ID: 6664
СУСОЛОВСКАЯ УЗКОКОЛЕЙНАЯ ЖЕЛЕЗНАЯ ДОРОГА СХЕМЫ И ТОПОГРАФИЧЕСКИЕ КАРТЫ
79

Узкоколейная железная дорога на топографической карте масштаба 1:500 000, изданной в 197? году.

Узкоколейная железная дорога на топографической карте масштаба 1:200 000, изданной в 1990 году.

Узкоколейная железная дорога на топографической карте масштаба 1:200 000, изданной в 2001 году.

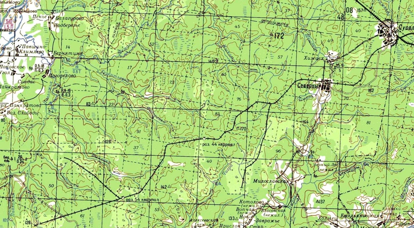
Узкоколейная железная дорога на топографической карте масштаба 1:100 000, изданной ориентировочно в 1990 году.
06.09.2007 © [ДАННЫЕ УДАЛЕНЫ]
«Сусоловская узкоколейная железная дорога»

