ID: 7257
УЗКОКОЛЕЙНЫЕ ЖЕЛЕЗНЫЕ ДОРОГИ РЕСПУБЛИКИ КАРЕЛИЯ
13673
Республика Карелия — субъект Российской Федерации. Столица — г. Петрозаводск. Площадь — 172 400 км², численность населения 703 тыс. чел. (2005).
На территории республики Карелия (в 1940-1956 годах Карело-Финская ССР, в 1956-1992 годах Карельская АССР) имелось значительное число узкоколейных железных дорог различного назначения (преимущественно лесовозных).
По информации от Александра Соколова, основанной на архивных материалах, по состоянию на 1955-56 годы в регионе насчитывалось не менее 20 лесовозных узкоколейных железных дорог, находившихся в ведении структур Министерства лесной промышленности: Маленьгская, Вирандозерская, Идельская (либо Восточно-Идельская), Полгинская, Воломская, Валдайская, Виданская, Деревянская, Лахколаменская, Пийтсийокская, Пяльмская, Кубовская, Кривецкая, Вачская, Совдо-Сямозерская, Пайская, Сельгская, Суккозерская, Суунско-Шаверская, Гимольская (по состоянию на 1955 год, была упомянута как строящаяся).
По состоянию на 1999 год, в регионе находились 3 действующие узкоколейные железные дороги: Пяльмская узкоколейная железная дорога, Кубовская узкоколейная железная дорога, Кривецкая узкоколейная железная дорога.
Последняя из известных узкоколейных железных дорог, Кривецкая узкоколейная железная дорога, была разобрана в 2005 году.
По состоянию на 2007 год, автор не располагает сведениями о наличии на территории Карелии действующих узкоколейных железных дорог. Скорее всего, действующих узкоколейных железных дорог в регионе нет.
БЕЛОМОРСКИЙ РАЙОН
Маленьгская узкоколейная железная дорога. Начальный пункт — посёлок Маленьга, расположенный вблизи станции Маленьга на железнодорожной линии Обозерская — Беломорск.

Узкоколейная железная дорога на топографической карте
масштаба 1:1 000 000, изданной в 199? году. Узкоколейная железная дорога на топографической карте масштаба 1:200 000, изданной в 1993 году (обозначена разобранной, обозначена не полностью)
Маленьгская узкоколейная железная дорога относилась к категории лесовозных. Согласно отчётам бывшего Министерства лесной промышленности, первый участок узкоколейной железной дороги был введён в эксплуатацию в 1946 году. По неподтверждённым данным, фактически дорога начала работать раньше — одновременно с открытием железнодорожной линии широкой колеи Обозерская — Беломорск в 1940 году.
По информации от А. Корсакова, в 1950-х годах на узкоколейной железной дороге работали паровозы ОП2, ПТ4, ВП1. В 1960-х годах поступил как минимум один тепловоз ТУ2МК.
Протяжённость узкоколейной железной дороги на пике её развития (1970-е годы) составляла не менее 80 километров.
В начале 1980-х годов (?) вывоз леса по узкоколейной железной дороге был прекращён. К концу 1980-х годов узкоколейная железная дорога была разобрана.
По состоянию на июнь 2005 года, в посёлке Маленьга почти не оставалось явных следов существования узкоколейной железной дороги. Посёлок Маленьга, когда-то — центр крупного лесозаготовительного предприятия, имел вид полузаброшенной деревни, в которой проживали немногочисленные пенсионеры.
__________________________________________________________________________________________________
Вирандозерская узкоколейная железная дорога. Начальный пункт — посёлок Вирандозеро, расположенный вблизи станции Вирандозеро на железнодорожной линии Обозерская — Беломорск.

Узкоколейная железная дорога на топографической карте
масштаба 1:1 000 000, изданной в
199? году (нанесена условно). Узкоколейная железная дорога на топографической карте масштаба 1:200 000, изданной в 1993 году (обозначена разобранной, обозначена не полностью)
Вирандозерская узкоколейная железная дорога относилась к категории лесовозных. Согласно отчётам бывшего Министерства лесной промышленности, первый участок узкоколейной железной дороги был введён в эксплуатацию в 1942 году. По неподтверждённым данным, в течение некоторого времени на узкоколейной железной дороге работали военнопленные.
Цитата из материала «Посёлок Вирандозеро» (http://www.russiadiscovery.ru/russia/3337/7740.html):
У посёлка со звонким названием Вирандозеро очень непростая судьба. Он проектировался как станция на участке строительства железной дороги в направлении Сорокская — Обозерская. Сначала в поселке было три огромных землянки и одно административное здание, куда один раз в неделю привозили продукты для строителей дороги. Началась война, и все здоровые мужчины ушли на фронт. Остались одни женщины. Они работали и на железной дороге, и на заготовке, и на разделке леса, которого требовалось все больше и больше. Из окрестных сёл и деревень мобилизовали молодых женщин, у которых не было детей.
Позднее стали прибывать военнопленные венгры и немцы. Это особая страница в истории посёлка. Население в посёлке увеличивалось, и землянок не хватало. Стали строить бараки. И вот уже выросла целая улица двухквартирных финских домиков, жизнь в которых казалась царской. Теперь-то видно, какие они маленькие, но тогда, после барачной тесноты, получить отдельное жилье было большой удачей.
Первоначально основным тяговым подвижным составом на узкоколейной железной дороге были паровозы, позднее поступали тепловозы ТУ4. На пике развития протяжённость линий узкоколейной железной дороги составляла свыше 100 километров. На линиях узкоколейной железной дороги имелись лесные посёлки Чёрный Ручей и Светлый.
По информации от А. Соколова, в одной из республиканских газет (период выпуска номера — приблизительно 1965 год) имеется фотография с места происшествия на Вирандозерской узкоколейной железной дороге. На ней запечатлён тепловоз ТУ4-447 с поездом, состоящим из трёх пассажирских вагонов.

Схема Вирандозерской узкоколейной железной дороги, 1971 год (Источник)
В конце 1970-х годов (?) узкоколейная железная дорога была разобрана. На месте магистрали узкоколейной железной дороги была проложена грунтовая автодорога.
__________________________________________________________________________________________________
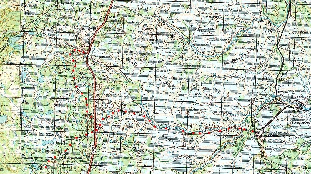
Шуерецкая (?) узкоколейная железная дорога. Начальный пункт — посёлок Песочный Карьер, связанный подъездным путём широкой колеи со станцией Шуерецкая на железнодорожной линии Беломорск — Ручьи-Карельские.

Узкоколейная железная дорога на топографической карте масштаба 1:500 000,
изданной в 1987 году (нанесена условно). Узкоколейная железная дорога на топографической карте масштаба 1:200 000, изданной в 1993 году (нанесена условно)
Эта узкоколейная железная дорога была лесовозной, однако никогда не принадлежала структурам Министерства лесной промышленности и не учитывалась в общей статистике лесовозных узкоколейных железных дорог.
В 2002 году по разобранной узкоколейной железной дороге совершили поход исследователи железных дорог из Москвы Роман Молочников и Сергей Костыгов. По информации от Костыгова, в посёлке Песочный Карьер находилась крупная воинская часть (в 2002 году она продолжала существовать в сильно сокращённом виде). Узкоколейная железная дорога на протяжении всей своей истории принадлежала структурам Министерства Обороны, использовалась для вывоза леса. На лесозаготовках работали солдаты срочной службы.
Район, по которому пролегала узкоколейная железная дорога, изобилует болотами. «Делового» леса в нём почти нет, поэтому объём вывоза леса не мог быть значительным.
Ориентировочный период строительства узкоколейной железной дороги — 1950-е годы. Известно о наличии на узкоколейной железной дороге мотовозов МУ34. Паровозов на узкоколейной железной дороге, скорее всего, никогда не было. Локомотивное депо находилось на станции Нижний Склад (территория воинской части в посёлке Песочный Карьер). Максимальная удалённость от посёлка Песочный Карьер составляла около 30 километров.
Приблизительно в 1980 году эксплуатация узкоколейной железной дороги была прекращена. Организованный демонтаж пути после этого не производился, благодаря чему в 2002 году на некоторых труднодоступных участках ещё сохранялись ржавые рельсы. Но в основном рельсовый путь к тому моменту уже был вывезен сборщиками металлолома.
В посёлке Песочный Карьер и вблизи бывшего моста через реку Олонга, по состоянию на 2002 год, фрагментарно сохранялись разграбленные мотовозы МУ34.
__________________________________________________________________________________________________
Узкоколейная железная дорога (?) на острове Кондостров. Местонахождение — остров Кондостров.

Район местонахождения узкоколейной железной дороги на топографической карте
масштаба 1:200 000, изданной в 1983 году. По информации от исследователя железных дорог из Финляндии Юкки Нурминена (Jukka Nurminen), в 1923 году на острове Кондостров была построена узкоколейная железная дорога (либо рельсовый путь узкой колеи, на котором не применялась локомотивная тяга). Узкоколейная железная дорога (рельсовый путь узкой колеи) использовалась (использовался) для доставки камня от мест добычи (каменоломен) до пристани. Узкоколейная железная дорога (рельсовый путь узкой колеи) находилась в ведении железнодорожной структуры Соловецкого лагеря особого назначения, позднее в ведении одной из структур в составе ГУЛЖДС (Главного управления лагерей железнодорожного строительства).
Узкоколейная железная дорога (?) полностью разобрана. Ориентировочный период ликвидации — 1930-е годы.
КАЛЕВАЛЬСКИЙ РАЙОН
Юшкозерская узкоколейная железная дорога. Предполагаемый начальный пункт — посёлок Боровой, расположенный вблизи станции Боровая на железнодорожной линии Ледмозеро — Юшкозеро.

