ID: 5789
ЖЕЛЕЗНОДОРОЖНАЯ ЛИНИЯ БОГОЯВЛЕНСК — ЧЕЛНОВАЯ СХЕМЫ И ТОПОГРАФИЧЕСКИЕ КАРТЫ
83

Железнодорожная линия в атласе «Схемы железных дорог и водных путей сообщения СССР», изданном в 1943 году.

Железнодорожная линия в «Атласе железных дорог», изданном в 1993 году Омской картографической фабрикой.

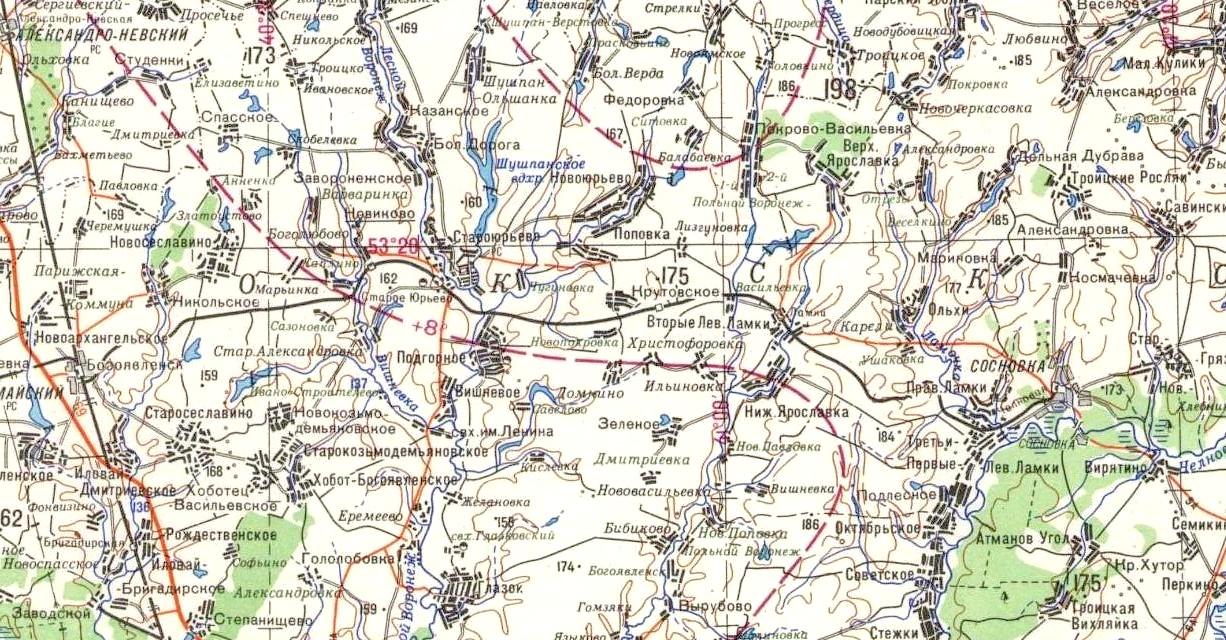
Железнодорожная линия на топографической карте масштаба 1:500 000 (в 1 сантиметре — 5 километров), изданной в 1987 году.
28.02.2020 © [ДАННЫЕ УДАЛЕНЫ]
«Железнодорожная линия Богоявленск — Челновая»

