ID: 3299
УЗКОКОЛЕЙНАЯ ЖЕЛЕЗНАЯ ДОРОГА АЯТСКОГО ТОРФОПРЕДПРИЯТИЯ СХЕМЫ И ТОПОГРАФИЧЕСКИЕ КАРТЫ
193

Узкоколейная железная дорога на топографической карте масштаба 1:200 000, изданной в 1986 году.

Узкоколейная железная дорога на топографической карте масштаба 1:100 000, изданной в 1985 году.

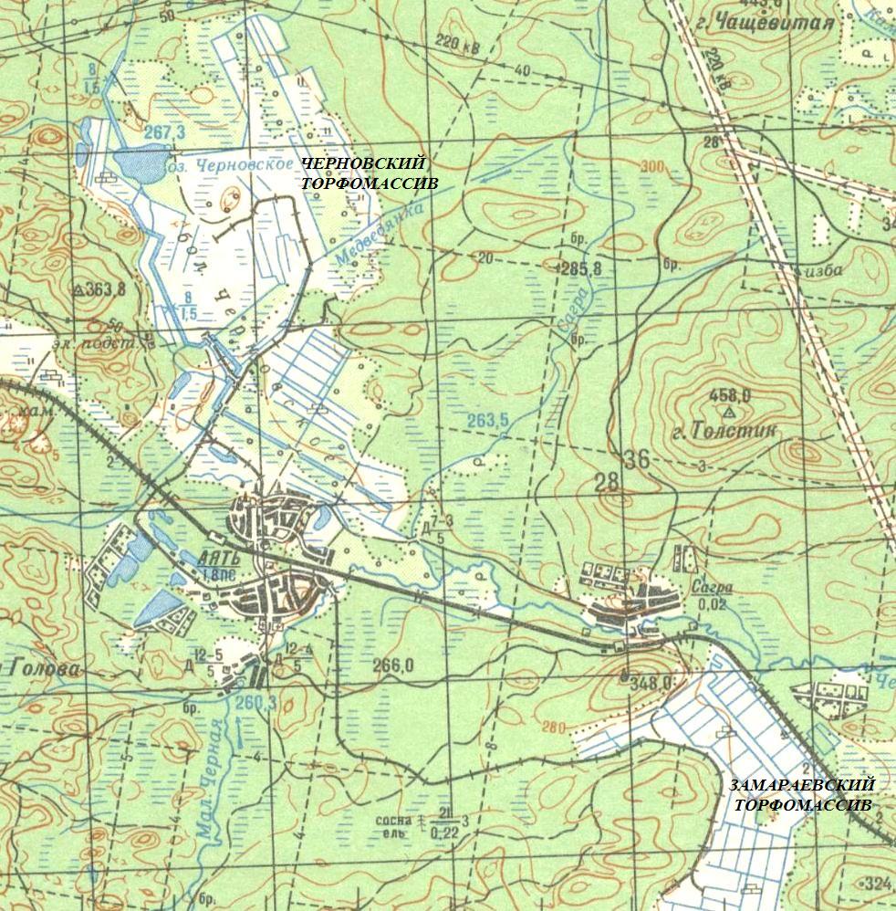
Узкоколейная железная дорога на топографической карте масштаба 1:50 000, изданной
в 1989 году (западная часть), 1985 году (восточная часть).
19.12.2011 © [ДАННЫЕ УДАЛЕНЫ]
«Узкоколейная железная дорога Аятского торфопредприятия»