Район местонахождения узкоколейной железной дороги на топографической карте
масштаба 1:500 000, изданной в 1987 году. Узкоколейная железная дорога принадлежала Юшкозерскому леспромхозу. Предполагаемый начальный пункт — посёлок Боровой. Узкоколейная железная дорога действовала в 1950-1960-х годах.
КЕМСКИЙ РАЙОН
Панозерская (?) узкоколейная железная дорога. Начальный пункт — посёлок Панозеро, расположенный на берегу реки Кемь.

Район местонахождения узкоколейной железной дороги на топографической карте
масштаба 1:200 000, изданной в 1994 году. По неподтверждённым данным, узкоколейная железная дорога действовала в 1930-1960-х годах. Главная линия узкоколейной железной дороги пролегала от посёлка Панозеро в северном направлении.
__________________________________________________________________________________________________
Узкоколейная железная дорога (?) в окрестностях села Поньгома. Местонахождение — село Поньгома.

Узкоколейная железная дорога на топографической карте масштаба 1:100 000,
изданной в 1984 году (нанесена условно). Село Поньгома находится вблизи устья реки Поньгома (не следует путать его со станцией Поньгома на железнодорожной линии Беломорск — Ручьи-Карельские, находящейся в другом месте). Не позднее 1930-х годов в окрестностях села была построена узкоколейная железная дорога. По неподтверждённым данным, она пролегала по направлению губа Телячья — посёлок Поньгома Речка. Узкоколейная железная дорога предназначалась для доставки морепродуктов и леса к железнодорожной линии широкой колеи.
Цитата из материала «Не пропадай, Поньгома!», опубликованного в газете «Труд», номер за 10.09.2005, автор — Е. Штиль (http://www.trud.ru/trud.php?id=200509101680303):
Эти места относились к ведению ГУЛАГа. Тогда и построили возле разъезда Поньгомы-речки поселок с официальным названием «Трудколония номер Восьмой» , а до мыса, до самого берега моря, пошла узкоколейка — вывозили рыбу, лес, морские водоросли. Объёмы были вполне приличными, местечко оказалось выгодным.
...
Всё это, конечно, нужно стране и сейчас, но вдруг по новым порядкам выяснилось, что добывать эти богатства почему-то стало невыгодно! (И это в четырёх километрах от железной дороги-то!) Узкоколейку разобрали, так что в лесу и насыпь-то найти сложно, заросла вся, только остатки шпал кое-где торчат.
Узкоколейная железная дорога полностью разобрана.
КОНДОПОЖСКИЙ РАЙОН
Узкоколейная железная дорога Кондопожского целлюлозно-бумажного комбината. Местонахождение — Кондопожский целлюлозно-бумажный комбинат, расположенный в городе Кондопога, вблизи станции Кондопога на железнодорожной линии Петрозаводск — Кочкома.

Район местонахождения узкоколейной железной дороги на топографической карте
масштаба 1:100 000, изданной в 1994 году. Кондопожский целлюлозно-бумажный комбинат является главным предприятием города Кондопога. Строительство комбината началось в 1923 году. Одновременно началось строительство Кондопожской ГЭС, расположенной в непосредственной близости от места строительства целлюлозно-бумажного комбината.
По информации от исследователя железных дорог из Финляндии Юкки Нурминена (Jukka Nurminen), на стройплощадках ГЭС и целлюлозно-бумажного комбината действовали узкоколейные железные дороги. Скорее всего, они составляли единую сеть.
После сдачи Кондопожского целлюлозно-бумажного комбината в эксплуатацию (1929 год) узкоколейная железная дорога использовалась для межцеховых грузовых перевозок по его территории. По информации от Ю. Нурминена, в 1941 году, когда город Кондопога был захвачен войсками Финляндии, военными трофеями стали четыре паровоза типа 159.
Не позднее 1980-х годов узкоколейная железная дорога была полностью разобрана.
__________________________________________________________________________________________________
Кондопожская (?) узкоколейная железная дорога. Начальный пункт — город Кондопога, расположенный вблизи станции Кондопога на железнодорожной линии Петрозаводск — Кочкома.

Район местонахождения узкоколейной железной дороги на топографической
карте масштаба 1:500 000, изданной в 1988 году. Лесовозная узкоколейная железная дорога в окрестностях города Кондопога была построена не позднее 1930-х годов. По неподтверждённым данным, узкоколейная железная дорога принадлежала Кондопожскому лесхозу. Возможно, эта узкоколейная железная дорога составляла единую сеть с узкоколейной железной дорогой Кондопожского целлюлозно-бумажного комбината.
Не позднее 1970-х годов узкоколейная железная дорога была полностью разобрана.

Мотовоз Муг2 (?) на узкоколейной железной дороге Кондопожского лесхоза, 1937 год (фотография из книги «Твой путь, Карелия») (Источник)
ЛОУХСКИЙ РАЙОН
Узкоколейные железные дороги на шахтах горно-обогатительного комбината «Карелслюда». Начальные пункты — шахты, расположенные в окрестностях посёлков Чупа, Малиновая Варакка, Плотина, Чкаловский, Тэдино.

Район местонахождения шахтных узкоколейных железных дорог на топографической карте
масштаба 1:500 000, изданной в 1987 году.

Окрестности населённого пункта Малиновая Варакка на топографической карте масштаба 1:50 000,
изданной в 198? году (узкоколейные железные дороги не обозначены). В окрестностях посёлка Чупа с 1920-х годов велась добыча слюды и пегматита. По состоянию на начало 1930-х годов, здесь действовало несколько рудников, на которых имелись узкоколейные железные дороги. Тяговый подвижной состав был представлен мотовозами и паровозами.
Один из крупнейших рудников и расположенный вблизи него посёлок (по неподтверждённым данным, нынешний посёлок Чкаловский) был назван именем выдающегося научного деятеля, исследователя Арктики Р.Л. Самойловича (1881-1939). Протяжённость узкоколейной железной дороги на руднике имени Самойловича составляла не менее 2 километров.
http://catalog.karelia.ru/fogeler/grou1/p/z/01000911.htm — «Рудник имени Самойловича» (картина художника Г. Фогелера, 1933 -1934 гг.)
http://catalog.karelia.ru/fogeler/grou1/p/z/01000901.htm — «Разработка пегматита» (картина художника Г. Фогелера, 1933 -1934 гг.)
http://catalog.karelia.ru/fogeler/grou1/p/z/01000902.htm — «Строительство путей к разработкам» (картина художника Г. Фогелера, 1933 -1934 гг.)
http://samoilovichi.narod.ru/samo-xix/sam_rl.html — биография Р.Л. Самойловича
В 1939 году Р.Л. Самойлович был арестован и расстрелян. Все названные его именем объекты были переименованы.
На пике развития горно-обогатительного комбината «Карелслюда» в его состав входило не менее 10 рудников, расположенных в посёлках Чкаловский, Плотина, Карельский, Тэдино, Малиновая Варакка, Хетоламбина и других. Добыча велась как открытым способом, так и подземным способом.
Все узкоколейные железные дороги в открытых разработках (карьерах) были разобраны не позднее 1970-х годов (вместо узкоколейных железных дорог в карьерах стал использоваться автотранспорт). Однако шахтные узкоколейные железные дороги действовали вплоть до момента закрытия шахт.
В 1999 (?) году последняя шахта была закрыта и затоплена.
http://www.b-mbp.ru/novo/Prosanie_s_saxtami_trudno.html — «Прощание с шахтами»
http://www.gov.karelia.ru/Karelia/1533/21.html — «На полярной широте» (о посёлке Тэдино)
http://louhi-adm.onego.ru/Ubilei_70_Plotina.htm — «Юбилей шахтёрского посёлка»
МЕДВЕЖЬЕГОРСКИЙ РАЙОН
Узкоколейная железная дорога (?) в окрестностях станции Масельская. Возможный начальный пункт — станция Масельская, расположенная на железнодорожной линии Петрозаводск — Кочкома.

Район возможного местонахождения узкоколейной железной дороги на топографической
карте масштаба 1:200 000, изданной в 1994 году. Показана разобранная
железная дорога широкой колеи. В некоторых источниках высказывается версия о возможном существовании узкоколейной железной дороги, пролегавшей по направлению Масельская — Великая Губа. Скорее всего, единственным источником такой информации являются топографические карты с обозначением полотна разобранной железной дороги от станции Масельская до населённого пункта Великая Губа (берег Сегозерского водохранилища).
По информации от исследователя железных дорог из Финляндии Юкки Нурминена (Jukka Nurminen), узкоколейной железной дороги здесь никогда не было. Железная дорога Масельская — Великая Губа была ширококолейной, построена в 1930-х годах. Возможно, Великая Губа не являлась конечным пунктом.
__________________________________________________________________________________________________
Ванзозерская узкоколейная железная дорога. Начальный пункт — станция Ванзозеро, расположенная на железнодорожной линии Петрозаводск — Кочкома.

Железная дорога Масельская — Морская Масельга на карте, изданной в 1936 году.

