ID: 7286
УЗКОКОЛЕЙНЫЕ ЖЕЛЕЗНЫЕ ДОРОГИ КАЛИНИНГРАДСКОЙ ОБЛАСТИ
1816
Калининградская область — субъект Российской Федерации. Центр — г. Калининград. Площадь — 15 100 км², численность населения 945 тыс. чел. (2005).
Калининградская область вошла в состав России в 1945 году. До этого времени данная территория являлась частью Германии. Особенность региона — наличие большого числа узкоколейных железных дорог, построенных в германский период истории. В составе Германии территория нынешней Калининградской области была плотно покрыта сетью узкоколейных железных дорог, которые имели отличное техническое оснащение. Официальное название таких узкоколейных железных дорог — Kleinbahn («Малая железная дорога»). Ширина колеи «кляйнбанов» в большинстве случаев составляла 750 мм. В категорию «Kleinbahn» входили и некоторые ширококолейные железные дороги.
Почти все узкоколейные железные дороги (среди протяжённых — все) не возобновили работу после завершения военных действий и перехода региона в состав СССР. Основная причина этого — не разрушения, полученные в ходе войны, а бесхозяйственность и безразличие. Может возникнуть впечатление, что в состав СССР переходил слишком высокоразвитый регион — степень его развития понизили, убрав многое из достижений германского времени. В том числе и сотни километров узкоколейных железных дорог, трамвай в Тильзите, около половины железных дорог широкой колеи.
Среди немногих восстановленых узкоколейных железных дорог германского периода — Калининградский трамвай, узкоколейная железная дорога Калининградского целлюлозно-бумажного комбината, узкоколейная железная дорога Неманского целлюлозно-бумажного комбината, узкоколейная железная дорога янтарного комбината в посёлке Янтарный (Пальмникен).
Позднее в регионе были построены новые узкоколейные железные дороги (не существовавшие до 1945 года). Это узкоколейная железная дорога Нестеровского торфопредприятия, узкоколейная железная дорога Краснознаменского торфопредприятия, узкоколейная железная дорога Полесского торфопредприятия. Все они были разобраны в 1990-х и 2000-х годах.
Уникальная особенность Калининградской области: в 2006 году здесь была построена полноценная узкоколейная железная дорога на Балтийской косе. Проработав около двух лет, она была полностью разобрана.
По состоянию на 2011 год, единственной действующей узкоколейной железной дорогой Калининградской области является Калининградский трамвай.
БАГРАТИОНОВСКИЙ РАЙОН
Узкоколейная (?) железная дорога Tharau (Владимиров) — Kreuzburg (Славское). Начальный пункт — станция Tharau (Владимиров), расположенная на железнодорожной линии Калининград — Багратионовск.

Узкоколейная (?) железная дорога на топографической карте
масштаба 1:200 000, изданной в 193? году.

Узкоколейная (?) железная дорога на топографической карте масштаба 1:200 000,
изданной в 1987 году (нанесена условно, на основе данных других карт). Факт существования этой узкоколейной железной дороги не доказан. Известно, что в 1907 году была открыта «Tharau — Kreuzburg Kleinbahn». Несмотря на употребление термина «Kleinbahn», скорее всего, колея всегда была широкой — 1435 мм.
Некоторые некомпетентные любители железных дорог в силу употребления термина «Kleinbahn» относят данную железную дорогу к числу узкоколейных железных дорог.
Железная дорога не была восстановлена после 1945 года.
http://de.wikipedia.org/wiki/Kleinbahn_Tharau–Kreuzburg — статья на немецком языке (упоминается колея 1435 мм с момента постройки)
автоперевод
БАЛТИЙСКИЙ ГОРОДСКОЙ ОКРУГ
Узкоколейные железные дороги на молах в Пиллау (Балтийске). Местонахождение — город Пиллау (Балтийск).

