ID: 6069
ЖЕЛЕЗНОДОРОЖНАЯ ЛИНИЯ СОБЛАГО — ЗЕМЦЫ — ЖАРКОВСКИЙ — СМОЛЕНСК СХЕМЫ И ТОПОГРАФИЧЕСКИЕ КАРТЫ
305

Железнодорожная линия в атласе «Схемы
железных дорог и водных путей
сообщения СССР», изданном
в 1943 году.

Железнодорожная линия на оперативной карте
германской армии, составленной 29.02.1944.

Железнодорожная линия на оперативной карте
германской армии, составленной 19.08.1944.

Железнодорожная линия Земцы — Ломоносово в «Альбоме
схем железных дорог СССР», изданном Министерством
путей сообщения СССР в 1948 году.

Топографическая карта масштаба 1:200 000, изданная в 1941 году. Участок
Ломоносово — Смоленск обозначен как строящаяся железная дорога.

Железнодорожная линия на топографической карте масштаба 1:1 000 000
(в 1 сантиметре — 10 километров), изданной в 1988 году.

Железнодорожная линия на топографической карте масштаба 1:500 000 (в 1
сантиметре — 5 километров), изданной в 1980 году. На участках
Кривая — н.п. Вёртка и н.п. Береснево — Смоленское
Полукольцо железная дорога не обозначена.

Окрестности станции Земцы и бывшей станции Земцы II на топографической карте
масштаба 1:100 000, изданной в 1992 году.

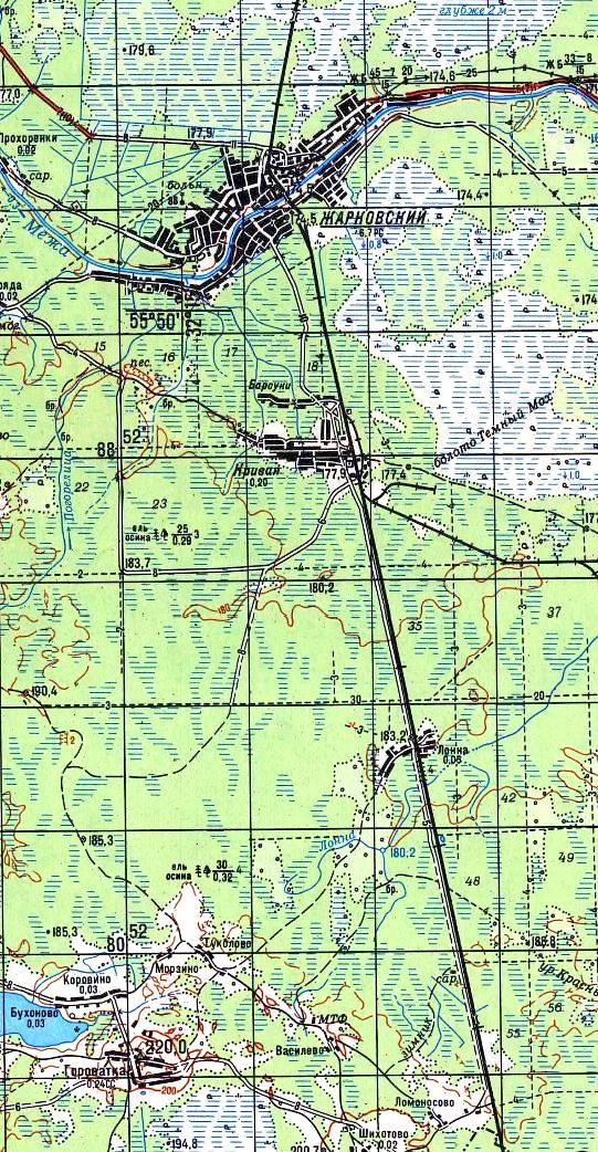
Участок Жарковский — Кривая — Ломоносово на топографической карте
масштаба 1:100 000, изданной в 1991 году.

Окрестности станций Сошно и Промышленная на топографической карте
масштаба 1:100 000, изданной в 1987 году.

Участок Смоленское Полукольцо — Валутино на топографической карте
масштаба 1:100 000, изданной в 1986 году.
18.12.2008 © [ДАННЫЕ УДАЛЕНЫ]
«Железнодорожная линия Соблаго — Земцы — Жарковский — Смоленск»