Узкоколейная железная дорога на топографической карте масштаба 1:200 000,
изданной в 1994 году (нанесена на основе данных других карт). Ванзозерская (Ванжозерская) узкоколейная железная дорога пролегала по направлению Ванзозеро — Морская Масельга — шлюз №8 — берег озера Маткозеро.
По информации от Александра Соколова, основанной на архивных документах, узкоколейная железная дорога имела ширину колеи 1067 мм. Она просуществовала всего лишь около года. В 1932 году узкоколейная железная дорога была реконструирована на широкую колею.
Цитата из материала А. Соколова:
Согласно документов Беломорско-Балтийского комбината, рельсы и подвижной состав Соловецкой узкоколейной железной дороги были переданы в 1931 году на Ванжозерскую узкоколейную дорогу ББК. Это был тяговый состав в виде паровозов №9 серии БВ тип 0-2-0, №10 и 13 серии ВА тип 0-3-0. Также 1 классный вагон, 10 крытых вагонов рабочего парка, 8 крытых вагонов нерабочего парка, 3 платформы нерабочего парка.
Узкоколейная дорога железная дорога начиналась от разъезда 14 Мурманской ж.д. (ныне Ванзозеро) и шла до станции Северный Городок (или Водораздел, рядом с Морской Масельгой и озером Матко). Имела общее протяжение 33,6 км.
От разъезда 14 до 24 км. проходила по насыпи разобранной ширококолейной дороги, эксплуатироввшейся Лестрансхозом, остальной путь — Белбалткомбинатом. Имела колею шириной 1067 мм. Имелось 4 разъезда, мосты через Карбозерку, Карбас и Сону.
Узкоколейная железная дорога действовала по май 1932 года, когда были получены рельсы широкой колеи и с 7 июля 1932 года перешита на широкую колею.
Ширококолейная ветка эксплуатировалась совместно с Мурманской ж.д. до разъезда 9 км. Имелся арендованный у МЖД паровоз серии ОД тип 0-4-0 №2521, а также вагоны и платформы.
Оборудование, рельсы узкоколейки частично были переданы на пути по обслуживанию канала, в дальнейшем частично использовались на узкоколейках ББК НКВД — Вожминской, Пяльмской, Полгинской, Волозерской, Коловской и Кубовской.
Скорее всего, ширококолейная железная дорога Ванзозеро — Морская Масельга была разрушена в период Великой Отечественной войны, после войны не восстанавливалась.
__________________________________________________________________________________________________
Узкоколейная железная дорога в районе населённого пункта Мелойгуба. Начальный пункт — посёлок Мелойгуба.

Возможная трасса узкоколейной железной дороги на топографической карте масштаба 1:200 000, изданной в 1994 году.

Район возможного местонахождения узкоколейной железной дороги на топографической карте
масштаба 1:50 000, изданной в 1990 году. Узкоколейная железная дорога (либо рельсовый путь узкой колеи, на котором применялась конная и (или) ручная тяга) соединяла (соединял) горные разработки (карьер) с пристанью на берегу Уницкой губы Онежского озера.
По неподтверждённым данным, узкоколейная железная дорога была построена в 1918 году, в период, когда Онежский полуостров был оккупирован интервентами.
Узкоколейная железная дорога полностью разобрана не позднее 1960-х годов.
__________________________________________________________________________________________________
Узкоколейная железная дорога на Оленеостровских известковых разработках. Местонахождение — остров Южный Олений.

Район местонахождения узкоколейной железной дороги на топографической карте
масштаба 1:200 000, изданной в 1994 году.

Район местонахождения узкоколейной железной дороги на топографической карте
масштаба 1:50 000, изданной в 1981 году. Залежи известняка на острове Южный Олений известны ХVII с столетия. Разработка известняка на острове имеет многовековую историю.
В 1928 году было создано государственное предприятие «Оленеостровские известковые разработки». На острове велась не только добыча известняка, но и его переработка (выжег извести).
С ноября 1941 года по июнь 1944 года Южный Олений остров был оккупирован Финляндией.
На Оленеостровских известковых разработках действовала узкоколейная железная дорога, предназначенная для доставки известняка к обжиговым печам. Скорее всего, первоначально она представляла собой рельсовый путь узкой колеи, на котором применялась конная тяга и (или) ручная тяга.
В 1956 году было принято решение о ликвидации Оленеостровских известковых разработок по причине нерентабельности. Вскоре оборудование было вывезено, узкоколейная железная дорога была разобрана.
http://kizhi.karelia.ru/specialist/pub/library/kizhi_vestnik/kizhi_vestnik6/01_history/vestnik6_02.htm — «Из истории Оленеостровских известковых разработок»
http://cb-ru.photoxpress.ru/news_info.asp?news_id=447845 — «Укладка известкового камня для обжига на Оленеостровских известняковых разработках», 1936 год (на фотографии присутствует рельсовый путь)
__________________________________________________________________________________________________
Узкоколейные железные дороги на строящемся Беломорско-Балтийском канале. Начальные пункты неизвестны.

Разобранные узкоколейные железные дороги (?) вблизи станций Идель, Тунгуда и Летний
на топографической карте масштаба 1:500 000, изданной в 1940 году. При строительстве Беломорско-Балтийского канала (1929-1933 годы) и при его восстановлении после разрушений, полученных в ходе войны (1945-1946 годы) использовались временные узкоколейные железные дороги. Сведениями о количестве и протяжённости узкоколейных железных дорог автор не располагает.
Цитата из произведения «Повесть военных лет», автор — Е. Д. Белоусов (http://victory.mil.ru/lib/books/memo/belousov_ed/01.html):
Мы восстанавливали, а точнее строили Беломоро-Балтийский канал. В войну шлюзы были взорваны, взорваны были и плотины. И всё это было занесено песком. Шлюзы были в «Промзоне», на расстоянии километра от жилой зоны. Предстояло выполнить большой объём земляных и бетонных работ. Восстанавливали шлюзы. Стены шлюза высотой до 15 метров возводили из дерева и камня.
...
На стройке не хватало гвоздей. Но в «промзоне», при отделе главного механика, были небольшие механические мастерские. Там стояло несколько токарных станков и прессножницы. При мне, из этих прессножниц сделали гвоздильный станок и изготавливали гвозди из проволоки. Из глины, с последующим обжигом в печи, изготавливали настенные изоляторы под электропроводку. Была на стройке узкоколейка и мотовоз с платформами. Зимой, для этой узкоколейки, сконструировали и изготовили снегоочиститель.
МУЕЗЕРСКИЙ РАЙОН
Гимольская узкоколейная железная дорога. Начальный пункт — посёлок Гимолы, расположенный вблизи станции Гимольская на железнодорожной линии Суоярви — Ледмозеро.

Узкоколейная железная дорога на топографической карте масштаба 1:500 000,
изданной в 1988 году (нанесена условно).

Узкоколейная железная дорога на топографической карте масштаба 1:200 000,
изданной в 1994 году (обозначена разобранной, обозначена не полностью). Гимольская узкоколейная железная дорога относилась к категории лесовозных. По состоянию на 1955 год, узкоколейная железная дорога была упомянута как строящаяся.
Главная линия узкоколейной железной дороги пролегала от посёлка Гимолы в северо-восточном направлении. Протяжённость узкоколейной железной дороги составляла около 40 километров.
Узкоколейная железная дорога полностью разобрана. Ориентировочный период ликвидации — 1970-е годы.
__________________________________________________________________________________________________
Воломская узкоколейная железная дорога. Предполагаемый начальный пункт — посёлок Пенинга, расположенный вблизи станции Пенинга на железнодорожной линии Суоярви — Ледмозеро.

Район местонахождения узкоколейной железной дороги на топографической карте
масштаба 1:500 000, изданной в 1988 году. Воломская узкоколейная железная дорога относилась к категории лесовозных, принадлежала Воломскому леспромхозу. Первый участок узкоколейной железной дороги был открыт не позднее 1955 года.
Начальный пункт узкоколейной железной дороги с достоверностью не установлен (согласно основной версии, им являлся посёлок Пенинга, расположенный вблизи станции Пенинга на железнодорожной линии Суоярви — Ледмозеро, по другой версии — посёлок Волома, расположенный вблизи станции Сонозеро на железнодорожной линии Суоярви — Ледмозеро).
Узкоколейная железная дорога полностью разобрана. Ориентировочный период ликвидации — 1970-е годы.
__________________________________________________________________________________________________
Суккозерская узкоколейная железная дорога. Начальный пункт — посёлок Суккозеро, расположенный вблизи станции Суккозеро на железнодорожной линии Суоярви — Ледмозеро.

Район местонахождения узкоколейной железной дороги на топографической карте
масштаба 1:500 000, изданной в 1988 году.

Район местонахождения узкоколейной железной дороги на топографической карте
масштаба 1:200 000, изданной в 1994 году. Суккозерская узкоколейная железная дорога относилась к категории лесовозных, принадлежала Суккозерскому леспромхозу. Первый участок узкоколейной железной дороги был открыт не позднее 1955 года.
Главная линия узкоколейной железной дороги, предположительно, пролегала от посёлка Суккозеро в восточном направлении.
Узкоколейная железная дорога полностью разобрана. Ориентировочный период ликвидации — 1970-е годы.
__________________________________________________________________________________________________
Сельгская узкоколейная железная дорога. Начальный пункт — посёлок Сельга, расположенный вблизи станции Сельга на железнодорожной линии Суоярви — Ледмозеро.

Район местонахождения узкоколейной железной дороги на топографической карте
масштаба 1:500 000, изданной в 1988 году. Сельгская узкоколейная железная дорога относилась к категории лесовозных. Первый участок узкоколейной железной дороги был открыт не позднее 1955 года.
Главная линия узкоколейной железной дороги, предположительно, пролегала от посёлка Сельга в западном направлении.
Узкоколейная железная дорога полностью разобрана. Ориентировочный период ликвидации — 1970-е годы.
__________________________________________________________________________________________________
Суунско-Шаверская узкоколейная железная дорога. Предполагаемый начальный пункт — посёлок Суун, расположенный вблизи станции Суун на железнодорожной линии Брусничная — Лендеры.

Район местонахождения узкоколейной железной дороги на топографической карте
масштаба 1:500 000, изданной в 1988 году. Суунско-Шаверская узкоколейная железная дорога относилась к категории лесовозных. Первый участок узкоколейной железной дороги был открыт не позднее 1955 года.
Главная линия узкоколейной железной дороги, предположительно, находилась вблизи посёлка Суун либо соседнего посёлка Тумба.
Узкоколейная железная дорога полностью разобрана. Ориентировочный период ликвидации — 1970-е годы.
ГОРОД ПЕТРОЗАВОДСК
Узкоколейная железная дорога Соломенского кирпичного завода. Начальный пункт — Соломенский кирпичный завод, расположенный в посёлке Соломенное (входит в черту города Петрозаводска).

Узкоколейная железная дорога на топографической карте масштаба 1:200 000,
изданной в 1994 году (обозначена не полностью).

