ID: 5841
БУРЕПОЛОМСКАЯ УЗКОКОЛЕЙНАЯ ЖЕЛЕЗНАЯ ДОРОГА ТОПОГРАФИЧЕСКИЕ КАРТЫ
178

Узкоколейная железная дорога на карте масштаба 1:250 000, изданной в США в 1953 году.

Узкоколейная железная дорога на топографической карте
масштаба 1:500 000, изданной в 1989 году.

Узкоколейная железная дорога на топографической карте масштаба 1:200 000, изданной в 198? году.

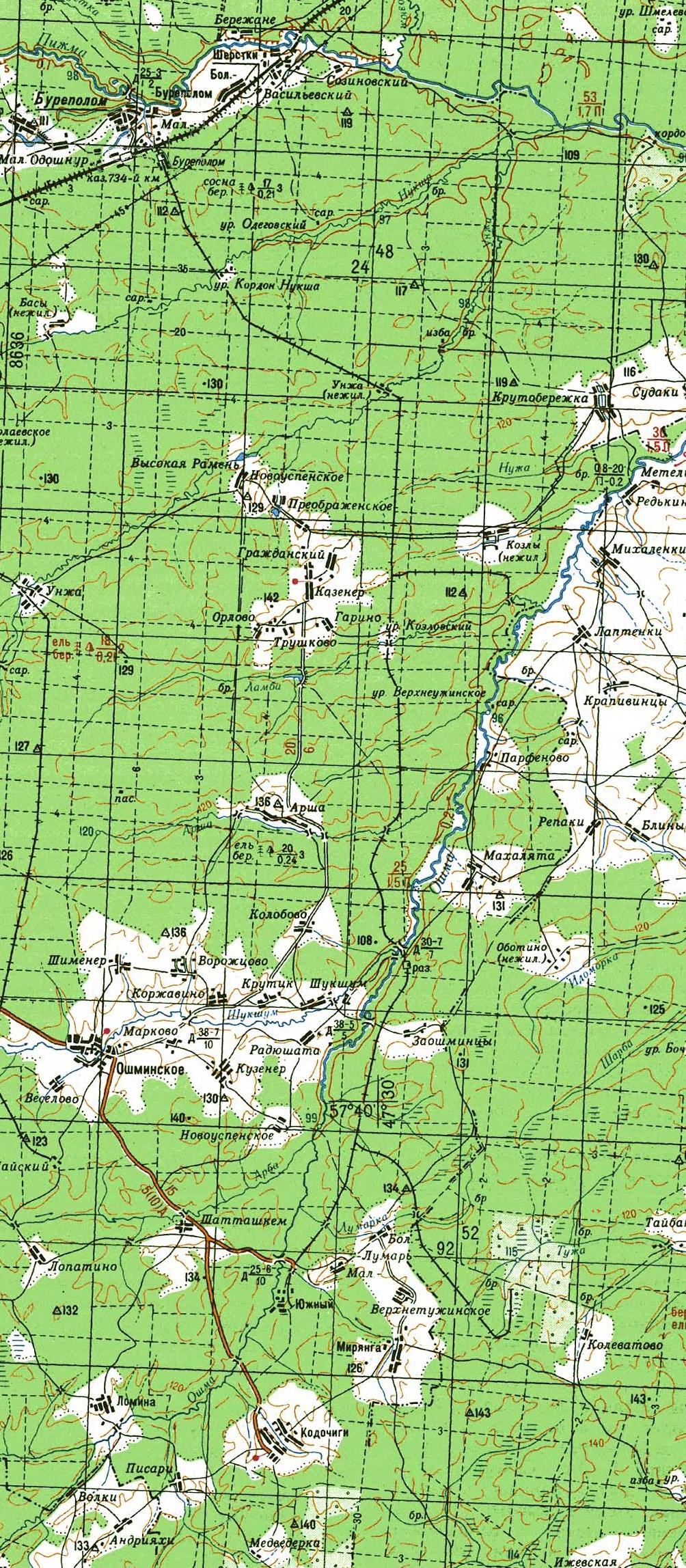
Узкоколейная железная дорога на топографической карте масштаба 1:200 000, изданной в 1994 году.

Узкоколейная железная дорога на топографической карте масштаба 1:100 000, изданной в 1978 году
(северо-западная часть), 1967 году (северо-восточная часть), 1990 году (южная часть).
02.01.2008 © [ДАННЫЕ УДАЛЕНЫ]
«Буреполомская узкоколейная железная дорога»

