ID: 2683
ЖЕЛЕЗНОДОРОЖНАЯ ЛИНИЯ УГЛОВКА — БОРОВИЧИ СХЕМЫ И ТОПОГРАФИЧЕСКИЕ КАРТЫ
154

Железнодорожная линия в атласе «Схемы железных дорог и водных путей сообщения СССР», изданном в 1943 году.

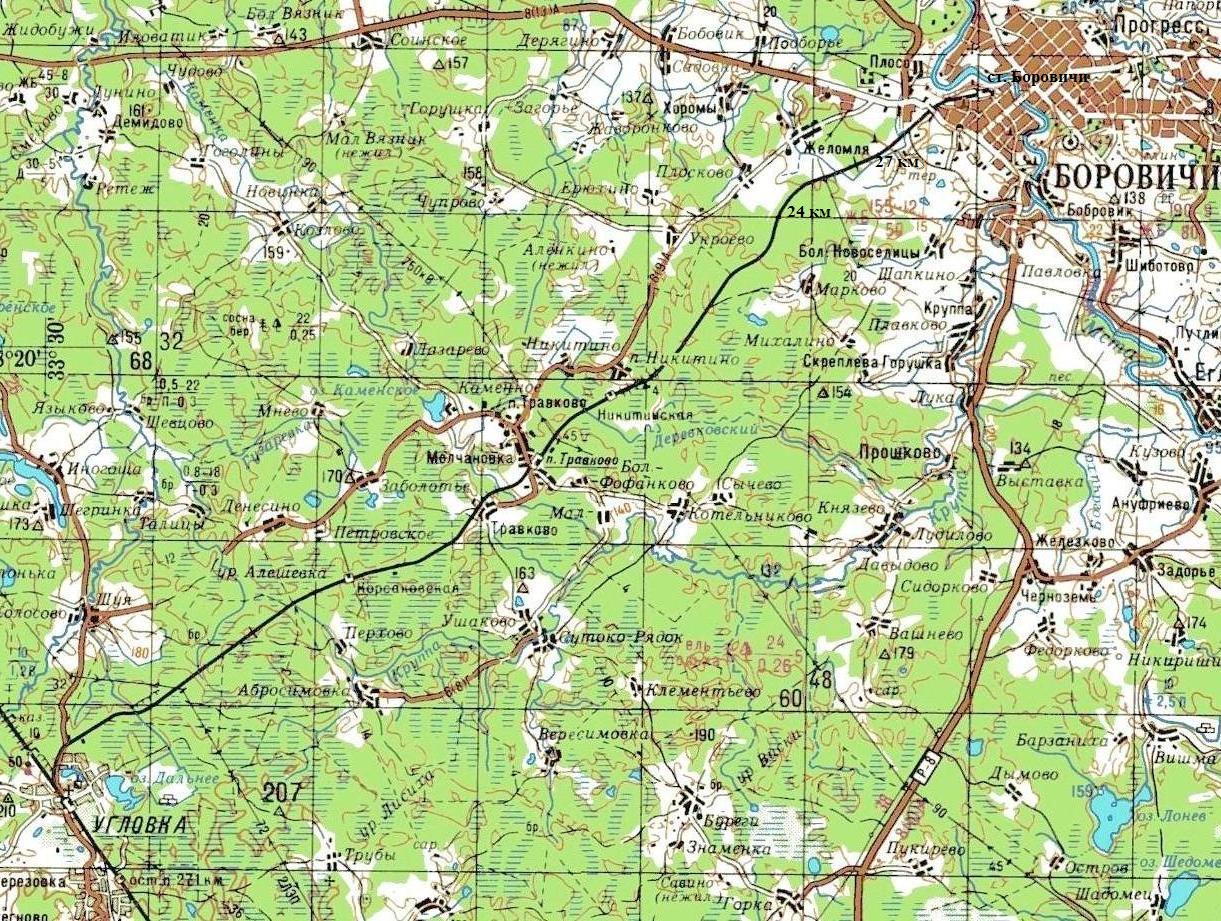
Железнодорожная линия на топографической карте масштаба 1:500 000, изданной в 1988 году.

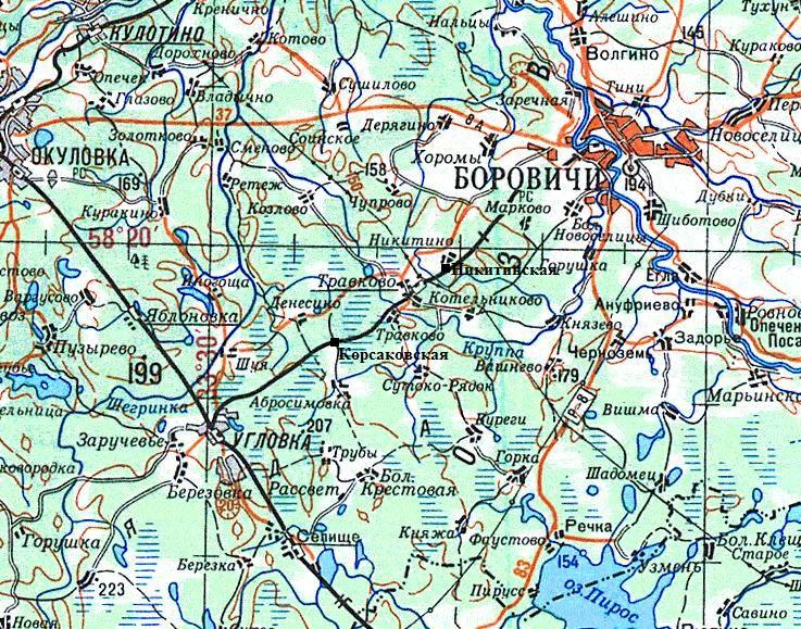
Железнодорожная линия на топографической карте масштаба 1:200 000, изданной в 1988 году.
05.01.2012 © [ДАННЫЕ УДАЛЕНЫ]
«Железнодорожная линия Угловка — Боровичи»