Узкоколейная железная дорога на топографической карте масштаба 1:50 000, изданной в 1981 году. Район местонахождения узкоколейной железной дороги на спутниковом снимке (источник — «Google Maps», ориентировочная дата съёмки — 2005 год)
Соломенский кирпичный завод находится на северо-восточной окраине города Петрозаводска. В ведении завода находилась узкоколейная железная дорога, предназначенная для доставки глины из карьера. Ориентировочный период открытия узкоколейной железной дороги — вторая половина 1940-х годов (в это время город Петрозаводск восстанавливался после разрушений, полученных в ходе войны, для восстановительных работ требовалось большое количество кирпича).
Согласно топографической карте масштаба 1:50 000, изданной в 1981 году, протяжённость узкоколейной железной дороги составляла около 4 километров.
По информации от А. Хабибулина, узкоколейная железная дорога была электрифицирована, на ней работали шахтные электровозы, переоборудованные для наземной эксплуатации. Движение осуществлялось круглосуточно.
Приблизительно в 1975 году узкоколейная железная дорога была разобрана. Для доставки глины от карьера до завода стал использоваться автомобильный транспорт.
__________________________________________________________________________________________________
Узкоколейная железная дорога Сулажгорского кирпичного завода. Начальный пункт — Сулажгорский кирпичный завод, расположенный в посёлке Сулажгорского кирпичного завода (входит в черту города Петрозаводска).

Район местонахождения узкоколейной железной дороги на топографической
карте масштаба 1:50 000, изданной в 1981 году. Сулажгорский кирпичный завод находится на северо-западной окраине города Петрозаводска. В ведении завода находилась узкоколейная железная дорога, предназначенная для доставки глины из карьера.
По неподтверждённым данным, история узкоколейной железной дороги Сулажгорского кирпичного завода сходна с историей узкоколейной железной дороги Соломенского кирпичного завода. Узкоколейная железная дорога также была электрифицирована, на ней работали шахтные электровозы, переоборудованные для наземной эксплуатации. Протяжённость узкоколейной железной дороги Сулажгорского кирпичного завода была меньшей, чем протяжённость узкоколейной железной дороги Соломенского кирпичного завода.
Узкоколейная железная дорога полностью разобрана.
__________________________________________________________________________________________________
Узкоколейная железная дорога Онежского тракторного завода. Начальный пункт — Онежский тракторный завод, находящийся в городе Петрозаводске.

Узкоколейная железная дорога на топографической карте масштаба 1:100 000,
изданной в 1992 году (нанесена условно).

Узкоколейная железная дорога на топографической карте масштаба 1:50 000,
изданной в 1991 году (нанесена условно). Онежский тракторный завод (первоначально — Александровский пушечно-литейный завод) основан в 1773 году. В 1788 году на Александровском заводе был создан «чугунный колесопровод», являвшийся предшественником современных железных дорог. «Чугунный колесопровод» состоял из цельнолитого (бесшпального) чугунного полотна. Ширина колеи составляла менее 1000 мм. Использовались вагонетки, приводившиеся в движение ручной и (или) конной тягой.
По состоянию на 1873 год, на Александровском заводе действовал рельсовый путь узкой колеи, соединявший территорию завода лесобиржей. По нему перевозилась истопная древесина (дрова), применялась конная тяга. В 1907 году рельсовый путь узкой колеи соединил территорию завода с пристанью на Онежском озере. В 1918 (?) году рельсовые пути узкой колеи стали полноценной узкоколейной железной дорогой: на завод поступили паровозы.
В 1920-х годах узкоколейная железная дорога получила значительное развитие. По информации от А. Соколова (основанной главным образом на материалах книги «Три века Петрозаводска»), 18 марта 1922 года была открыта линия протяжённостью 2,5 км от территории Онежского (бывшего Александровского) металлургического и механического завода до «казённой пристани» и лесобиржи на берегу Онежского озера.

Линия узкоколейной железной дороги от территории завода к берегу Онежского озера на карте, изданной в 1940 году (Источник)

«Железная дорога узкой колеи на Онежском заводе» (предположительно 1920-е годы) (Источник)
В 1938 году на юго-восточной окраине Петрозаводска началось строительство «закрытого» оборонного завода №789, первоначально известного как «п/я 14» и «Северная точка» (ныне — судостроительный завод «Авангард»). По информации от С. Гайдука, стройплощадка завода «Северная точка» была соединена узкоколейной железной дорогой с Онежским заводом. На ней осуществлялось не только грузовое, но и пассажирское движение — в течение некоторого времени пассажирский поезд выполнял функцию городского транспорта.
Со 2 октября 1941 года по 28 июня 1944 года Петрозаводск был оккупирован Финляндией. В августе 1944 года, после освобождения города, начались работы по восстановлению промышленных предприятий. Был проложен временный рельсовый путь узкой колеи от завода «Северная точка» до мыса Сайнаволок. По нему в вагонетках ручной тягой доставлялась древесина, необходимая для восстановления завода.
http://sampo.karelia.ru/~avg/pages/history.html — «История судостроительного завода «Авангард»
Не позднее 1960-х годов узкоколейная железная дорога от Онежского металлургического и механического завода до судостроительного завода «Авангард» была заменена железнодорожной линией широкой колеи. В близкий период времени была разобрана также узкоколейная железная дорога от территории завода до берега Онежского озера.
Последний действующий участок узкоколейной железной дороги находился внутри территории Онежского завода, он использовался для межцеховых перевозок и для испытания узкоколейных мотовозов, производившихся заводом с 1940 года по 1956 год (было изготовлено 2418 мотовозов МУ34 и значительное число мотовозов других типов).

Мотовоз МУЗг4-017 предположительно на территории Онежского завода. 1948 год. Фотография из архива
Онежского завода, размещённая в книге «Наши узкоколейные тепловозы и электровозы» (М., 2003).

«Петрозаводск. На Онежском машиностроительном заводе» (фотография из «БСЭ», 1950-е годы) (Источник)

«Облегчённый узкоколейный мотовоз производства Онежского завода ИК — конструкторов Ильина и Коптелова». Газета «Ленинское знамя», 24 апреля 1949 года. Фото В. Клишко. (Источник)
По состоянию на 2008 год, на территории Карельского государственного краеведческого музея (г. Петрозаводск) и вблизи управления Онежского тракторного завода находятся фрагменты «чугунного колесопровода» постройки 1788 года (оригинальные и (или) макеты в натуральную величину).
__________________________________________________________________________________________________
Узкоколейная железная дорога Петрозаводского ДОКа. Местонахождение — город Петрозаводск.

Район местонахождения узкоколейной железной дороги на топографической карте
масштаба 1:50 000, изданной в 1991 году. Петрозаводский ДОК (деревообрабатывающий комбинат) находится в северной части города Петрозаводска, на берегу Онежского озера. Завод связан подъездным путём широкой колеи со станцией Петрозаводск II.
По информации от С. Гайдука, не позднее 1950-х годов на предприятии была построена узкоколейная железная дорога. Протяжённость узкоколейной железной дороги не установлена. Возможно, она находилась внутри территории предприятия, выполняла межцеховые перевозки.
Узкоколейная железная дорога полностью разобрана.
ПИТКЯРАНТСКИЙ РАЙОН
Узкоколейная железная дорога Ляскельской бумажной фабрики. Начальный пункт — посёлок Ляскеля.

Узкоколейная железная дорога на топографической
карте масштаба 1:500 000, изданной в 1941 году
(ошибочно обозначена как железнодорожная
линия широкой колеи). Узкоколейная железная дорога на топографической карте масштаба 1:20 000, изданной в Финляндии в 1942 году
Железнодорожная линия широкой колеи, построенная на месте узкоколейной железной дороги, на топографической карте масштаба 1:50 000, изданной в 1989 году
Ляскельская бумажная фабрика находится в посёлке Ляскеля. По информации от исследователя железных дорог из Финляндии Юкки Нурминена (Jukka Nurminen), узкоколейная железная дорога была построена в 1912 году. Она связала территорию фабрики с пристанью Йоэнсуу (на русскоязычных топографических картах это место подписано как Хийденсельга). Протяжённость узкоколейной железной дороги составила около 6 километров.
В 1918-1940 и 1941-1944 годах узкоколейная железная дорога находилась на территории независимой Финляндии. В 1930 году через посёлок Ляскеля пролегла железнодорожная линия широкой колеи. Было построено разноуровневое пересечение железнодорожной линии широкой колеи с узкоколейной железной дорогой.
В 1970-х годах узкоколейная железная дорога была заменена железнодорожной линией широкой колеи.
По состоянию на 2008 год, Ляскельская бумажная фабрика (бумажный завод) не работает. По неподтверждённым данным, железнодорожная линия широкой колеи Ляскеля — Хийденсельга (пристань) не действует.
http://ru.wikipedia.org/wiki/Ляскельский_бумажный_завод — материал из «Википедии» (свободной энциклопедии)
__________________________________________________________________________________________________
Узкоколейная железная дорога рудник Вялимяки — пристань. Начальный пункт — рудник Вялимяки, расположенный в окрестностях станции Вялимяки на железнодорожной линии Янисъярви — Лодейное Поле.

Узкоколейная железная дорога на топографической карте масштаба 1:50 000, изданной
в СССР в 1941 году (карта адаптирована для использования германской армией
посредством нанесения надписей на немецком языке).

Узкоколейная железная дорога на топографической карте масштаба 1:20 000,
изданной в Финляндии в 1939 году.

Узкоколейная железная дорога на топографической карте масштаба 1:20 000,
изданной в Финляндии в 1942 году.

Узкоколейная железная дорога на топографической карте масштаба 1:50 000,
изданной в 1989 году (нанесена на основе данных других карт). На руднике Вялимяки велась добыча железной руды. Для доставки руды от рудника до пристани на Ладожском озере (населённый пункт Янаслахти, ныне не существующий) была построена узкоколейная железная дорога протяжённостью около 4 километров. Ориентировочный период открытия узкоколейной железной дороги — 1910-е годы.
Узкоколейная железная дорога полностью разобрана. Ориентировочный период ликвидации — 1940-е годы.
__________________________________________________________________________________________________
Узкоколейная железная дорога Питкярантского целлюлозного завода. Местонахождение — Питкярантский целлюлозный завод, расположенный в городе Питкяранта, вблизи станции Питкяранта на железнодорожной линии Янисъярви — Лодейное Поле.

