ID: 5541
ЖЕЛЕЗНОДОРОЖНАЯ ЛИНИЯ ПЛОСКАЯ — ЧИСТИК
220
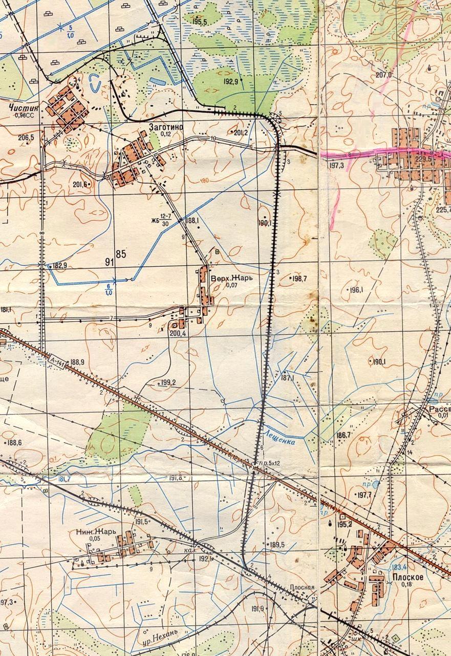
Протяжённость железнодорожной линии Плоская — Чистик составляла около 10 километров. Железнодорожная линия имела статус подъездного пути. Сведениями о его принадлежности автор не располагает.

Железнодорожная линия Плоская — Чистик на топографической карте
масштаба 1:200 000, изданной в 1986 году (обозначена автором).

Железнодорожная линия Плоская — Чистик на топографической карте масштаба 1:50 000, изданной в 198? году.
Железнодорожная линия Плоская — Чистик строилась Железнодорожными войсками Министерства Обороны СССР. Временное движение было открыто в 1970-х годах. По воспоминаниям одного из участников строительства, летом 1978 года уже осуществлялось движение до Чистика. Солдаты воинской части 83283 выполняли работы по строительству перегрузочной станции вблизи торфомассива. Известно о наличии на строительстве крана КДЭ-161 № 2108.
Считается, что линия строилась с целью обеспечения вывоза торфа, добытого торфопредприятием «Чистик», и завоза в посёлок Чистик необходимых грузов. Однако по воспоминаниям многих жителей прилегающих населённых пунктов, фактическим инициатором этого строительства являлось Министерство Обороны СССР. В районе насёленного пункта Рокот имелась воинская часть, относившаяся к войскам ПВО, там находились ракетные шахты. Железная дорога требовалась прежде всего для связи с воинской частью, именно этим объясняется факт её строительства Железнодорожными войсками и капитальный характер линии.
Качество искусственных сооружений на железнодорожной линии было высоким. На пересечении с автодорогой Смоленск — Витебск был построен железобетонный путепровод. При этом, магистральный участок Смоленск — Витебск (историческая Риго-Орловская железная дорога) до сих пор имеет рядом пересечение в одном уровне с той же автодорогой, что создаёт проблемы для автомобильного движения.

Путепровод. Вид на запад, в сторону Витебска.
07.2003
Конечным пунктом железнодорожной линии была территория торфобрикетного завода в Чистике, за два километра до неё находилась перегрузочная станция, имевшая значительное путевое развитие и капитальные постройки. Возможно, от этой станции имелась ветвь к воинской части.
Судьба железнодорожной линии оказалась печальной. Движения по ней практически не было. Организовать массовые перевозки торфа из Чистика не удалось. В 1990-х годах рельсы уже зарастали деревьями. Ракеты были уничтожены, шахты засыпаны, поэтому целесообразность сохранения железнодорожной линии из стратегических соображений исчезла.
Ориентировочная дата демонтажа рельсового пути — 1996 год. По состоянию на лето 2003 года, небольшие участки с сохранившимися рельсами оставались лишь на окраине посёлка Чистик.
__________________________________________________________________________ __________________________________________________________________________

