеются месторождения известняка, щебня и песка. Здесь имеется значительное число карьеров, в которых ведётся добыча этих полезных ископаемых.
Массовая добыча известняка началась в 1936 году на Груздовском карьере. В 1940 году были открыты рельсовые пути узкой колеи, на которых вагонетки перемещались конной тягой. В 1949 году рельсовый путь узкой колеи стал узкоколейной железной дорогой — поступили первые узкоколейные мотовозы.
В начале 1960-х годов (?) вместо узкоколейной железной дороги в карьерах стал использоваться автомобильный транспорт. На большинстве карьеров узкоколейная железная дорога была полностью разобрана.
Цитата из материала «Пятовское карьероуправление. История развития», опубликованного на официальном сайте ОАО «Пятовское карьероуправление» (http://www.quarry.ru/about.html):
Историю развития Пятовского карьероуправления предопределили геологоразведочные работы, связанные с поиском полезных ископаемых на территории Калужской области, которые были закончены в 1936 году. Результатом изыскательских работ явилось обнаружение на территории области значительных запасов известняков, годных для использования в различных областях народного хозяйства страны.
В 1936 году на разведанном месторождении известняков Наркомат путей сообщения (НКПС) открыл Груздовский каменный карьер для нужд путевого хозяйства.
В 1937 году для этих же нужд НКПС открывает второй — Васильевский карьер, находящийся вблизи Груздовского карьера. Свои названия карьеры получили от названия деревень, расположенных рядом с карьерами.
Уровень развития техники тех лет предопределил и примитивную технологию добычи и переработки известняка: вскрытие и транспортировка горных пород осуществлялась гужевым транспортом, а переработка известняка в щебень и бутовый камень производилась исключительно вручную.
В 1940 году в карьерах были проложены первые узкоколейные железные дороги, по которым камень из карьера вывозился в вагонетках ёмкостью 0,75 — 1,0 м3 с помощью гужевого транспорта и вручную.
В период Великой Отечественной войны работы в карьерах не прекращались. По окончании войны возросла потребность в известковом щебне для восстановления разрушенного народного хозяйства. Для этих целей МПС (бывш. НКПС) в 1949 году начало строительство щебёночного завода №16 в котором технологией уже была предопределена механизированная переработка известняка в щебень.
Строительство щебёночного завода №16 в 1949 году и явилось отправной точкой будущего предприятия — Пятовского карьероуправления.
В это же время появились и средства механизации работ в карьере — доставка известняка на завод осуществлялась в вагонетках с помощью мотовоза. Однако погрузка камня в вагонетки осуществлялась вручную, что конечно же сдерживало производительность завода.
Для исключения ручного труда при погрузке камня в вагонетки к концу 40-х годов был использован первый паровой экскаватор, который к началу 50-х годов был заменён на на более производительный дизельный экскаватор ЧКД — МС производства Чехословакии.
Все вышеуказанные карьеры и щебзавод №16 структурно принадлежали Полотняно-Заводскому карьероуправлению. В 1956 году Полотняно-Заводское карьероуправление было реорганизовано и на базе Груздовского, Васильевского карьеров и щебзавода №16 было образовано Пятовское карьероуправление. Это преобразование было связано с передачей известняковых карьеров из состава МПС в состав вновь созданного Управления — Главмоспромстройматериалы в г. Москве.
В это время в Москве получает широкое развитие промышленность сборного железобетона для нужд жилищного и промышленного строительства. Одновременно остро встаёт вопрос о резком увеличении производства щебня для нужд строительства гг. Москвы, Калуги и Калужской области. Вследствие этого на Пятовском карьероуправлении с 1958 года начато строительство дробильно-сортировочной фабрики (ДСФ) мощностью 350 тыс.м3 щебня в год с одновременным открытием нового сырьевого карьера.
Кроме этого строится цех горного транспорта с тёплыми боксами для стоянки и ремонта автотехники. На смену мотовозной тяге приходит более производительный автотранспорт: автосамосвалы «МАЗ-205», и «ЗиЛ-585». В карьере появляются более мощные экскаваторы ОМ-202 и Э-505.
Представляется вероятным, что на отдельных карьерах (по меньшей мере на Груздовском карьере) узкоколейная железная дорога продолжалала действовать после 1960-х годов на протяжении длительного времени. Отдельные фрагменты путей узкой колеи и узкоколейные вагонетки встречались на Груздовском карьере в 2006 году.
Цитата из обсуждения Груздовского карьера (http://www.obninsk.ru/forum/viewtopic.php?t=1726):
В карьере не копались, он очень старый, давным-давно всё заросло, но обрыв остался. Там даже заброшенная древняя узкоколейка тоже есть.
...
Так сложно без карты объяснить, но в 90-х годах она была там. Если стоять на карьере (на обрыве) и смотреть вдаль, то наткнуться на неё можно, пойдя вперёд-влево (обойдя карьер слева).
...
Кстати, узкоколейку разобрали давно, от неё только шпалы местами остались. И вагонетки попадаются.
Фотографий, подтверждающих факт наличия остатков путей узкой колеи на Груздовском карьере, по состоянию на 2010 год, найти не удалось.
http://kalugafoto.narod.ru/pyatovskiy.html — фотографии карьеров, заводов и подъездных путей широкой колеи в окрестностях посёлка Пятовский, сделанные в 2008 году, автор — К. Сальников
__________________________________________________________________________________________________
Узкоколейная железная дорога Кондровского целлюлозно-бумажного комбината. Местонахождение — город Кондрово, расположенный вблизи станции Говардово на железнодорожной линии Муратовка — Вязьма.