Узкоколейная железная дорога на топографической карте масштаба 1:20 000,
изданной в Финляндии в 1933 году.

Район местонахождения узкоколейной железной дороги на топографической карте масштаба 1:50 000,
изданной в СССР в 1941 году (карта адаптирована для использования германской армией
посредством нанесения надписей на немецком языке).

Узкоколейная железная дорога на топографической карте
масштаба 1:50 000, изданной в 1980 году. Питкярантский целлюлозный завод является главным предприятием города Питкяранта. Завод существует с 1914 года. Местонахождение завода — остров Пусунсаари, связанный мостом с городом Питкяранта.
На протяжении длительного времени (по неподтверждённым данным, с момента открытия завода до 1970-х годов) на заводе действовала узкоколейная железная дорога, предназначенная для межцеховых грузовых перевозок.
__________________________________________________________________________________________________
Узкоколейная железная дорога на шахте в районе населённого пункта Юля Ристиоя. Местонахождение — шахта, расположенная вблизи бывшего населённого пункта Юля Ристиоя.

Район местонахождения узкоколейной железной дороги на топографической карте масштаба 1:20 000,
изданной в Финляндии в 1934 году.

Район местонахождения узкоколейной железной дороги на топографической карте
масштаба 1:50 000, изданной в 1980 году. На шахте вблизи населённого пункта Юля Ристиоя (Ylä Ristioja) действовала касситеритовая (?) шахта. Шахта была связана узкоколейной железной дорогой с пристанью на берегу Ладожского озера.
Цитата из материала «Добыча минерального сырья»
(http://www.technoproject.ru/jurnal/element.php?IBLOCK_ID=13&SECTION_ID=457&ELEMENT_ID=2220):
Недалеко от Люппико от шоссе ответвляется дорога направо, к берегу Ладоги. Дорога ведет к деревне с удивительным названием «Юля-Ристи-Оя» (рис. 2). Чуть ниже деревни на берегу видны отвалы светлого камня и остатки пристани, на которой, наверное, осуществлялась погрузка камня на баржи. От пристани идет узкоколейная железная дорога, а недалеко в лесу находится старая затопленная шахта, по-видимому, касситеритовая. К этой шахте и подходит узкоколейка.
Если идти от этой шахты лесом к шоссе, параллельно дороге на Юля-Ристи-Оя, то можно найти старые, заросшие лесом разведочные канавы, в отвалах и стенках которых попадаются прослойки флюорита бесцветного, жёлтого и фиолетового цветов.
По неподтверждённым данным, узкоколейная железная дорога была построена во времена, когда эта территория находилась в составе независимой Финляндии (1918-1940), не работает с 1940-х годов.
ПРИОНЕЖСКИЙ РАЙОН (центр района — город Петрозаводск)
Деревянская узкоколейная железная дорога. Начальный пункт — посёлок Деревянка, расположенный вблизи станции Деревянка на железнодорожной линии Лодейное Поле — Петрозаводск.

Узкоколейная железная дорога на топографической карте масштаба 1:500 000,
изданной в 1988 году (нанесена условно). Узкоколейная железная дорога на топографической карте масштаба 1:200 000, изданной в 1994 году (обозначена разобранной, обозначена не полностью)
Деревянская узкоколейная железная дорога относилась к категории лесовозных. Согласно отчётам бывшего Министерства лесной промышленности, первый участок узкоколейной железной дороги был открыт в 1945 году.
Главная линия узкоколейной железной дороги пролегала от посёлка Деревянка в западном направлении. Протяжённость узкоколейной железной дороги составляла не менее 40 километров.
Узкоколейная железная дорога была полностью разобрана в 1970-х годах. По направлению узкоколейной железной дороги была проложена грунтовая лесовозная автодорога.
__________________________________________________________________________________________________
Узкоколейная железная дорога (?) вблизи посёлка Деревянка. Возможный начальный пункт — посёлок Деревянка, расположенный вблизи станции Деревянка на железнодорожной линии Лодейное Поле — Петрозаводск.

Узкоколейная железная дорога (?) на топографической карте
масштаба 1:200 000, изданной в 1994 году. На топографической карте масштаба 1:200 000, изданной в 1994 году, обозначена узкоколейная железная дорога протяжённостью около 2 километров, ведущая от станции Деревянка в северо-восточном направлении. Согласно другим картам (в том числе изданных в более ранние годы), по данному направлению пролегает путь широкой колеи.
Скорее всего, узкоколейной железной дороги здесь не было, по данному направлению всегда пролегал подъездной путь широкой колеи.
__________________________________________________________________________________________________
Пяжиевосельгская узкоколейная железная дорога. Начальный пункт — посёлок Пяжиева Сельга, расположенный вблизи станции Пяжиева Сельга на железнодорожной линии Лодейное Поле — Петрозаводск.

Узкоколейная железная дорога на топографической карте масштаба 1:500 000,
изданной в 1988 году (нанесена условно). Узкоколейная железная дорога на топографической карте масштаба 1:200 000, изданной в 1994 году (обозначена разобранной, обозначена не полностью)
Пяжиевосельгская узкоколейная железная дорога относилась к категории лесовозных. Согласно отчётам бывшего Министерства лесной промышленности, первый участок узкоколейной железной дороги был открыт в 1946 году.
Главная линия узкоколейной железной дороги пролегала от посёлка Пяжиева Сельга в восточном направлении, в сторону берега Онежского озера. Протяжённость узкоколейной железной дороги составляла не менее 40 километров. Тяговый подвижной состав был представлен паровозами.

Паровоз с гружёным составом на Пяжиевосельгской узкоколейной железной дороге, 1950-е годы (фотография из книги «Советская Карелия», размещённая на сайте http://sokostrans.narod.ru) (Источник)

«Машинист Пяжиевосельгской узкоколейной железной дороги Эдвард Ахо, паровоз с грузом леса». Газета «Ленинское знамя», 29 октября 1948 года. Фото К. Перфильева. (Источник)

«Комсомольско-молодёжная бригада паровоза ПТ4-132 Пяжиевосельгской узкоколейной железной дороги». Газета «Ленинское знамя», 17 ноября 1948 года. Фото Н. Клишко. (Источник)

«Газогенераторный мотовоз производства Онежского завода на участке Пухта Пяжиевосельгского мехлесопункта». Газета «Ленинское знамя», 2 июля 1948 года. Фото Н. Клишко. (Источник)
Узкоколейная железная дорога была полностью разобрана в 1970-х годах. По направлению узкоколейной железной дороги частично была проложена грунтовая лесовозная автодорога.
__________________________________________________________________________________________________
Ладвинская узкоколейная железная дорога. Начальный пункт — посёлок Ладва-Ветка, расположенный вблизи станции Ладва на железнодорожной линии Лодейное Поле — Петрозаводск.

Узкоколейная железная дорога на топографической карте масштаба 1:500 000, изданной в 1988 году. Узкоколейная железная дорога на топографической карте масштаба 1:200 000, изданной в 198? году
Узкоколейная железная дорога на топографической карте масштаба 1:50 000, изданной в 1981 году (основная часть), 1990 году (восточная часть)
Ладвинская узкоколейная железная дорога относилась к категории лесовозных, принадлежала Ладвинскому леспромхозу. Согласно отчётам бывшего Министерства лесной промышленности, первый участок узкоколейной железной дороги был открыт в 1950 году.
По неподтверждённым данным, на протяжении некоторого времени узкоколейная железная дорога являлась опытным полигоном Карельского научно-исследовательского института лесной промышленности (КарелНИИЛП) — на ней проводились испытания новых машин и механизмов.
Протяжённость узкоколейной железной дороги на пике её развития составляла свыше 50 километров. На 30-м километре от Ладвы-Ветки находился посёлок Лесной. Посёлок был выселен в 1970-х годах.
http://ssp.karelia.ru/section.php?docId=5748 — упоминание поездки в Лесной (1960-е годы)
В начале 1980-х годов (?) узкоколейная железная дорога была полностью разобрана. По насыпи магистрали узкоколейной железной дороги была проложена лесовозная автодорога.
По состоянию на 2002 год (информация от Р. Молочникова), в посёлке Ладва-Ветка сохранялись фрагменты вагонов узкой колеи, в том числе пассажирского вагона ПВ38.
Цитата из материала «Путешествие в Пай», автор — Р. Молочников (http://www.pereyezd.ru/print.php?type=A&item_id=11):
Через 6 километров — ещё один переезд с узкоколейкой из Ладвы Ветки. Но здесь тоже давно не было никакой УЖД, а по её трассе в обе стороны проложили хорошую грейдерную дорогу. Грейдер оказался свежим — кое-где его по-прежнему подсыпали, а в местах пересечения с ручьями-речушками были видны сдвинутые бульдозером в сторону остатки деревянных мостов УЖД.
При въезде в Ладву Ветку слева открылся большой лесозавод. Повсюду проглядывали узкоколейные артефакты: вагоны (точнее, кузова), среди которых наше внимание привлёк хорошо сохранившийся кузов редкого пассажирского вагона ПВ-38.
__________________________________________________________________________________________________
Пайская узкоколейная железная дорога. Начальный пункт — посёлок Пай, расположенный вблизи станции Пай на железнодорожной линии Лодейное Поле — Петрозаводск.

Узкоколейная железная дорога на топографической карте масштаба 1:500 000,
изданной в 1988 году (нанесена условно).

Узкоколейная железная дорога на топографической карте масштаба 1:200 000,
изданной в 1986 году (нанесена условно). Пайская узкоколейная железная дорога относилась к категории лесовозных, принадлежала Пайскому леспромхозу. Согласно отчётам бывшего Министерства лесной промышленности, первый участок узкоколейной железной дороги был открыт в 1949 году.
Главная линия узкоколейной железной дороги пролегала от посёлка Пай в северо-западном направлении. На ней имелся лесной посёлок Нюда.

