ID: 5040
УЗКОКОЛЕЙНАЯ ЖЕЛЕЗНАЯ ДОРОГА СТОЯНОВСКОГО ТОРФОБРИКЕТНОГО ЗАВОДА СХЕМЫ И ТОПОГРАФИЧЕСКИЕ КАРТЫ
86

Узкоколейная железная дорога на топографической карте масштаба 1:200 000, изданной в 1978 году.

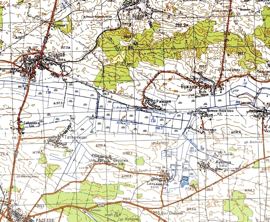
Узкоколейная железная дорога на топографической карте масштаба 1:100 000, изданной в 1992 году.

Узкоколейная железная дорога на спутниковых снимках, ориентировочная дата съёмки — 2014 год.

Узкоколейная железная дорога на служебной схеме торфопредприятия. Составлена ориентировочно в 1990-е годы.
По состоянию на 2013 год, изменений почти нет.
27.11.2018 © [ДАННЫЕ УДАЛЕНЫ]
«Узкоколейная железная дорога Стояновского торфобрикетного завода»

