ID: 4121
САХАЛИНСКАЯ УЗКОКОЛЕЙНАЯ ЖЕЛЕЗНАЯ ДОРОГА, УЧАСТОК ПОБЕДИНО — ПЕРВОМАЙСКОЕ СХЕМЫ И ТОПОГРАФИЧЕСКИЕ КАРТЫ
144

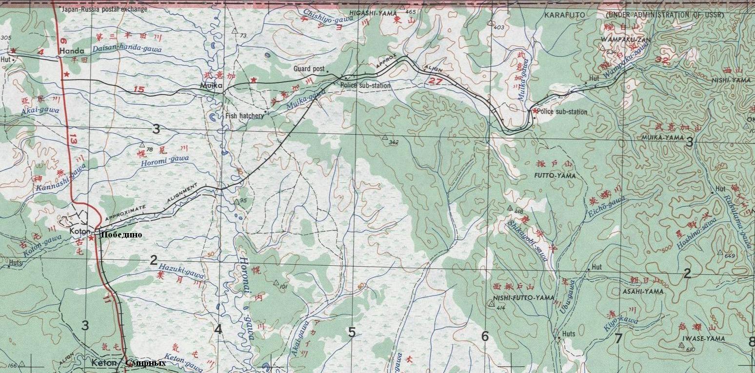
Узкоколейная железная дорога на карте масштаба 1:250 000, изданной в США в 1950-х годах (скорее всего, обозначена не полностью и (или) неправильно).
Несмотря на то, что карта издана после 1950 года, состояние местности соответствует довоенному времени (до августа 1945 года).
На всех картах, размещённых ниже, обозначена Муйская узкоколейная железная дорога (ширина колеи 750 мм), а не участок Победино — Первомайское Сахалинской узкоколейной железной дороги (ширина колеи 1067 мм).

Муйская узкоколейная железная дорога на карте масштаба 1:1 000 000, изданной в 1965 году (обозначена не полностью).

Муйская узкоколейная железная дорога на топографической карте масштаба 1:500 000, изданной в 1985 году.

Муйская узкоколейная железная дорога на топографической карте масштаба 1:200 000, изданной в 1986 году.
16.01.2007 © [ДАННЫЕ УДАЛЕНЫ]
«Сахалинская узкоколейная железная дорога, участок Победино — Первомайское»