Узкоколейные железные дороги на топографической карте
масштаба 1:100 000, изданной в 193? году. На Северном и Южном молах Кёнигсбергского морского канала в городе Пиллау (Балтийск) действовали узкоколейные железные дороги. Скорее всего, они использовались при строительстве молов, затем служили для грузовых перевозок (точное назначение неизвестно). Позднее на Северном моле был уложен «трёхниточный» путь (широкая и узкая колея).
Узкоколейные железные дороги работали вплоть до 1945 года, когда город Пиллау (с 1946 года Балтийск) был взят советскими войсками и присоединён к СССР.
http://russian-west.narod.ru/gorod/simvol/proshlie/proshlie3.htm — история строительства Северного и Южного молов

Фотография «трёхниточного» пути на Северном моле (Источник: http://russian-west.narod.ru/gorod/simvol/proshlie/115k.jpg)
http://fotki.yandex.ru/users/RoofCat/view/22931/ — пути узкой и широкой колеи на Северном моле (открытка, изданная в Германии, предположительно в начале ХХ века)
Узкоколейная железная дорога снова появилась на Южном моле в 2006 году. Но автор считает эту узкоколейную железную дорогу другой узкоколейной железной дорогой.
__________________________________________________________________________________________________
Узкоколейная железная дорога на Южном входном моле Калининградского морского канала. Местонахождение — Балтийская коса.
Узкоколейная железная дорога построена в 2006 году. До 1945 года на этом месте находилась другая узкоколейная железная дорога.
Узкоколейная железная дорога полностью разобрана. Дата ликвидации — 2008 год.
ГУРЬЕВСКИЙ РАЙОН
Узкоколейная железная дорога Gross-Raum (Рябиновка) — Ellerkrug (Храброво). Начальный пункт — станция Gross-Raum (Рябиновка), расположенная на железнодорожной линии Калининград — Зеленоградск.

Узкоколейная железная дорога на топографической карте
масштаба 1:100 000, изданной в 193? году.

Железная дорога широкой колеи Рябиновка — аэропорт Храброво на топографической карте
масштаба 1:100 000, изданной в 1987 году. Узкоколейная железная дорога Gross-Raum (Рябиновка) — Ellerkrug (Храброво) открыта в 1916 году. Узкоколейная железная дорога определялась как частная (Privatbahn).
http://verkehr.freepage.de/samlandbahn — упоминание узкоколейной железной дороги (на немецком языке)
После 1945 года (?) на месте узкоколейной железной дороги была построена железная дорога широкой колеи к аэропорту Храброво — главному гражданскому аэропорту Калининградской области.
По состоянию на 2011 год, ведомственная железнодорожная линия широкой колеи Рябиновка — аэропорт Храброво является действующей.
ГОРОД КАЛИНИНГРАД
Калининградский трамвай. Местонахождение — город Калининград. Ширина колеи составляет 1000 мм.
По состоянию на 2011 год, узкоколейная железная дорога действует.
__________________________________________________________________________________________________
Узкоколейная железная дорога Калининградского целлюлозно-бумажного комбината. Местонахождение — город Калининград. Ширина колеи составляет 600 мм.
По состоянию на 2011 год, узкоколейная железная дорога не действует. Узкоколейная железная дорога полностью не разобрана. Однако вероятность восстановления узкоколейной железной дороги близка к нулю.
__________________________________________________________________________________________________
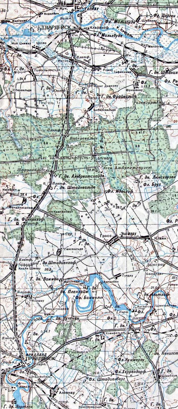
Сеть узкоколейных железных дорог к востоку от Кёнигсберга. Начальный пункт — город Кёнигсберг (Калининград).

Узкоколейная железная дорога на топографической карте масштаба 1:200 000, изданной в 193? году. Узкоколейная железная дорога на топографической карте масштаба 1:200 000, изданной в 193? году (увеличенный формат предыдущей карты)

Узкоколейная железная дорога к югу от Тапиау (Гвардейска) на топографической карте
масштаба 1:100 000, изданной в 1936 году. Сеть узкоколейных железных дорог к востоку от Кёнигсберга называлась K%C3%B6nigsberger Kleinbahn.
Существовала железная дорога под названием Wehlau — Friedlander Kleinbahn, которые некоторые некомпетентные любители ошибочно причисляют к узкоколейным железным дорогам. Велау — это нынешний посёлок Знаменск. На всех известных картах узкоколейная железная дорога пролегает по направлению Тапиау (Гвардейск) — Фридланд (Правдинск), а не Велау — Фридланд. По направлению Велау — Фридланд всегда пролегала железная дорога широкой колеи.
Узкоколейная железная дорога строилась с 1890-х годов. Ширина колеи составляла 750 мм.
Узкоколейная железная дорога не восстановлена после 1945 года.
По состоянию на 2011 год, сохраняется довольно значительное количество зданий и сооружений узкоколейной железной дороги, редкие фрагменты рельсового пути на переездах.