«Комсомольская смена паровозной бригады Пайского леспромхоза». Газета «Ленинское знамя», 13 ноября 1948 года. Фото Г. Анкудинова. (Источник)
Узкоколейная железная дорога была полностью разобрана не позднее 1970-х годов.
__________________________________________________________________________________________________
Военно-полевая узкоколейная железная дорога в районе станции Пай. Начальный пункт — посёлок Пай, расположенный вблизи станции Пай на железнодорожной линии Лодейное Поле — Петрозаводск.

Узкоколейная железная дорога на топографической карте масштаба 1:500 000,
изданной в 1988 году (нанесена условно). Узкоколейная железная дорога на топографической карте масштаба 1:50 000, изданной в 1982 году (нанесена условно, показан только участок, расположенный к западу от Верхне-Свирского водохранилища)
По информации от Р. Молочникова, «Пай-Онежская» узкоколейная железная дорога была построена в 1942 году для нужд армии Финляндии (значительная часть нынешней республики Карелия в 1941-1944 годах находилась под оккупацией Финляндии. Узкоколейная железная дорога использовалась для строительства линии оборонительных сооружений к северу от реки Свирь.
Главная линия узкоколейной железной дороги пролегала по направлению Пай (название в период оккупации — Jyvenjoki) — побережье Онежского озера в районе населённого пункта Щелейки. Ширина колеи не установлена (возможно, 600 мм).
Перед отступлением финской армии в 1944 году узкоколейная железная дорога была разрушена, подвижной состав был приведён в негодность. После войны узкоколейная железная дорога не восстанавливалась. Позднее трасса узкоколейной железной дороги была частично затоплена «Ивинским разливом» Верхне-Свирского водохранилища.
http://www.pereyezd.ru/print.php?type=A&item_id=11 — «Путешествие в Пай», автор — Р. Молочников (описание поездки, предпринятой с целью изучения истории «Пай-Онежской» военно-полевой узкоколейной железной дороги)
__________________________________________________________________________________________________
Ревсельская (?) узкоколейная железная дорога. Начальный пункт — посёлок Ревсельга, расположенный вблизи станции Ревсельга на железнодорожной линии Лодейное Поле — Петрозаводск.

Узкоколейная железная дорога на топографической карте масштаба 1:200 000, изданной в 1986 году
(нанесена согласно обозначениям на карте, изданной в 1942 году). Узкоколейная железная дорога на топографической карте масштаба 1:200 000, изданной в 1942 году
Узкоколейная железная дорога, начальным пунктом которой был посёлок Ревсельга, являлась одной из старейших лесовозных узкоколейных железных дорог региона. Она была построена не позднее 1930-х годов.
Согласно топографической карте масштаба 1:200 000, изданной в 1942 году, протяжённость узкоколейной железной дороги составляла свыше 25 километров (имелись также разобранные участки протяжённостью около 15 километров). Почти на всём протяжении узкоколейная железная дорога пролегала по территории Ленинградской области, однако её начальный пункт, посёлок Ревсельга, находился в Карело-Финской ССР (ныне — республика Карелия).
Узкоколейная железная дорога был полностью разобрана не позднее 1960-х годов.
__________________________________________________________________________________________________
Виданская (Шуйско-Виданская) и Совдо-Сямозерская узкоколейные железные дороги. Начальный пункт Виданской узкоколейной железной дороги — посёлок Чална, расположенный вблизи станции Чална-Онежская на железнодорожной линии Петрозаводск — Суоярви, начальный пункт Совдо-Сямозерской узкоколейной железной дороги — посёлок Кудама, расположенный на берегу озера Сямозеро.
Узкоколейные железные дороги полностью разобраны. Период ликвидации: 1980-е годы.
__________________________________________________________________________________________________
Узкоколейная железная дорога на территории Шокшинских разработок треста «Карелгранит». Начальный пункт — посёлок Кварцитный.

Узкоколейная железная дорога на топографической карте
масштаба 1:50 000, изданной в 1967 году. Узкоколейная железная дороги и окрестности посёлка Кварцитный на топографической карте масштаба 1:50 000, изданной в 1967 году (северная часть), 1990 году (южная часть)
Узкоколейная железная дорога предназначалась для транспортировки камня от мест добычи до пристани. Согласно топографической карте масштаба 1:50 000, изданной в 1967 году, протяжённость узкоколейной железной дороги составляла немногим менее 1 километра.
Узкоколейная железная дорога была построена не позднее 1935 года.
http://cb-ru.photoxpress.ru/news_info.asp?news_id=447824 — «Каменотёсный цех Шокшинских разработок треста «Карелгранит», 1935 год
Узкоколейная железная дорога полностью разобрана. Ориентировочный период ликвидации — 1970-е годы.
__________________________________________________________________________________________________
Узкоколейная железная дорога на территории Онежских разработок диабаза. Начальный пункт — пристань Ропручей, расположенная вблизи села Рыбрека.

Узкоколейная железная дорога на топографической карте масштаба 1:200 000,
изданной в 1932 году.

Район местонахождения узкоколейной железной дороги на топографической карте
масштаба 1:50 000, изданной в 1981 году (узкоколейная
железная дорога не обозначена). Узкоколейная железная дорога связывала карьер по добыче диабаза с пристанью Ропручей на берегу Онежского озера. По информации от А. Соколова, основанной на архивных данных, узкоколейная железная дорога была открыта в 1926 году. По состоянию на 1927 год, на Онежской разработке диабаза имелось «свыше 3 км узкоколейного железнодорожного пути, два паровоза колеи 750 мм и платформы».
По неподтверждённым данным, узкоколейная железная дорога оставалась действующей в 1955 году. В то время на ней работал как минимум один мотовоз.
http://cb-ru.photoxpress.ru/news_info.asp?news_id=447674 — «Горнорудная промышленность», 1955 год (возможно, место съёмки — пристань Ропручей)
Узкоколейная железная дорога была полностью разобрана не позднее 1970-х годов. Причиной ликвидации узкоколейной железной дороги был переход на автомобильные перевозки.
ПРЯЖИНСКИЙ РАЙОН
Рельсовые пути узкой колеи на шахтах вблизи села Колатсельга. Местонахождение — окрестности села Колатсельга, расположенного на берегу озера Туломозеро.

Район местонахождения рельсовых путей узкой колеи на топографической карте
масштаба 1:200 000, изданной в 1994 году.

Район местонахождения рельсовых путей узкой колеи на топографической карте
масштаба 1:50 000, изданной в 1988 году. Вблизи озера Туломозеро находятся месторождения железной руды, известные с давних времён. С 1762 года по 1778 год близ устья реки Тулома (Тулемайоки) работал чугуноплавильный и железоделательный завод.
С 1899 года по 1902 год вблизи села Колатсельга работал Туломозерский чугуноплавильный завод. Для доставки железной дороги от мест добычи (шахт) до завода был проложена узкоколейная железная дорога (либо рельсовый путь узкой колеи, на котором применялась конная и ручная тяга, что представляется более вероятным). Рельсовый путь узкой колеи имел подземные и наземные участки.
Цитата из материала «Шахты Туломозеро (Рогосельга)» (http://sergeymmm.livejournal.com/2306.html):
Тулмозерский чугуноплавильный и железоделательный завод впервые был построен в устье реки Туломы в 1762 г. Он работал до 1778 г. и изготовлял до 10 тыс. пудов стали и железа в год. Его хозяевами были купцы — олонецкий И. Бармин и петербургский Митрофанов, угодившие, увы, после разорения в долговую яму.
Централизованные обследования местных запасов были проведены офицерами корпуса горных инженеров Н. Анушиным и Н. Комаровым (август 1838 г.). Уже в первые недели работы они обнаружили в местных породах «железный блеск». К началу следующего года было составлено геологическое описание окрестностей села, проведена опытная плавка — по всей вероятности, в такой же традиционной крестьянской домнице.
...
Вторично попытки возродить Туломозерский завод были предприняты в 1870-е гг., но он так и не заработал из-за недостатка средств у акционеров. Первоначальные владельцы перепродали право использования рудных запасов петербургскому акционерному обществу «Сталь», которое пустило его в эксплуатацию в 1899 г. Завод закрылся спустя три года в 1902 году. За это время он выплавил 518 866 пудов чугуна. Рудной базой являлись тулмозерские месторождения гематита, хотя для изготовления чугуна употреблялись также болотные и озерные железные руды.
Вспомнили о нем в конце 20-х. В стране начинался подъем индустриализации. В Карелии предстояло восстановить железоплавильное дело. А тут и строить-то ничего не надо — только расконсервировать старый завод. Этой идеей загорелся тогдашний Председатель Совнаркома республики Эдвард Гюллинг.
И вот в 1930-1931 годах на Туломозеро была отправлена геологоразведочная партия, руководимая Ю.С. Желубовским. Она производила геологическую съемку, исследование рудных залежей, подсчет их запасов. Они равнялись 200 тысячам тонн гематитовых руд. Итоги обследования легли в отчет, научные публикации. Было составлено расширенное промышленное задание с расчетами всех работ по добыче руды и возведению обогатительной фабрики.
Но задумкам этим не суждено было сбыться, поскольку экономика молодой республики была еще слаба. А ведь надо было развивать лесопромышленную отрасль, налаживать бумагоделательное производство. Там требовались тысячи специалистов и рабочих. К тому же вскоре Э. Гюллинга репрессировали...
В своем первозданном виде завод простоял до 1940 года. Местные жители говорили, что перед советско-финской войной все стекла здания были целы. В цехах находилось оборудование, а на воротах и дверях висели массивные замки. Финны, уходя отсюда, вывезли все оборудование, а заводские здания взорвали...
От XIX века остались карьеры и штольни, протянувшиеся на сотни метров, доступные и безопасные для посещения. Самым величественным памятником горнозаводской истории являются руины тулмозерского завода, построенного обществом «Сталь».
Сегодня эти руины производят впечатление средневекового замка, сложенного из диких валунов и красного каленого кирпича. Сохранились остатки литейного двора, шихтарника, известковые печи, подземные сводчатые воздуховоды и водоводы, бассейн, фрагменты плотины, по которой была проложена узкоколейка. Руины завода расположены на берегу разлива р. Колас, окружены лесными полянами.
На протяжении XX века неоднократно предпринимались попытки восстановить металлургическое производство вблизи Туломозера, однако они не имели успеха.
По состоянию на 2008 год, в окрестностях села Колатсельга сохранялись развалины металлургического завода, заброшенные штольни (подземные выработки) с сохранившимися участками рельсовых путей.
http://speleo.ucoz.ru/blog/2008-11-26-25 — история Туломозерских рудников, фотографии, сделаные в 2008 году

Схема расположения рудников в южной части месторождения, составленная в 1931 году (Источник)
__________________________________________________________________________________________________
Соддерская (?) узкоколейная железная дорога. Предполагаемый начальный пункт — посёлок Соддер.