Район местонахождения узкоколейной железной дороги на топографической карте масштаба
1:50 000, изданной в 1984 году (узкоколейная железная дорога не обозначена). Кондровский целлюлозно-бумажный комбинат находится в городе Кондрово. Отсчёт истории предприятия ведётся с XVIII века.
На Кондровском целлюлозно-бумажном комбинате имелась узкоколейная железная дорога, предназначавшаяся для межцеховых грузовых перевозок. Ширина колеи всегда (?) составляла 600 мм.
Согласно документам, из Кондровского целлюлозно-бумажного комбината в 1970-х годах были переданы на Калининградский целлюлозно-бумажный комбинат №2 вагонетки колеи 600 мм.
Узкоколейная железная дорога полностью разобрана. Возможный период ликвидации — 1970-е годы.
ДУМИНИЧСКИЙ РАЙОН
Узкоколейная железная дорога в окрестностях станции Пробуждение. Начальный пункт — посёлок Ряплово, расположенный вблизи станции Пробуждение на железнодорожной линии Сухиничи — Фаянсовая.

Узкоколейная железная дорога на топографической карте масштаба 1:200 000,
изданной в 1986 году (нанесена условно). По неподтверждённым данным, узкоколейная железная дорога была лесовозной, действовала в 1940-1950-х годах.
Узкоколейная железная дорога полностью разобрана.
ЖИЗДРИНСКИЙ РАЙОН
Узкоколейная железная дорога Зикеево — Тупик (?). Возможный начальный пункт — станция Зикеево, расположенная на магистральной железнодорожной линии Сухиничи — Брянск.

Узкоколейная железная дорога (?) на топографической карте масштаба 1:100 000, изданной в 1941 году.

Узкоколейная железная дорога на топографической карте масштаба 1:250 000, изданной в США в 1953 году (состояние местности
соответствует довоенному времени). Ошибочно (?) обозначена как железная дорога широкой колеи.

Узкоколейная железная дорога (?) на топографической карте масштаба 1:200 000,
изданной в 1986 году (обозначена разобранной, обозначена не полностью) Узкоколейная железная дорога (либо ведомственная железнодорожная линия широкой колеи) пролегала по направлению станция Зикеево — посёлок Тупик, её протяжённость составляла 22 километра.
Узкоколейная железная дорога (либо ведомственная железнодорожная линия широкой колеи) была построена не ранее 1904 года (в 1904 году была открыта станция Зикеево), не позднее 1930-х годов. По неподтверждённым данным, она использовалась для доставки леса, древесного угля либо железной руды на Хотьковский чугунолитейный завод, находившийся в селе Хотьково Думиничского района. Ширина колеи с достоверностью не установлена.
http://www.hotikovo.ru/index.php?option=com_content&view=article&id=57&Itemid=60 — история села Хотьково и Хотьковского чугунолитейного завода
http://hvastovichi.ru/index.php?option=com_content&view=article&id=114:abrashin&catid=2:raion&Itemid=19 — о посёлке Тупик
Узкоколейная железная дорога (либо железная дорога широкой колеи) была полностью разобрана не позднее 1970-х годов. По неподтверждённым данным, она не была восстановлена после Великой Отечественной войны.
__________________________________________________________________________________________________
Узкоколейная железная дорога Паликского кирпичного завода. Начальный пункт — посёлок Кирпичный Завод, расположенный вблизи станции Палики на железнодорожной линии Сухиничи — Брянск.

Район местонахождения узкоколейной железной дороги на топографической карте масштаба 1:100 000,
изданной в 1995 году (узкоколейная железная дорога не обозначена). Паликский кирпичный завод находится вблизи станции Палики на магистральной железной дороге Сухиничи — Брянск (Москва — Киев). Завод имеет давнюю историю. До 1970-х годов (?) на заводе действовала узкоколейная железная дорога, предназначавшаяся для доставки глины от карьеров до заводских цехов. Сведениями о протяжённости и подвижном составе автор не располагает.
В 1920-1940-х годах посёлок Палики являлся конечным пунктом одной из ветвей Мальцевской (Урицкой) узкоколейной железной дороги, ширина колеи которой составляла 914 мм.
ИЗНОСКОВСКИЙ РАЙОН
Торфовозная узкоколейная железная дорога в окрестностях посёлка Износки. Начальный пункт — посёлок Износки, расположенный вблизи станции Износки на железнодорожной линии Тихонова Пустынь — Вязьма.