Сохранившийся вокзал узкоколейной железной дороги в Гвардейске (Тапиау). Рядом с вокзалом находятся
пути широкой колеи. Ширококолейный вокзал расположен на противоположной стороне путей.
27.03.2008

Сохранившийся вокзал узкоколейной железной дороги в Гвардейске (Тапиау).
27.03.2008
http://de.wikipedia.org/wiki/K%C3%B6nigsberger_Kleinbahn — статья на немецком языке
автоперевод
http://www.kreisgemeinschaft-wehlau.de/heimatbrief/hb36.pdf — упоминание узкоколейной железной дороги (на немецком языке)
http://finance.groups.yahoo.com/group/5feet/message/2247 — информация об узкоколейных железных дорогах (на английском языке)
http://web.archive.org/web/20071020140923/http://milovsky-gallery.albertina.ru/index_r.phtml?chnum=17 — материал, посвящённый истории уничтоженных железных дорог региона
http://gurievskinfo.ru/2009/11/parovoz/ — материал, посвящённый узкоколейной железной дороге, на сайте города Гурьевск (Нойхаузен)
__________________________________________________________________________________________________
Сеть узкоколейных (?) железных дорог к северу и западу от Кёнигсберга. Возможный начальный пункт — город Кёнигсберг (Калининград).

Узкоколейная железная дорога на карте, изданной в 1904 году.

Узкоколейная (?) железная дорога на топографической карте масштаба 1:200 000, изданной в 193? году. Узкоколейная (?) железная дорога к северу и западу от Кёнигсберга называлась Sahmlandbahn (Замландская железная дорога), а также Fischhausener Kreisbahn, применительно к участку Marienhof (Романово) — Gafken (Парусное). Железная дорога открыта в 1900 году.
Во многих картах эти железные дороги показаны как узкоколейные. Однако в известных немецкоязычных источниках они указаны как ширококолейные с момента постройки.
http://de.wikipedia.org/wiki/Samlandbahn_AG — статья на немецком языке
автоперевод
По состоянию на 2011 год, на участках Калининград — Пионерский (Нойкурен) — Светлогорск (Раушен) и Пионерский — Зеленоградск (Кранц) ширококолейная железная дорога остаётся действующей.
КРАСНОЗНАМЕНСКИЙ РАЙОН
Узкоколейная железная дорога Пилькаллен (Добровольск) — Лазденен (Краснознаменск). Начальный пункт — станция Пилькаллен, расположенная на железнодорожной линии Тильзит — Нестеров (железнодорожная линия не восстановлена после 1945 года).

Узкоколейная железная дорога на карте, изданной в 1904 году.

Узкоколейная железная дорога на топографической карте масштаба 1:200 000, изданной в 193? году.

Узкоколейная железная дорога на топографической карте масштаба 1:200 000, изданной в 1987 году
(нанесена условно, на основе данных предыдущей карты). Узкоколейная железная дорога называлась Schlossberger Kleinbahn. Главная линия пролегала по направлению станция Пилькаллен (Шлёссберг) — Лазденен, ныне Краснознаменск.
Первый участок узкоколейной железной дороги был открыт в 1901 году. Узкоколейная железная дорога имела стратегическое значение — она пролегала вблизи германско-российской границы. Ныне это российско-литовская граница, причём местонахождение России поменялось местами.
Первоначальная ширина колеи составляла 750 мм. В 1915-1916 годах узкоколейная железная дорога была реконструирована на колею 1000 мм.
Узкоколейная железная дорога не восстановлена после 1945 года.
http://de.wikipedia.org/wiki/Schlo%C3%9Fberger_Kleinbahnen — статья на немецком языке
автоперевод
__________________________________________________________________________________________________
Узкоколейная железная дорога Принеманского кирпичного завода. Предполагаемое местонахождение — город Краснознаменск.
Принеманский кирпичный завод находился в городе Краснознаменске либо в одном из населённых пунктов Краснознаменского района.
Кирпичному заводу принадлежала узкоколейная железная дорога, предназначенная для доставки глины от карьера до заводских цехов. По информации от В. Боченкова, основанной на архивных документах, в 1955 году в адрес Принеманского кирпичного завода Истьинский машиностроительный завод (Рязанская область) поставил мотовозы МД52-2.
Скорее всего, узкоколейная железная дорога была полностью разобрана в 1970-х годах.
Принеманский кирпичный завод был закрыт приблизительно в 2000 году.
__________________________________________________________________________________________________
Узкоколейная железная дорога Краснознаменского торфопредприятия. Местонахождение — Великое болото.
Узкоколейная железная дорога полностью разобрана. Дата ликвидации — 2005 год.
НЕМАНСКИЙ РАЙОН
Узкоколейная железная дорога Неманского целлюлозно-бумажного комбината. Местонахождение — город Неман.