Узкоколейная железная дорога на топографической карте масштаба 1:500 000,
изданной в 1988 году (нанесена условно). Узкоколейная железная дорога на топографической карте масштаба 1:50 000, изданной в 1989 году (нанесена условно)
По неподтверждённым данным узкоколейная железная дорога пролегала по направлению Новые Пески — Соддер — лесные массивы к юго-западу от посёлка Соддер. Главная станция узкоколейной железной дороги находилась в посёлке Соддер.
Основным доказательством версии существования узкоколейной железной дороги можно считать факт наличия Железнодорожной улицы в посёлке Соддер.
http://karelia.e-adres.ru/postcodes/3516675/ — упоминание Железнодорожной улицы в посёлке Соддер
Скорее всего, узкоколейная железная дорога была полностью разобрана в 1960-х годах. По направлению узкоколейной железной дороги проложена лесовозная автодорога.
ПУДОЖСКИЙ РАЙОН
Пяльмская узкоколейная железная дорога. Начальный пункт — станция Остречь, расположенная в посёлке Пяльма.
Узкоколейная железная дорога полностью разобрана. Дата ликвидации — 2003 год.
__________________________________________________________________________________________________
Кривецкая узкоколейная железная дорога. Начальный пункт — посёлок Кривцы, расположенный на левом берегу реки Водла.
Узкоколейная железная дорога полностью разобрана. Дата ликвидации — 2005 год.
__________________________________________________________________________________________________
Кубовская узкоколейная железная дорога. Начальный пункт — посёлок Кубово, расположенный на правом берегу реки Водла.
Узкоколейная железная дорога полностью разобрана. Дата ликвидации — 2000 год.
__________________________________________________________________________________________________
Водлинская узкоколейная железная дорога. Начальный пункт — посёлок Колово, расположенный на левом берегу реки Водла.

Узкоколейная железная дорога на топографической карте
масштаба 1:500 000, изданной в 1979 году.

Узкоколейная железная дорога на топографической карте
масштаба 1:500 000, изданной в 1995 году. Узкоколейная железная дорога на топографической карте масштаба 1:200 000, изданной в 1994 году
Начальным пунктом Водлинской узкоколейной железной дороги являлся посёлок Колово. Узкоколейная железная дорога являлась лесовозной, «сплавной».
По неподтверждённым данным, первый участок узкоколейной железной дороги был открыт в 1938 году. Позднее на 15-м километре магистрали появился лесной посёлок Сельгаручей (он был ликвидирован не позднее 1975 года).
На пике развития узкоколейной железной дороги её протяжённость составляла свыше 100 километров. Линии Водлинской узкоколейной железнодорожной дороги пролегали в непосредственной близости от линий Кривецкой узкоколейной железной дороги, однако единой сети дороги не составляли.
В начале 1990-х годов объём работы узкоколейной железной дороги сократился до минимума. В 1996 (?) году узкоколейная железная дорога была полностью разобрана.
СЕГЕЖСКИЙ РАЙОН
Полгинская узкоколейная железная дорога. Начальный пункт — посёлок Полга, расположенный на берегу озера Выгозеро.

Узкоколейная железная дорога на топографической карте масштаба 1:500 000,
изданной в 1988 году (нанесена условно). Узкоколейная железная дорога на топографической карте масштаба 1:200 000, изданной в 1994 году (обозначена разобранной, обозначена не полностью)
Полгинская узкоколейная железная дорога являлась лесовозной, «сплавной». Согласно отчётам бывшего Министерства лесной промышленности, первый участок узкоколейной железной дороги был открыт в 1938 году.
Магистраль узкоколейной железной дороги пролегала от посёлка Полга в юго-восточном направлении. Данными о протяжённости узкоколейной железной дороги автор не располагает.
Узкоколейная железная дорога была полностью разобрана не позднее 1970-х годов. По направлению магистрали узкоколейной железной дороги была проложена грунтовая автодорога.
__________________________________________________________________________________________________
Валдайская узкоколейная железная дорога. Начальный пункт — посёлок Валдай, расположенный на берегу озера Выгозеро.

Узкоколейная железная дорога на топографической карте масштаба 1:1 000 000,
изданной в 1994 году (нанесена условно).

Узкоколейная железная дорога на топографической карте масштаба 1:500 000,
изданной в 1987 году (западная часть), 1978 году (восточная часть). Узкоколейная железная дорога на топографической карте масштаба 1:200 000, изданной в 1994 году (обозначена разобранной, обозначена не полностью)
Валдайская узкоколейная железная дорога являлась лесовозной, «сплавной». Согласно отчётам бывшего Министерства лесной промышленности, первый участок узкоколейной железной дороги был открыт в 1948 году.
На магистрали узкоколейной железной дороги существовал лесной посёлок Вожмозеро (22 километра от Валдая). Протяжённость узкоколейной железной дороги на пике развития составляла не менее 80 километров.
По информации от А. Соколова, основанной на архивных материалах за 1955-1956 годы, в то время на Валдайской узкоколейной железной дороге лесхоза треста «Сегежлес» находилось 5 паровозов ПТ4, 2 паровоза ОП2, 2 мотовоза МУЗГ4. C 1968 (?) года работали мотовозы МД54-4. По неподтверждённым данным, имелись тепловозы ТУ4.
Узкоколейная железная дорога была полностью разобрана не позднее 1980-х годов.
__________________________________________________________________________________________________
Узкоколейная железная дорога на стройплощадке Надвоицкого алюминиевого завода. Местонахождение — посёлок Надвоицы, расположенный у станции Надвоицы на железнодорожной линии Петрозаводск — Кочкома.

Район местонахождения узкоколейной железной дороги на топографической карте масштаба 1:100 000,
изданной в 1985 году (узкоколейная железная дорога не обозначена). Надвоицкий алюминиевый завод является главным предприятием посёлка Надвоицы. Завод работает с 1954 года.
По информации от А. Соколова, основанной на материалах книги «Надвоицкий алюминиевый завод», при строительстве завода использовалась временная узкоколейная железная дорога. На ней находился по меньшей мере один мотовоз ДМ54.
Скорее всего, узкоколейная железная дорога была полностью разобрана после завершения строительства завода.
__________________________________________________________________________________________________
Идельская узкоколейная железная дорога. Возможный начальный пункт — посёлок Идель, расположенный вблизи станции Идель на железнодорожной линии Кочкома — Беломорск.

Возможная трасса узкоколейной железной дороги на топографической карте масштаба 1:200 000, изданной в 1994 году. По неподтверждённым данным, узкоколейная железная дорога пролегала от станции Идель в западном направлении. Узкоколейная железная дорога (в случае, если она когда-либо существовала) относилась к категории лесовозных.
Факт существования узкоколейной железной дороги не доказан.
__________________________________________________________________________________________________
Восточно-Идельская узкоколейная железная дорога. Начальный пункт — посёлок Восточный Идель, расположенный на правом берегу реки Выг (Беломорско-Балтийского канала).

Узкоколейная железная дорога на топографической карте масштаба 1:200 000,
изданной в 1994 году (нанесена условно). Начальным пунктом Восточно-Идельской узкоколейной железной дороги являлся посёлок Восточный Идель, расположенный в окрестностях станции Идель на железнодорожной линии Кочкома — Беломорск, на противоположном (восточном) берегу водохранилища реки Выг (Беломорско-Балтийского канала). Узкоколейная железная дорога была лесовозной, «сплавной».
По неподтверждённым данным, узкоколейная железная дорога существовала со времён строительства Беломорско-Балтийского канала (1930-е годы). Согласно отчётам бывшего Министерства лесной промышленности, первый участок узкоколейной железной дороги был открыт в 1938 году.
На узкоколейной железной дороге существовал лесной посёлок Ильино (расстояние от Восточного Иделя — 14 километров).
По информации от бывшего жителя посёлка Восточный Идель, решение о ликвидации посёлка было принято в 1965 году, к концу 1966 года посёлок был выселен, узкоколейная железная дорога была разобрана.
__________________________________________________________________________________________________
Вачская узкоколейная железная дорога. Предполагаемый начальный пункт — посёлок Вача.

Район местонахождения узкоколейной железной дороги на топографической карте масштаба 1:500 000,
изданной в 1940 году (узкоколейная железная дорога не обозначена).

Район местонахождения узкоколейной железной дороги на топографической карте
масштаба 1:500 000, изданной в 1985 году.

