ID: 5026
УЗКОКОЛЕЙНАЯ ЖЕЛЕЗНАЯ ДОРОГА СМЫЖСКОГО ТОРФОБРИКЕТНОГО ЗАВОДА СХЕМЫ И ТОПОГРАФИЧЕСКИЕ КАРТЫ
40

Узкоколейная железная дорога на топографической карте масштаба 1:200 000, изданной в 1980 году.
Частично обозначена автором, по состоянию на 2011 год.

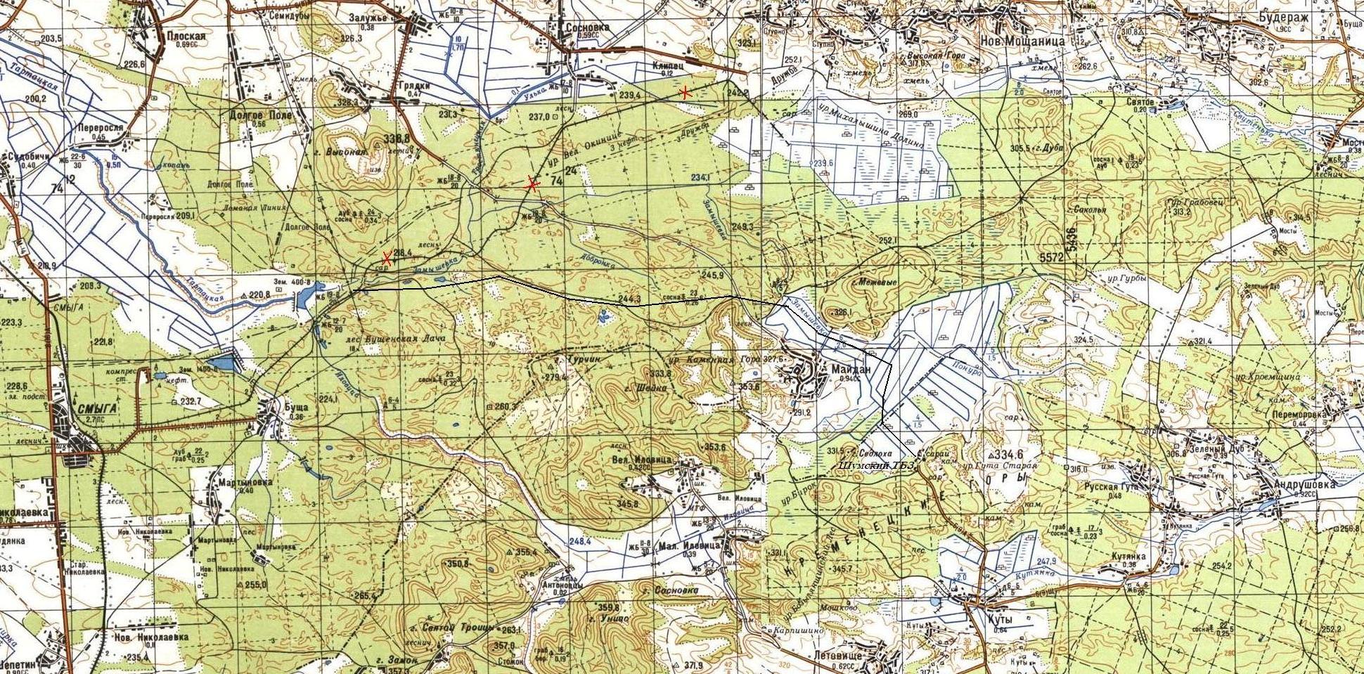
Узкоколейная железная дорога на топографической карте масштаба 1:100 000, изданной в 1995 году (западная часть), 1987 году (восточная часть).
Частично обозначена автором, по состоянию на 2011 год.
02.02.2020 © [ДАННЫЕ УДАЛЕНЫ]
«Узкоколейная железная дорога Смыжского торфобрикетного завода»