Территория Рагнитского целлюлозно-бумажного завода и узкоколейная железная дорога
от Рагнита в направлении Инстербурга на топографической карте
масштаба 1:100 000, изданной в 193? году.

Территория Неманского целлюлозно-бумажного комбината на топографической карте
масштаба 1:100 000, изданной в 1987 году. Главным предприятием города Неман (до 1946 года Рагнит) является Неманский целлюлозно-бумажный комбинат. На комбинате действовала узкоколейная железная дорога, предназначенная для межцеховых грузовых перевозок.
По неподтверждённым данным, узкоколейная железная дорога на Рагнитском целлюлозно-бумажном заводе (Неманском целлюлозно-бумажном комбинате) составляла единую сеть с узкоколейной железной дорогой Рагнит — Инстербург, не восстановленной после 1945 года.
Узкоколейная железная дорога полностью разобрана. Ориентировочный период ликвидации: 1980-е годы.
НЕСТЕРОВСКИЙ РАЙОН
Узкоколейная железная дорога Нестеровского торфопредприятия. Местонахождение — торфомассив, расположенный в окрестностях станции Дивное на железнодорожной линии Черняховск — Козлова Руда.
Узкоколейная железная дорога полностью разобрана. Ориентировочная дата ликвидации: 1997 год.
В 2000 году была предпринята попытка строительства на торфопредприятии другой узкоколейной железной дороги — колеи 600 мм. Данный план не был реализован.
__________________________________________________________________________________________________
Узкоколейная железная дорога у станции Stalluponen (Нестеров). Начальный пункт — станция Нестеров (Stalluponen), расположенная на железнодорожной линии Черняховск — Козлова Руда.

Район местонахождения узкоколейной железной дороги на топографической карте масштаба 1:100 000,
изданной в 1939 году (в оригинале карты узкоколейная железная дорога не обозначена,
условно нанесён участок, сохраняющийся в 2011 году). Ни на одной из известных автору топографических карт узкоколейные железные дороги вблизи Нестерова не обозначены.
По состоянию на 2011 год, вблизи вокзала станции Нестеров на бывшем переезде сохраняется участок узкоколейной железной дороги колеи 600 мм. Куда вела эта узкоколейная железная дорога — не выяснено.

Сохранившийся путь узкоколейной железной дороги вблизи вокзала станции Нестеров.
27.03.2008

Сохранившийся путь узкоколейной железной дороги вблизи вокзала станции Нестеров.
27.03.2008

Сохранившийся путь узкоколейной железной дороги вблизи вокзала станции Нестеров.
27.03.2008

Сохранившийся путь узкоколейной железной дороги вблизи вокзала станции Нестеров.
Здание на заднем плане — вокзал на станции Нестеров.
07.04.2011 Узкоколейная железная дорога не действует с 1945 года.
ПИОНЕРСКИЙ ГОРОДСКОЙ ОКРУГ
Узкоколейная железная дорога в окрестностях города Neukuhren (Пионерский). Начальный пункт — город Neukuhren (Пионерский)

Район местонахождения узкоколейной железной дороги на топографической карте
масштаба 1:100 000, изданной в 1986 году. Узкоколейная железная дорога пролегала от города Нойкурен (Пионерский) в район мыса Гвардейский.
http://narrow.parovoz.com/emb/index.php?ID=1756 — упоминание узкоколейной железной дороги
Узкоколейная железная дорога полностью разобрана.
ПОЛЕССКИЙ РАЙОН
Узкоколейная железная дорога Полесского торфопредприятия. Предполагаемое местонахождение — торфомассив, расположенный в окрестностях села Красное.