Узкоколейная железная дорога на топографической карте
масштаба 1:100 000, изданной в 1941 году.

Узкоколейная железная дорога на топографической карте масштаба 1:100 000,
изданной в 1984 году (нанесена условно). Узкоколейная железная дорога действовала с 1930-х годов до 1960-х годов (?), предназначалась для доставки в посёлок Износки топливного торфа, добывавшегося на Носовском торфомассиве. Протяжённость узкоколейной железной дороги, без учёта внутримассивных путей, составляла около 3 километров.
Узкоколейная железная дорога полностью разобрана.
__________________________________________________________________________________________________
Лесовозная узкоколейная железная дорога в окрестностях посёлка Износки. Начальный пункт — посёлок Износки, расположенный вблизи станции Износки на железнодорожной линии Тихонова Пустынь — Вязьма.
По утверждению Н. Епишевой, в 1930-1940-х годах в окрестностях посёлка Износки существовала лесовозная узкоколейная железная дорога, пролегавшая по направлению Износки — район не существующего в настоящее время населённого пункта Синеево. Протяжённость узкоколейной железной дороги составляла приблизительно 24 километра.
Определить направление узкоколейной железной дороги на местности не удалось.
ГОРОД КАЛУГА
Узкоколейная железная дорога на Калужском машиностроительном заводе. Местонахождение — город Калуга.
Калужский машиностроительный завод в 1955-1959 годах производил магистральные тепловозы колеи 750 мм ТУ1 и ТУ2. До этого на протяжении некоторого времени завод производил узкоколейные мотовозы.
Узкоколейная железная дорога на Калужском машиностроительном заводе действовала в то время, когда завод производил локомотивы узкой колеи. Скорее всего, вскоре после отказа от производства узкоколейных локомотивов она была разобрана.
__________________________________________________________________________________________________
Узкоколейная железная дорога на стройплощадке Центрального канализационного тоннеля. Местонахождение — город Калуга.
Строительство Центрального канализационного тоннеля в городе Калуге ведётся с конца 1980-х годов. Тоннель строится закрытым способом, при этом используется временная узкоколейная железная дорога.
Строительство неоднократно прекращалось и возобновлялось. По состоянию на лето 2008 года, проходка тоннеля не велась из-за отсутствия финансирования и технических проблем. Сроки завершения строительства не установлены.
http://kalugafoto.narod.ru/metro.html — фотографии стройплощадки тоннеля, сделанные в 2008 году, автор — К. Сальников
КОЗЕЛЬСКИЙ РАЙОН
Узкоколейная железная дорога Березичского стекольного завода. Начальный пункт — Березичский стекольный завод, расположенный в посёлке Березичский Стеклозавод.

Район местонахождения узкоколейной железной дороги на топографической карте масштаба 1:100 000,
изданной в 1995 году (узкоколейная железная дорога не обозначена). По информации от А. Приваловского, на Березичском стекольном заводе по меньшей мере в 1950-1960-х годах действовала узкоколейная железная дорога, предположительно использовавшаяся для доставки песка от карьера до завода (либо топливного торфа от ближайшего торфомассива до завода). На ней работал неустановленный «самодельный» мотовоз.
Узкоколейная железная дорога была полностью разобрана не позднее 1970-х годов.
__________________________________________________________________________________________________
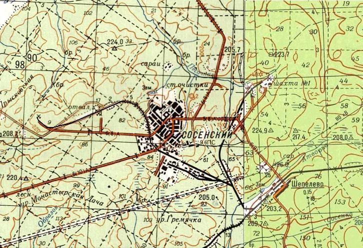
Узкоколейные железные дороги на шахтах вблизи города Сосенский. Начальные пункты — шахты, расположенные в окрестностях города Сосенский.