Железнодорожная магистраль Смоленск — Витебск (историческая Риго-Орловская железная дорога)
вблизи остановочного пункта Плоская. Вид в сторону станции Рудня. Справа — сохранившиеся
шпалы на разобранной линии Плоская — Чистик.
07.2003

Станция Плоская. Главное здание.
07.2003

Разобранная линия Плоская — Чистик. Вид от путепровода через автодорогу Смоленск — Витебск.
07.2003

Путепровод. Вид со стороны Чистика в сторону станции Плоская.
07.2003

Сохранившиеся рельсы на автомобильном переезде (окраина посёлка Чистик).
07.2003
03.2004 © [ДАННЫЕ УДАЛЕНЫ]
назад
на главную страницу

Железнодорожная линия Плоская — Чистик на топографической карте
масштаба 1:200 000, изданной в 1986 году (обозначена автором).

Железнодорожная линия Плоская — Чистик на топографической карте масштаба 1:50 000, изданной в 198? году.
Железнодорожная линия Плоская — Чистик строилась Железнодорожными войсками Министерства Обороны СССР. Временное движение было открыто в 1970-х годах. По воспоминаниям одного из участников строительства, летом 1978 года уже осуществлялось движение до Чистика. Солдаты воинской части 83283 выполняли работы по строительству перегрузочной станции вблизи торфомассива. Известно о наличии на строительстве крана КДЭ-161 № 2108.
Считается, что линия строилась с целью обеспечения вывоза торфа, добытого торфопредприятием «Чистик», и завоза в посёлок Чистик необходимых грузов. Однако по воспоминаниям многих жителей прилегающих населённых пунктов, фактическим инициатором этого строительства являлось Министерство Обороны СССР. В районе насёленного пункта Рокот имелась воинская часть, относившаяся к войскам ПВО, там находились ракетные шахты. Железная дорога требовалась прежде всего для связи с воинской частью, именно этим объясняется факт её строительства Железнодорожными войсками и капитальный характер линии.
Качество искусственных сооружений на железнодорожной линии было высоким. На пересечении с автодорогой Смоленск — Витебск был построен железобетонный путепровод. При этом, магистральный участок Смоленск — Витебск (историческая Риго-Орловская железная дорога) до сих пор имеет рядом пересечение в одном уровне с той же автодорогой, что создаёт проблемы для автомобильного движения.

Путепровод. Вид на запад, в сторону Витебска.
07.2003
Конечным пунктом железнодорожной линии была территория торфобрикетного завода в Чистике, за два километра до неё находилась перегрузочная станция, имевшая значительное путевое развитие и капитальные постройки. Возможно, от этой станции имелась ветвь к воинской части.
Судьба железнодорожной линии оказалась печальной. Движения по ней практически не было. Организовать массовые перевозки торфа из Чистика не удалось. В 1990-х годах рельсы уже зарастали деревьями. Ракеты были уничтожены, шахты засыпаны, поэтому целесообразность сохранения железнодорожной линии из стратегических соображений исчезла.
Ориентировочная дата демонтажа рельсового пути — 1996 год. По состоянию на лето 2003 года, небольшие участки с сохранившимися рельсами оставались лишь на окраине посёлка Чистик.
__________________________________________________________________________ __________________________________________________________________________

Железнодорожная магистраль Смоленск — Витебск (историческая Риго-Орловская железная дорога)
вблизи остановочного пункта Плоская. Вид в сторону станции Рудня. Справа — сохранившиеся
шпалы на разобранной линии Плоская — Чистик.
07.2003

Станция Плоская. Главное здание.
07.2003

Разобранная линия Плоская — Чистик. Вид от путепровода через автодорогу Смоленск — Витебск.
07.2003

Путепровод. Вид со стороны Чистика в сторону станции Плоская.
07.2003

Сохранившиеся рельсы на автомобильном переезде (окраина посёлка Чистик).
07.2003
03.2004 © [ДАННЫЕ УДАЛЕНЫ]
назад
на главную страницу