Район местонахождения узкоколейной железной дороги на топографической карте масштаба 1:200 000,
изданной в 1994 году (узкоколейная железная дорога не обозначена). Эта узкоколейная железная дорога относится к числу малоизвестных.
В 1940 году была открыта железнодорожная линия широкой колеи Кочкома — Вача, протяжённостью 41 километр. По неподтверждённым данным, посёлок Вача не всегда являлся конечным пунктом — на протяжении некоторого времени действовал (либо строился) участок Вача — Ругозеро.
На топографической карте масштаба 1:500 000, изданной в 1940 году, указана железнодорожная линия широкой колеи Кочкома — 13 километр (направление на Вачу). Возможно, в момент подготовки карты данные о трассировке линии на участке 13 километр — Вача не были получены картографами.
В период Великой Отечественной войны железнодорожная линия Кочкома — Вача была разрушена, в 1957 (?) году была восстановлена. По одной из версий, до 1957 года на участке Кочкома — Вача по насыпи разрушенной во время войны ширококолейной железнодорожной линии пролегала узкоколейная железная дорога.
По информации от А. Соколова, основанной на архивных материалах за 1955-1956 годы, на тот момент Вачская узкоколейная железная дорога действовала. Насчитывалось 4 паровоза ПТ4, 2 мотовоза МУЗг2. Начальный пункт узкоколейной железной дороги в документах указан не был. Скорее всего, узкоколейная железная дорога частично была проложена по насыпи недостроенного участка железнодорожной линии широкой колеи Вача — Ругозеро.
Находящийся в посёлке Вача лесопункт назывался Кучезерским. Это название происходит от озера Кучозеро (посёлок Вача находится в 2 километрах от его побережья).
В 1956 году при пожаре в вагоне рабочего поезда, следовавшего по Вачской узкоколейной железной дороге, погибли 26 человек. Причины этого трагического происшествия — провоз в вагоне бензина и отсутствие аварийных выходов.
Цитата из материала «Трудовые пятилетки Виктора Поснова», опубликованного в газете «Карелия», номер от 2 марта 2002 года (http://gov.karelia.ru/Karelia/870/13.html):
А Карелию мы выбрали на распределении вместе с приятелем. Так я оказался в тресте «Сегежлес», назначили меня в Кировский ЛПХ начальником Вачской УЖД.
И там вдруг предложили занять вакантную должность начальника отдела главного механика Кировского леспромхоза. Локомобили, краны, паровое хозяйство...
Всё это мне уже было знакомо, и я согласился. Случилось это в 1955 году, а через год произошла крупная авария на Кучезерском лесопункте: 26 человек сгорели на УЖД. Кто-то из них вёз бензин. Брошенный в темноте окурок воспламенил канистру. Посадили тогда главного инженера треста «Сегежлес», посадили начальников депо и УЖД...
Меня направили в этот лесопункт для укрепления старшим механиком, а затем года через полтора назначили начальником Кучезерского лесопункта Кировского ЛПХ. Внедряли мы в организацию производственного процесса всё по тем временам передовое, новое. К примеру, хлыстовую вывозку. Даже ночью вели валку леса, ведь заготавливать надо было довольно много — 220 тысяч кубов в год. Пришлось изучить на месте и тракторное, и автомобильное дело. Не отказывались и от конной тяги. Да ещё и лошадками вывозили лес.
Работу в лесопункте стал совмещать с учёбой в Ленинградской лесотехнической академии. Ведь лесное дело от железнодорожного по многим параметрам отличается, а я для себя уже тогда твердо решил связать свою судьбу с карельским лесом. За два года до окончания академии (окончил ее в 1961 году) перевёз в Вачу свою семью — супругу с трехмесячной дочкой... Но уже через год переехали в Сегежу.
Не позднее 1970-х годов узкоколейная железная дорога была полностью разобрана.
СОРТАВАЛЬСКИЙ РАЙОН
Узкоколейная железная дорога на карьерах вблизи посёлка Рускеала. Местонахождение — посёлок Рускеала.

Район местонахождения узкоколейной железной дороги на топографической карте
масштаба 1:50 000, изданной в 1989 году. В карьере, расположенном к северу от посёлка Рускеала, производится добыча мрамора. Карьер связан подъездным путём широкой колеи с узловой железнодорожной станцией Маткаселькя.
В период, когда карьер находился на территории независимой Финляндии (до 1939 года), в нём действовала узкоколейная железная дорога.
Цитата из материала «Радио «Зенит», опубликованного 06.10.2008 (http://www.radiozenit.ru/news/city/5983):
Петербургские светодизайнеры разработали уникальный проект для Карелии. Они смонтировали подсветку мраморного каньона Рускеала. С 18 века там добывали облицовочный мрамор для Петербургских дворцов. После затопления в 1939 году карьера финнами на дне осталось много интересного — узкоколейка, экскаваторы, конторские столы.
По неподтверждённым данным, после советско-финляндской войны 1939-1940 годов узкоколейная железная дорога не действовала. Добыча мрамора в Рускеале была восстановлена, однако в карьере использовались другие виды транспорта.
__________________________________________________________________________________________________
Узкоколейная железная дорога на острове Валаам (?). Возможное местонахождение — остров Валаам.

Район возможного местонахождения узкоколейной железной дороги на
топографической карте масштаба 1:200 000, изданной в 1994 году. По неподтверждённым данным, на острове Валаам действовал рельсовый путь узкой колеи, построенный в военных целях.
Рельсовый путь узкой колеи упоминается в книге писателя Кирилла Голованова «Матросы Наркомпроса» (М., издательство «Молодая Гвардия», 1974 год). «Матросы Наркомпроса» — художественное произведение, в значительной части созданное писателем на основе собственной биографии. Известно, что К. Голованов находился на Валааме летом 1941 года.
Скорее всего, короткий рельсовый путь предназначался для доставки боеприпасов от склада до береговой артиллерийской батарее. Скорее всего, рельсовый путь был не один.
Достоверность информации находится под сомнением.
СУОЯРВСКИЙ РАЙОН
Пийтсийокская узкоколейная железная дорога. Начальный пункт — посёлок Пийтсийоки, расположенный вблизи станции Пийтсийоки на железнодорожной линии Янисъярви — Суоярви.

Район местонахождения узкоколейной железной дороги на топографической карте масштаба 1:100 000,
изданной в Финляндии (состояние местности на 1930-е годы). Узкоколейная железная дорога,
станция и посёлок Пийтсийоки на карте отсутствуют.

Район местонахождения узкоколейной железной дороги на топографической карте масштаба 1:50 000,
изданной в 1988 году (узкоколейная железная дорога не обозначена).

Узкоколейная железная дорога на топографической карте масштаба 1:500 000,
изданной в 1988 году (нанесена условно). Узкоколейная железная дорога на топографической карте масштаба 1:200 000, изданной в 1994 году (обозначена разобранной, обозначена не полностью)
Начальным пунктом Пийтсийокской узкоколейной железной дороги являлся посёлок Пийтсийоки (Пийтсиёки). По информации от исследователя железных дорог из Финляндии Юкки Нурминена (Jukka Nurminen), узкоколейная железная дорога была построена во времена, когда район её местонахождения являлся частью независимой Финляндии. Первый участок узкоколейной железной дороги был открыт в 1936 году. К моменту нападения СССР на Финляндию (1939 год) протяжённость узкоколейной железной дороги составляла 14 километров.
После военных действий 1939-1940 и 1941-1944 годов узкоколейная железная дорога была восстановлена. В посёлке Пийтсийоки был создан Пийтсийокский леспромхоз (с конца 1960-х годов — лесопункт Суоярвского леспромхоза). Узкоколейная железная дорога получила официальное название «Пийтсийокская узкоколейная железная дорога». На неё стал поступать подвижной состав, изготовленный в СССР.
По информации от В. Булавцева, в 1960-х годах на узкоколейной железной дороге работали мотовозы МУЗГ4, ДМ54, тепловозы ТУ4. Протяжённость узкоколейной железной дороги составляла около 50 километров. Сведений о наличии лесных посёлков нет.
В 1970-х годах узкоколейная железная дорога была полностью разобрана. По направлению магистрали узкоколейной железной дороги была проложена грунтовая автодорога.
По состоянию на лето 2005 года, в посёлке Пийтсийоки фрагментарно сохранялись вагоны узкой колеи (деревянные крытые вагоны, пассажирский вагон ПВ40).
http://ru.wikipedia.org/wiki/Пийтсиёки — материал из «Википедии» (свободной энциклопедии)
__________________________________________________________________________________________________
Лахколаменская узкоколейная железная дорога. Начальный пункт — посёлок Лахколампи, расположенный вблизи станции Лахколамен на железнодорожной линии Суоярви — Юшкозеро.

Район местонахождения узкоколейной железной дороги на топографической карте масштаба 1:200 000,
изданной в 1994 году (узкоколейная железная дорога не обозначена). Лахколаменская узкоколейная железная дорога относилась к категории лесовозных, принадлежала Лахколаменскому (Лахколампинскому) леспромхозу. Первый участок узкоколейной железной дороги был открыт не позднее 1955 года.
Главная линия узкоколейной железной дороги, предположительно, пролегала от посёлка Лахколампи в северо-восточном направлении.
Узкоколейная железная дорога полностью разобрана. Ориентировочный период ликвидации — 1970-е годы.
Временные узкоколейные железные дороги на трассе строящейся Мурманской железной дороги. Начальные пункты неизвестны.
Строительство Мурманской железной дороги (Петрозаводск — Мурманск) началось весной 1915 года. В кратчайший срок полномасштабные строительные работы были развёрнуты на всей трассе будущей магистрали протяжённостью свыше 1000 километров. Необходимые для строительства грузы завозились водным путём — по Онежскому озеру, Белому морю, Баренцеву морю.
При строительстве Мурманской железной использовались временные узкоколейные железные дороги (рельсовые пути узкой колеи). На них массово применялась конная и ручная тяга, на отдельных участках работали паровозы.

«Строительство Мурманской железной дороги». 1915 год. Источник изображения — книга
«История железнодорожного транспорта России», том 1. Сведениями о количестве и протяжённости узкоколейных железных дорог автор не располагает. С достоверностью известно о наличии рельсовых путей узкой колеи вблизи станции Лижма (в настоящее время — Кондопожский район).
http://www.kondopoga.ru/hist/851-stancija-lizhma.html — фотографии строящейся дамбы, путей широкой и узкой колеи у станции Лижма, сделанные в 1915 году С.М. Прокудиным-Горским
30 ноября 1916 года на Мурманской железной дороге было открыто сквозное движение. Скорее всего, к этому моменту все временные узкоколейные железные дороги были разобраны.
04.03.2009 © [ДАННЫЕ УДАЛЕНЫ]
назад
на главную страницу