Район местонахождения узкоколейных железных дорог на топографической карте масштаба
1:100 000, изданной в 1984 году (западная часть), 1993 году (восточная часть).
Узкоколейные железные дороги не обозначены. В окрестностях города (до 1991 года — посёлка) Сосенский в 1930-1990-х годах действовали угольные шахты. На всех (?) шахтах имелись шахтные узкоколейные железные дороги, имевшие наземные участки.
Узкоколейные железные дороги были уничтожены вместе с шахтами.
http://www.sosensky.ru/history/buklet/1.php — история города Сосенского (материал на официальном сайте города)
http://community.livejournal.com/ru_abandoned/130098.html — материал А. Фетисова, посвящённый поездке на заброшенную шахту вблизи Сосенского (поездка произведена в 2006 году)
ЛЮДИНОВСКИЙ РАЙОН
Узкоколейная железная дорога на Людиновском тепловозостроительном заводе. Местонахождение — Людиновский тепловозостроительный завод, расположенный в городе Людиново.
Людиновский тепловозостроительный завод является главным предприятием города Людиново. В конце XIX века — начале XX века завод производил паровозы и вагоны для Мальцевской узкоколейной железной дороги колеи 914 мм.
С 1967 года до конца 1990-х годов Людиновский тепловозостроительный завод производил тепловозы колеи 1067 мм для Сахалинской железной дороги (однако основной продукцией являлись ширококолейные локомотивы). На заводе была построена узкоколейная железная дорога колеи 1067 мм. По информации от А. Ольшевского, пути колеи 1067 мм соединяли между собой сборочный цех, малярно-сдаточный цех и весовую. Многие из них были совмещёнными (1067 мм/1520 мм).
По состоянию на 1990-е годы, пути колеи 1067 мм существовали только между малярно-сдаточным цехом и весовой, их протяжённость была минимальной. Единственным подвижным составом колеи 1067 мм являлись производимые заводом локомотивы. «Постоянного» подвижного состава колеи 1067 мм не было.
Вблизи Людиновского тепловозостроительного завода имеется испытательное кольцо, предназначенное для испытаний и обкатки локомотивов, построенных заводом. Обкатку на кольце проходят все без исключения тепловозы, построенные заводом. Однако кольцо всегда имело ширину колеи 1520 мм. Трёхниточных путей на нём никогда не было. Испытания тепловозов, предназначенных для колеи 1067 мм, велись на тележках колеи 1520 мм.
По информации от А. Ольшевского, существовал проект модернизации испытательного кольца, включавший укладку второго пути, оборудование автоблокировкой, постройку отдельной петли для испытаний со скоростями до 100 км/час, а также строительства «многониточного» участка с шириной колеи 1520 мм/1435 мм/1067 мм (1435 мм — для экспортных тепловозов). Ничего из этого не было реализовано.
Производство тепловозов колеи 1067 мм прекратилось в 1990-е годы. В 2002 году было принято решение о реконструкции Сахалинской железной дороги на колею 1520 мм, что исключает возможность его возобновления в будущем. Скорее всего, вскоре после этого пути колеи 1067 мм были разобраны.
МАЛОЯРОСЛАВСКИЙ РАЙОН
Узкоколейная железная дорога кирпичного завода (?) в городе Малоярославец. Начальный пункт — город Малоярославец, расположенный у станции Малоярославец на железнодорожной линии Бекасово — Тихонова Пустынь.

