ID: 5913
ИВАНОВСКАЯ УЗКОКОЛЕЙНАЯ ЖЕЛЕЗНАЯ ДОРОГА СХЕМЫ И ТОПОГРАФИЧЕСКИЕ КАРТЫ
79

Узкоколейная железная дорога на топографической карте масштаба 1:500 000.

Узкоколейная железная дорога на топографической карте масштаба 1:200 000 (фрагмент «регионального
атласа «Тверская область», выпущенного 439-й ЦЭВКФ им. Дунаева, 2-е издание, 2004 год).

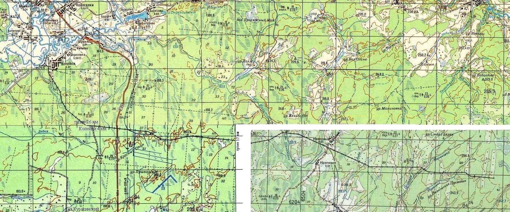
Узкоколейная железная дорога на топографической карте масштаба 1:100 000, изданной в 1991 году
(юго-восточный фрагмент относится к карте, изданной в 1980-х годах).
20.12.2008 © [ДАННЫЕ УДАЛЕНЫ]
«Ивановская узкоколейная железная дорога»