Район местонахождения узкоколейной железной дороги на топографической карте
масштаба 1:100 000, изданной в 1996 году. По информации от С. Костыгова, на Полесском торфопредприятии действовала узкоколейная железная дорога. Предполагаемое местонахождение — торфомассив, расположенный в окрестностях села Красное.
Узкоколейная железная дорога перестала работать ориентировочно в 1990 году. Позднее узкоколейная железная дорога была полностью разобрана. Вывозка торфа стала осуществляться тракторами.
ПРАВДИНСКИЙ РАЙОН
Узкоколейная железная дорога в районе города Гердауэн (Железнодорожный). Начальный пункт — станция Гердауэн (Железнодорожный), расположенная на железнодорожной линии Черняховск — Железнодорожный.

Узкоколейная железная дорога на топографической карте масштаба 1:100 000,
изданной в 193? году. Показан только участок, находящийся на
нынешней территории России. В окрестностях города Gerdauen (славянское название — Гердавы, с 1946 года — Железнодорожный) действовала узкоколейная железная дорога. К Гердауэну подходила одна из ветвей крупной сети, большая часть которой находилась на территории нынешней Польши.
Узкоколейная железная дорога не восстановлена после 1945 года.
СЛАВСКИЙ РАЙОН
Узкоколейная железная дорога Britanien (Щегловка) — Karkeln (Мысовка). Начальный пункт — станция Britanien (ныне Щегловка)расположенная на железнодорожной линии Калининград — Тильзит.

Узкоколейная железная дорога на карте, изданной в 1904 году.

Узкоколейная железная дорога на карте, изданной в 1936 году.

Узкоколейная железная дорога на топографической карте масштаба 1:200 000, изданной в 193? году.

Узкоколейная железная дорога на топографической карте масштаба 1:200 000, изданной в 1988 году
(нанесена условно, на основе данных предыдущей карты). Узкоколейная железная дорога называлась Elchniederungsbahn. Ширина колеи составляла 750 мм. Первый участок узкоколейной железной дороги был построен в 1900-х годах. В 1930-х годах протяжённость узкоколейной железной дороги составляла 53 километра.
Узкоколейная железная дорога не восстановлена после 1945 года.
http://de.wikipedia.org/wiki/Elchniederungsbahn — статья на немецком языке
автоперевод
http://www.flickr.com/photos/[email protected]/2759603644/ — фотография действующей узкоколейной железной дороги
http://www.flickr.com/photos/[email protected]/3728598769/ — фотография действующей узкоколейной железной дороги, станция Britanien (Щегловка)
СОВЕТСКИЙ РАЙОН
Городская узкоколейная железная дорога (трамвай) в Тильзите. Местонахождение — город Тильзит (Советск).
Движение электрического трамвая в Тильзите было открыто в 1901 году. Ширина колеи составляла 1000 мм.
В течение некоторого времени действовала линия по мосту Королевы Луизы на правый берег реки Неман. В то время Тильзитский трамвай составлял единую сеть с узкоколейной железной дорогой Пагегяй — Смалининкай (Литва), имевшей такую же ширину колеи.
Работа узкоколейной железной дороги прекратилась в связи с боевыми действиями в октябре 1944 года. После войны узкоколейная железная дорога не восстанавливалась.
http://ru.wikipedia.org/wiki/Тильзитский_трамвай — материал об узкоколейной железной дороге
__________________________________________________________________________________________________
Узкоколейная железная дорога Советского целлюлозно-бумажного комбината. Местонахождение — город Тильзит (Советск).

Узкоколейная железная дорога Тильзитского целлюлозно-бумажного завода
на топографической карте масштаба 1:100 000, изданной в 1940 году.

Территория Советского целлюлозно-бумажного комбината на топографической карте
масштаба 1:100 000, изданной в 1987 году.