Район местонахождения узкоколейной железной дороги на топографической карте масштаба
1:100 000, изданной в 1984 году (узкоколейная железная дорога не обозначена). Узкоколейная железная дорога протяжённостью около 1 километра находилась на восточной окраине города Малоярославца, южнее железной дороги широкой колеи. Предположительно, узкоколейная железная дорога соединяла кирпичный завод с глиняным карьером.
Узкоколейная железная дорога была полностью разобрана не позднее 1970-х годов.
МОСАЛЬСКИЙ РАЙОН
Узкоколейная железная дорога Калуговского торфопредприятия. Начальный пункт — посёлок Калуговский.
Калуговское торфопредприятие находится в посёлке Калуговский. В ведении торфопредприятия находилась узкоколейная железная дорога (полностью разобрана в 1990-х годах).
Посёлок Калуговский является частью Мосальского района Калужской области, однако на всех известных топографических картах обозначен как находящийся в Угранском районе Смоленской области. Поэтому автор вынужден отнести данную узкоколейную железную дорогу к числу узкоколейных железных дорог Смоленской области.
ГОРОД ОБНИНСК
Узкоколейная железная дорога вблизи станции Обнинское (?). Предполагаемое местонахождение — город Обнинск, расположенный у станции Обнинское на железнодорожной линии Бекасово — Тихонова Пустынь.
По неподтверждённым данным, во второй половине 1940-х годов действовала узкоколейная железная дорога между станцией Обнинское и «Объектом «В», позже ставшим первой в мире Обнинской атомной электростанцией. Узкоколейная железная дорога использовалась для доставки материалов и оборудования на место строительства данного объекта.
Цитата из произведения «На объекте «В». К 50-летию Первой в мире атомной электростанции», автор — Кружко И. Ф. (http://www.clubistok.ru/kray/2004/krugko04/11.html):
Станция Обнинское на Киевской ж.д. Сюда, на 101-й километр, в предвоенные годы и все последующие выдворяли из Москвы «неблагонадёжных». Такие оседали в ближайших селениях — Белоусово, Мишково, Доброе, Пяткино — рядом с железной дорогой. Маленький пристанционный посёлок в одну короткую улицу между ж. д. и Киевским шоссе весной и осенью утопал в болоте. Мощённая бревнами дорога уходила вглубь из—под колёс редких грузовиков, дерзнувших пробираться от Варшавского шоссе через непроезжую часть разбитого Киевского шоссе сюда, к станции Обнинское, и далее на объект «В».
Легковые машины начальства проезжали к деревне Доброе, поворачивали направо на опушку берёзовой рощи, пытались взобраться на небольшой пригорок и тут застревали. Здесь им на выручку приходили офицеры с объекта во главе с генералом Буяновым Л. С., вышедшие заблаговременно встречать начальство. Они же его и провожали с объекта до твёрдой «Варшавки».
На станции обычно не останавливались никакие поезда, кроме рабочего Москва — Малоярославец, два раза в сутки, утром и вечером. По ночам прибывали раз-два в неделю транспорты со спец. грузами. Грузчиков на станции не было, и эшелоны приходилось разгружать нам, офицерам с объекта, спешно собираемых через посыльных штабом. Долго держать эти транспорты запрещалось. Работа тяжёлая, грязная, до седьмого пота. Но к утру порожняк убирали со станции, а груз шёл по назначению, Так продолжалось до тех пор, пока от станции не протянули на объект узкоколейку с краном и мотовозом и нас от этой работы не освободили.
Не исключено, что «узкоколейкой» назван подъездной путь широкой колеи.
Узкоколейная железная дорога (в случае, если она когда-либо существовала) полностью разобрана.
СПАС-ДЕМЕНСКИЙ РАЙОН
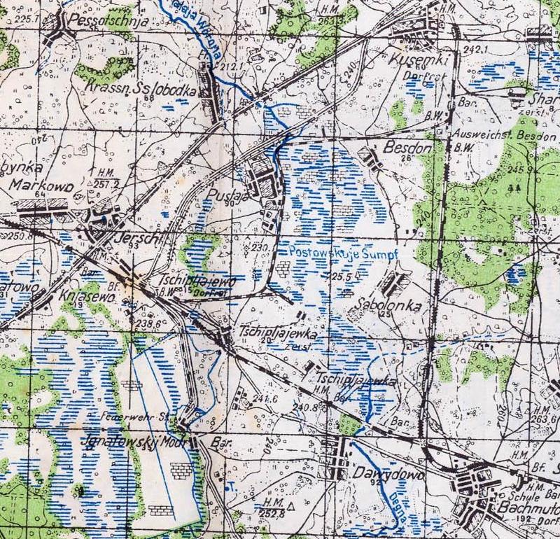
Узкоколейная железная дорога Чипляевского торфопредприятия, Пустовский участок. Начальный пункт — посёлок Чипляево, расположенный вблизи станции Чипляево на железнодорожной линии Занозная — Духовская.

Узкоколейная железная дорога на топографической карте
масштаба 1:100 000, изданной в 1941 году.

Узкоколейная железная дорога на топографической карте
масштаба 1:100 000, изданной в Германии в 1942 году.

Узкоколейная железная дорога на топографической карте
масштаба 1:200 000, изданной в 1986 году.

Узкоколейная железная дорога на топографической карте
масштаба 1:100 000, изданной в 1986 году.

Увеличенный фрагмент предыдущей карты. Чипляевское торфопредприятие находилось в посёлке Чипляево, имело два участка — Пустовский (севернее железной дороги широкой колеи) и Игнатовский (южнее железной дороги широкой колеи). На каждом участке находились невзаимосвязанные узкоколейные железные дороги.
История узкоколейной железной дороги на Пустовском участке началась со строительства узкоколейной железной дороги Чипляево — Милятино (ныне — территория Спас-Деменского района Калужской области). Она связала станцию Чипляево на Смоленско-Данковской железнодорожной линии с Милятинской фабрикой обёрточной бумаги (позднее — бумажным заводом). Линия Чипляево — Милятино была открыта не позднее 1910 года.
Цитата из материала «Чипляево (описание станций РУЖД и их окрестностей)» (http://ruzgd.ru/chiplyaevo.shtml):
Чипляево расположено на 143 версте от Смоленска, в Мосальском уезде.
...
В районе станции находится имение княгини 3.Н. Юсуповой, графини Сумароковой-Эльстон, занимающее 19000 десятин. В имении при селе Милятино, в 16 верстах от станции, — лесопильный завод и фабрика оберточной бумаги; перерабатывается на бумагу еловый лист, в количестве до 1000 кубических саженей в год. Фабрика эта соединена со станцией Чипляево узкоколейным рельсовым путем.
...
В 1911 году со станции Чипляево отправлено 9600 пассажиров и 485 тысяч пудов грузов; прибыло грузов 203 тысячи пудов. Преобладали в отправлении лесные материалы, оберточная бумага, картон и щепной товар, а в прибытии — хлебные грузы.

