ID: 1912
ЖЕЛЕЗНОДОРОЖНАЯ ЛИНИЯ ВЛАДИМИР — ТУМСКАЯ СХЕМЫ И ТОПОГРАФИЧЕСКИЕ КАРТЫ
303

Железнодорожная линия в атласе «Схемы железных дорог и
водных путей сообщения СССР», изданном в 1943 году.

Железнодорожная линия в атласе «Железные дороги СССР: направления и станции»,
изданном Главным управлением геодезии и картографии ГГК СССР в 1965 году.

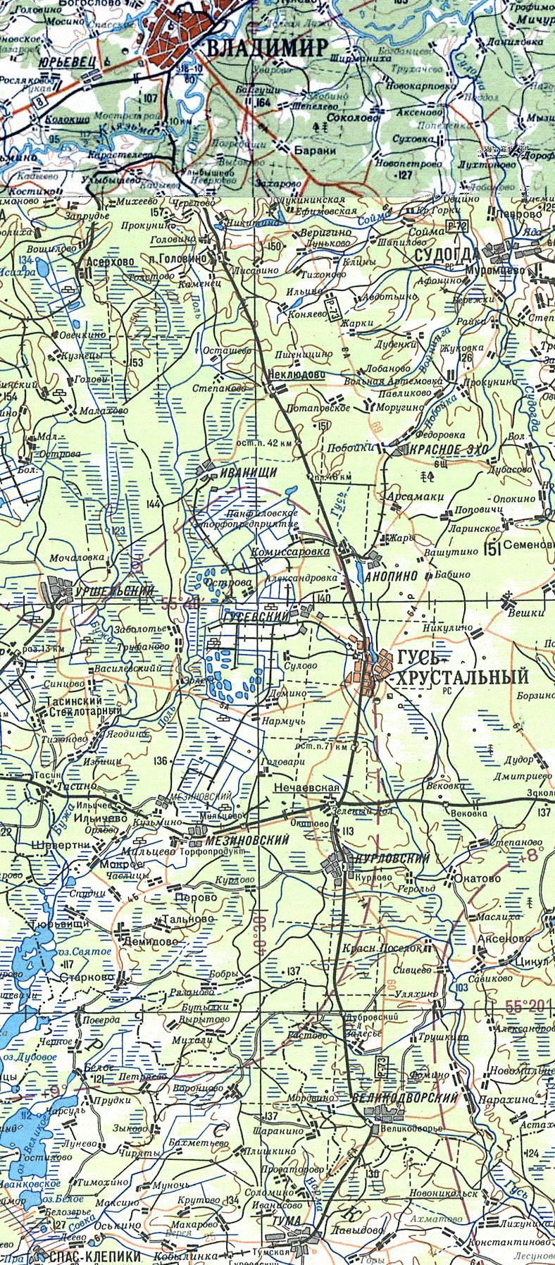
Железнодорожная линия на топографической карте масштаба 1:500 000, изданной
в 1987 году (основная часть), 1979 году (северная часть).
30.03.2007 © [ДАННЫЕ УДАЛЕНЫ]
«Железнодорожная линия Владимир — Тумская»