Территория Советского целлюлозно-бумажного комбината и путь узкоколейной железной дороги.
Ориентировочно 1960-е годы. Фотография из альбома, хранящегося на Калининградском
целлюлозно-бумажном комбинате №2. Одним из главных предприятий города Советск (до 1946 года Тильзит) является Советский целлюлозно-бумажный комбинат. На комбинате действовала узкоколейная железная дорога, предназначенная для межцеховых грузовых перевозок.
Сведения о дате ликвидации узкоколейной железной дороги противоречивы. По разным версиям, она была ликвидирована в 1970-х либо 1990-х годах.
По состоянию на 2000-е годы, на территории комбината оставался как минимум один крытый вагон узкой колеи.
ЧЕРНЯХОВСКИЙ РАЙОН
Сеть узкоколейных железных дорог в районе города Инстербург (Черняховск). Начальный пункт — город Инстербург (Черняховск).

Узкоколейная железная дорога на топографической карте масштаба 1:200 000, изданной в 1939 году.
Показан участок Инстербург — Большаково.

Узкоколейная железная дорога на топографической карте масштаба 1:100 000, изданной в 193? году.
Показаны окрестности станции Мелаукен (Залесье).

Узкоколейная железная дорога на топографической карте масштаба 1:200 000, изданной в 1939 году.
Показаны участки, расположенные к югу от Инстербурга. Узкоколейная железная дорога на топографической карте масштаба 1:100 000, изданной в 1936 году (частично показан участок к югу от Инстербурга)
Сеть узкоколейных железных дорог называлась Insterburger Kleinbahnen (Инстербургские малые железные дороги). Первый участок был открыт в 1902 году. Ширина колеи составляла 750 мм.
Узкоколейная железная дорога не восстановлена после 1945 года.
По данным на 2011 год, сохраняются многочисленные здания и сооружения железной дороги, немногочисленные фрагменты рельсового пути на бывших переездах. Самый известный из них находится в селе Большаково.
http://de.wikipedia.org/wiki/Insterburger_Kleinbahnen — статья на немецком языке
автоперевод
http://www.angrapa.ru/istoriya-insterburga/insterburgskie-uzkokoleynye-zheleznye-dorogi.html — «Инстербургские узкоколейные железные дороги»
__________________________________________________________________________________________________
Узкоколейная железная дорога на карьерах в окрестностях станции Пушдорф (Пушкарёво). Начальный пункт — станция Пушдорф (Пушкарёво), расположенная на железнодорожной линии Черняховск — Калининград.

Узкоколейная железная дорога на топографической карте масштаба 1:100 000, изданной в 1936 году.

Узкоколейная железная дорога на топографической карте масштаба 1:100 000, изданной в 1987 году
(нанесена условно, на основе данных предыдущей карты). Скорее всего, узкоколейная железная дорога предназначалась для вывоза песка из карьеров.
С наибольшей вероятностью, узкоколейная железная дорога не восстановлена после 1945 года.
ЯНТАРНЫЙ ГОРОДСКОЙ ОКРУГ
Узкоколейная железная дорога в окрестностях посёлка Янтарный. Местонахождение — посёлок Янтарный (Palmnicken).

Узкоколейная железная дорога на топографической карте масштаба 1:100 000, изданной в 1986 году.

Информация об узкоколейной железной дороге от А. Колесова. Узкоколейная железная дорога в окрестностях Янтарного была одной из немногих узкоколейных железных дорог региона, действовавших до и после 1945 года. Узкоколейная железная дорога предназначалась для вывоза из карьеров песка, содержащего янтарь.
Узкоколейная железная дорога была построена не позднее 1910-х годов. Ширина колеи — 900 мм. Узкоколейная железная дорога была электрифицирована, на ней работали различные электровозы.
По информации от исследователя железных дорог из г. Екатеринбурга А. Колесова, посещавшего Калининградскую область в 1990 году, узкоколейная железная дорога была полностью разобрана к 1972 году. Для вывоза песка стал использоваться автомобильный транспорт.
http://old.wikimapia.org/#lat=54.8644075&lon=19.9612999&z=15&l=1&m=s&v=9 — янтарный карьер на спутниковых снимках
19.08.2011 © [ДАННЫЕ УДАЛЕНЫ]
назад
на главную страницу