«Путь на бумажную фабрику княгини Юсуповой, графини Сумароковой-Эльстон от станции Чипляево» (Источник: http://ruzgd.ru/il/i_221_s.jpg)
В 1933 году была введена в эксплуатацию магистральная железнодорожная линия широкой колеи Вязьма — Занозная — Фаянсовая. Новая железная дорога в двух местах пересекла трассу узкоколейной железной дороги Чипляево — Милятино — Новомилятино: первое пересечение находилось вблизи населённого пункта Куземки, второе — вблизи Новомилятино.
Наличие одноуровневых пересечений узкоколейной железной дороги с магистральной железнодорожной линией сочли неприемлемым. Поэтому вскоре участок Чипляево — Милятино был разобран, взамен была построена короткая ветвь от села Милятино до новой станции Милятинский Завод, где появился перегрузочный пункт.
Приблизительно тогда же было начато освоение торфомассива Пустовский Мох, расположенного в окрестностях станции Чипляево. Была построена узкоколейная железная дорога, вначале соединившая торфомассив Пустовский Мох с разъездом Бездон на железнодорожной линии Занозная — Вязьма, затем — со станцией Чипляево. Трасса новой торфовозной узкоколейной железной дороги не дублировала трассу старой узкоколейной железной дороги Чипляево — Милятино.
По информации от С. Костыгова, на узкоколейной железной дороге с 1930-х годов работали мотовозы. С 1960-х годов использовались мотовозы МД54-4. Локомотивного депо на узкоколейной железной дороге не было. В 1988 году узкоколейная железная дорога была разобрана.
Цитата из материала «Вторая Смоленская», посвящённого поездке на узкоколейные железные дороги Смоленской и Калужской областей, произведённой в мае 2006 года, автор — С. Костыгов (http://www.pereyezd.ru/print.php?type=A&item_id=27):
Пустовский участок Чипляевского торфопредприятия был открыт в 1930 году. В 30-х годах добыча торфа велась паровой торфодобывающей машиной (баггером), стилка производилась вручную. Позднее на стилке торфа стала работать стилочная машина. До 50-х годов в торфопредприятии велась добыча кускового торфа, с конца 50-х годов начали добывать фрезерный торф. Вывозка торфа с болота на станцию Чипляево производилась по узкоколейной железной дороге. Причём, по утверждению очевидицы, паровозов на ней никогда не было, с 30-х годов на УЖД работали мотовозы. В 60–70-х годах это были два МД54-4.
Депо на узкоколейке никогда не было. При отсутствии работы мотовозы отстаивались под открытым небом, у расположенного на окраине посёлка здания пескосушилки. Там же производился их мелкий ремонт. В случае необходимости проведения сложного ремонта какого-нибудь узла (дизеля, коробки передач и проч.), последний снимался с мотовоза при помощи кран-балки и на тракторном прицепе доставлялся в здание ремонтно-механических мастерских торфоучастка.
Вывозка торфа производилась следующим образом. Мотовоз с составом из 4 вагонов подавался под погрузку на временный путь. По окончании погрузки рабочие садились в мотовоз и ехали с составом на перегруз, где разгружали вагоны. Порожняк снова отправлялся на болото. Так «челноком» локомотив и работал весь день. Второй мотовоз в это время находился в резерве или использовался в хозяйственных целях. В виду небольшой удалённости Пустовского Мха от Чипляево (около 3 км), пассажирского движения на УЖД не было. Обычно местные жители добирались до станции МПС пешком, бывало отвозили на мотовозе.
В конце 70-х – начале 80-х годов на узкоколейку поступил новый локомотив – самоходная электростанция ЭСУ2а. ЭСУшка обладала большой кабиной, что сразу было положительно оценено работниками торфоучастка. Теперь бригаде разгрузчиков вагонов можно было не ютиться в тесном мотовозе, а свободно ехать на перегруз в комфортабельной кабине ЭСУ.
В 1982 году в связи с отказом постоянных потребителей от топливного торфа торфопредприятие перешло на добычу сельхозторфа. Его также возили в Чипляево на перегруз. Добыча торфа на Пустовском торфоучастке была закрыта в 1986 году. В 1987 году узкоколейка ещё существовала, но торф по ней уже не возили. Лишь изредка ЭСУ ездила по хозяйственным надобностям в Чипляево. В 1988 году движение было окончательно прекращено, УЖД была закрыта. Вскоре началась её разборка.
По состоянию на 2001 год, среди немногих сохранившихся следов узкоколейной железной дороги существовали два вагона ТСВ, лежавшие недалеко от посёлка Пустовский Мох.
__________________________________________________________________________________________________
Узкоколейная железная дорога Чипляевского торфопредприятия, Игнатовский участок. Начальный пункт — посёлок Чипляево, расположенный вблизи станции Чипляево на железнодорожной линии Занозная — Духовская.

Узкоколейная железная дорога на топографической карте
масштаба 1:100 000, изданной в 1941 году.

Узкоколейная железная дорога на топографической карте
масштаба 1:100 000, изданной в 1986 году. По утверждению С. Костыгова, узкоколейная железная дорога на Игнатовском участке Чипляевского торфопредприятия была построена в период Великой Отечественной войны 1941-1945 годов. Это не соответствует действительности — узкоколейная железная дорога обозначена на топографической карте масштаба 1:100 000, изданной в 1941 году.
Цитата из материала «Вторая Смоленская», посвящённого поездке на узкоколейные железные дороги Смоленской и Калужской областей, произведённой в мае 2006 года, автор — С. Костыгов (http://www.pereyezd.ru/print.php?type=A&item_id=27):
В завершение вопроса о Чипляевском торфопредприятии стоит кратко рассказать читателю и об узкоколейной железной дороге Игнатовского участка. Игнатовская узкоколейка была построена в конце Великой Отечественной войны, в 1944–45 годах. В первое время на ней использовались трофейные немецкие рельсы и подвижной состав. Узкоколейка служила для перевозки торфа с Игнатовского торфоболота на перегрузочный пункт станции Чипляево.
Протяжённость дороги составляла 3 км. На УЖД работал трофейный немецкий паровоз с осевой формулой 1-2-0. В конце 50-х годов на узкоколейку поступил отечественный паровоз ВП4. Его котёл, правда, без таблички, мы обнаружили в 2001 году на развалинах бани посёлка Игнатовский. Паровоз ВП стал заниматься магистральными перевозками, а старый немецкий паровоз использовался на погрузке и хозработах.
В 1960-х годах локомотивный парк дороги пополнился мотовозом МД54-4, сменившим «немца», а в 1975 году на смену паровозу ВП4 поступил тепловоз ТУ6А-330 (в кузове ТУ4). Узкоколейка проработала до 1982 года, после чего в связи с прекращением поставок топливного торфа была закрыта. До конца 80-х годов с торфоучастка машинами в окрестные совхозы возили сельхозторф, после чего добыча торфа была полностью прекращена, торфопредприятие закрылось.
В конце 1980-х годов началась разборка Игнатовской УЖД, но тогда пути были сняты лишь частично. В 2001 году вдоль автодороги Чипляево – Игнатовский во многих местах ещё лежали нитки рельс раскантованной узкоколейки. Немало рельс оставалось и на заросшем болоте. На окраине посёлка, где раньше отстаивались локомотивы УЖД, мы тогда обнаружили фрагменты кабины мотовоза МД54-4 и капот от ТУ6А. В 2006 году мы в Игнатовский заезжать не стали, вряд ли там осталось хоть что-то из обнаруженного в 2001-м. А про что-то не найденное ранее в свете «металлоломного бума» последних лет и думать не стоило…
Одним из потребителей торфа, добытого Чипляевским торфопредприятием, являлся Чипляевский метизный завод. По состоянию на 1990-е годы, на территории завода сохранялся неиспользуемый подвижной состав.
По утверждению С. Костыгова, узкоколейная железная дорога на Игнатовском участке была закрыта раньше, чем на Пустовском участке — в 1982 году. Полный демонтаж пути после этого не производился, поэтому ржавые рельсы местами встречались и в 2001 году.
СУХИНИЧСКИЙ РАЙОН
Узкоколейная железная дорога на шахте «Середейская». Местонахождение — шахта «Середейская», расположенная в окрестностях посёлка Середейский, вблизи станции Живодовка на железнодорожной линии Сухиничи — Брянск.

Район местонахождения шахты и узкоколейной железной дороги на топографической
карте масштаба 1:100 000, изданной в 1984 году. Шахта «Середейская» была построена в 1950-х годах. На шахте производилась добыча бурого угля (Подмосковный угольный бассейн). Добыча угля велась на глубине около 100 метров от поверхности.
На шахте действовала шахтная узкоколейная железная дорога, имевшая наземные участки незначительной протяжённости и разветвлённую сеть линий под землёй. Предполагаемая ширина колеи — 900 мм.
В 1990-е годы шахта продолжала работать, став единственным угледобывающим предприятием Калужской области (ранее имелись также шахты в окрестностях города Сосенский и в посёлке Куровской). После 2000 года работа шахты была нестабильной.
http://www.vest-news.ru/show_article.php?aid=62 — «Пойдёт ли на-гора лучший в Европе уголь?» (газета «Весть», номер от 14.10.2004, автор — Л. Бекасов)
Цитата из материала «28 августа — День шахтёра», опубликованного в газете «Весть», номер от 26.08.2005, автор — Л. Бекасов (http://www.vest-news.ru/show_article.php?aid=1311):
Никогда не забуду, как 19 лет назад впервые приехал на эту шахту по заданию редакции. Вот так же, в конце августа, ко Дню шахтёра требовалось подготовить репортаж о трудовых буднях угледобытчиков. В ходе беседы в дирекции попросил разрешения спуститься под землю. Начальники некоторое время раздумывали. Оно и понятно: любая шахта — это объект повышенной опасности и пустить туда постороннего — значит взять на себя немалую ответственность. В этой отрасли всегда существовали строгие инструкции. Тем не менее руководство шахты ответственности не побоялось.
Правда, к журналисту приставили трёх сопровождающих — заместителя главного инженера, начальника отдела техники безопасности и почему-то председателя профкома. Наверное, как знатока шахтёрских душ.
Все облачились в шахтёрскую спецодежду — робу, резиновые сапоги (ох как они пригодились), рукавицы, каску. Через плечо — противогаз, на пояс — шахтёрскую лампу (вдруг свет отключат?).
Шахтёрская клеть, будто скоростной лифт, быстро доставила почти на 100-метровую глубину. А дальше — полуторачасовое путешествие по разветвленным подземным коридорам, где ориентир не потеряет только тот, кто бывает здесь ежедневно.
...
Как позже выяснилось, до цели, куда мы направлялись, было пять километров. Когда мы их преодолели, увидели, что впереди — тупик, а перед ним — угледобывающий комбайн. Когда он вращающимся ротором вгрызался в пласт, не только жуткий грохот раздавался, но и земля под ногами ощутимо вздрагивала.
Горнорабочие на минутку выключили свой агрегат, журналист задал несколько вопросов и, преисполненный впечатлений, пустился в обратный путь. Он оказался гораздо легче и быстрее. Любезные хозяева привели гостя к колее подземной железной дороги. По ней обычно отправляют на-гора вагонетки с углем, а также развозят шахтерские смены. Скоро подошел подземный тепловоз, к которому был прицеплен вагончик с сиденьями. Через несколько минут мы уже были на поверхности.
...
Потом кредиторы навязали своего конкурсного управляющего Евгения Богданова. Тот издал приказ, согласно которому с 22 апреля 2005 года все шахтёры были сокращены в связи с банкротством предприятия. Часть людей пошла на биржу труда:
По словам Квасникова, шахтеры понимали, что при конкурсном управлении имущество предприятия продается, а вырученные средства должны идти на покрытие долгов, в том числе по зарплате. «Наша невыплаченная зарплата осталась лежать под землей», — говорили между собой шахтеры, имея в виду находящееся в забоях оборудование.
А шахту затапливало. Воду откачивали насосами. Инспекция наложила запрет на вход в шахту. Опасно. Но кое-что из оборудования рабочим удалось из-под земли вынести. Теперь — всё. Затопление идёт сильное.
Работа шахты остановилась в апреле 2005 года. Через некоторое время шахта была затоплена.
В последующие годы высказывались намерения восстановления шахты либо строительства шахты «Новая Середейская». Осуществятся ли они когда-либо — неизвестно.
ХВАСТОВИЧСКИЙ РАЙОН
Еленская (?) узкоколейная железная дорога. Начальный пункт — посёлок Еленский, расположенный вблизи станции Еленск на железнодорожной линии Полпинская — Дудорово (по состоянию на 2011 год, железнодорожная линия полностью разобрана).

Узкоколейная железная дорога на топографической карте масштаба 1:500 000, изданной в 1986 году. Узкоколейная железная дорога на топографической карте масштаба 1:200 000, изданной в 1978 году
Узкоколейная железная дорога была лесовозной, принадлежала Еленскому леспромхозу. Первый участок узкоколейной железной дороги был открыт в период от 1944 года до 1955 года. Протяжённость узкоколейной железной дороги на пике развития составляла свыше 50 километров. Среди имевшегося на узкоколейной железной дороге тягового подвижного состава — тепловозы ТУ4.
Работа узкоколейной железной дороги прекратилась в конце 1980-х годов в связи с переходом на автомобильную вывозку леса. Узкоколейная железная дорога была полностью разобрана.
По информации от Э. Грачёва, побывавшего в посёлке Еленский в мае 2001 года, одним из немногих напоминаний об узкоколейной железной дороге был мост через ручей в посёлке Еленский, сделанный из вагона-платформы узкой колеи.
Еленский леспромхоз, по состоянию на 2000-е годы, оставался действующим. Вывозка леса велась автомобильным транспортом.
http://www.inter-les.ru/about.asp — информация о Еленском леспромхозе
09.03.2010 © [ДАННЫЕ УДАЛЕНЫ]
назад
на главную страницу

