ID: 1550
УЗКОКОЛЕЙНАЯ ЖЕЛЕЗНАЯ ДОРОГА ВЕРБИЛКИНСКОГО ФАРФОРОВОГО ЗАВОДА
455
Фарфоровый завод в нынешнем посёлке Вербилки был основан в 1766 году (по другим данным — в 1754 году) предпринимателем Ф. Гарднером. После революции 1917 года это предприятие было названо «Дмитровский фарфоровый завод». В 1991 году предприятие было акционировано и получило название «Вербилкинский фарфоровый завод» (ЗАО «Фарфор Вербилок»).
Фарфоровому заводу принадлежала узкоколейная железная дорога. Первоначально она использовалась в основном для доставки на завод торфа, затем — для межцеховых грузовых перевозок.
Ориентировочная дата открытия узкоколейной железной дороги — 1935 год. Основная линия, протяжённостью около 14 километров, соединила завод с Бельским торфомассивом, где был построен посёлок торфяников Бельское. Доставленный по узкоколейной железной дороге торф в то время был основным топливом на заводе и в котельных посёлка Вербилки.
Позднее участок узкоколейной железной дороги на территории завода и вблизи неё был электрифицирован. Электровозы выполняли мехцеховые грузовые перевозки. Известно о том, что на железнодорожном мосту через реку Дубну путь был электрифицирован. По одной версии, на правом (противоположном от завода) берегу Дубны электрификация заканчивалась в черте посёлка Вербилки, по другой версии, которая представляется спорной — была электрифицирована вся магистраль Вербилки — Бельское.
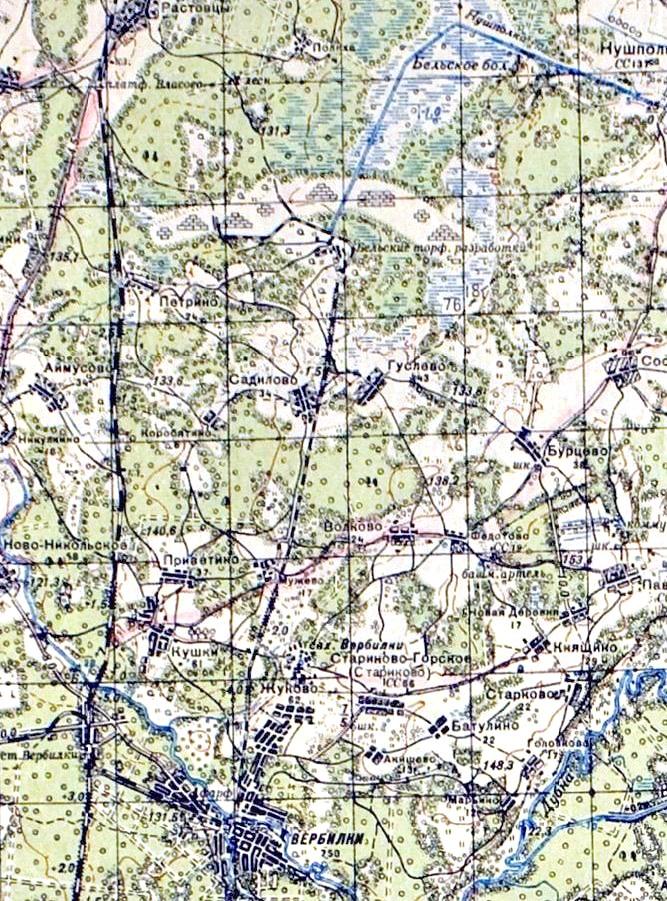
Узкоколейная железная дорога на топографической карте масштаба 1:200 000,
изданной ориентировочно в 1940 году.

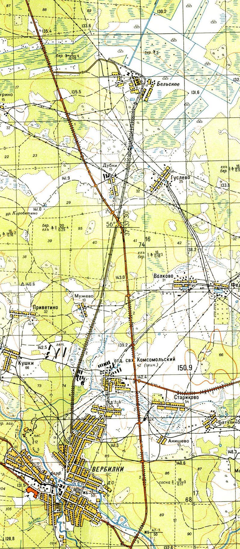
Узкоколейная железная дорога на топографической карте масштаба 1:100 000, изданной в 1941 году.

Узкоколейная железная дорога на карте масштаба 1:250 000,
изданной в США в 1954 году.
Ориентировочная дата ликвидации «торфовозной» линии узкоколейной железной дороги от посёлка Вербилки до торфомассива у посёлка Бельское — начало 1960-х годов. На топографической карте масштаба 1:50 000, изданной в 1965 году, узкоколейная железная дорога на Бельское показана разобранной.
Узкоколейная железная дорога на топографической карте масштаба 1:50 000, изданной в 1965 году
(показана частично, показана разобранной).
После ликвидации торфовозной линии Вербилки — Бельское узкоколейная железная дорога на протяжении нескольких десятилетий действовала в пределах территории фарфорового завода. Регулярное движение прекратилось в 1990-х годах.
Узкоколейная железная дорога на топографической карте масштаба 1:50 000, изданной
в 1965 году (обозначена автором, линия на Бельское не показана). По состоянию на 1995 год, пути на территории завода лежали, однако движения по ним, скорее всего, уже не было. Имелись вагоны, электровоз и по меньшей мере один мотовоз (МД54-4-1547).

Мотовоз МД54-4 на территории фарфорового завода, 1995 год (фото В. Миронова). (Источник: http://narrow.parovoz.com/pereslavl/expo/MD54_v_verbilkah.jpg).
В мае 1999 года мотовоз МД54-4-1547 был вывезен в Переславский железнодорожный музей-заповедник (Талицы, Ярославская область). Значительно более ценный с исторической точки зрения самодельный электровоз по необъяснимой причине не удостоился внимания сотрудников музея.
По состоянию на 2004 год, на территории завода ещё лежали рельсы, сохранялось некоторое количество вагонов и уникальный самодельный электровоз — один из самых «раритетных» образцов подвижного состава узкой колеи. Но о существовании этого электровоза почти никто не знал.
http://narrow.parovoz.com/newgallery/?ID=14879&LNG=RU,
http://narrow.parovoz.com/newgallery/?ID=14880&LNG=RU — самодельный электровоз на территории фарфорового завода, декабрь 2004 года
В 2007 году электровоз был порезан на металлолом. В близкий период времени были уничтожены остававшиеся на территории завода грузовые вагоны, разобраны межцеховые пути.
По состоянию на апрель 2009 года, короткий фрагмент рельсового пути сохранялся только на мосту через реку Якоть (эта линия когда-то соединяла фарфоровый завод с железной дорогой широкой колеи, заканчивающейся в нескольких сотнях метрах от завода).
14.04.2008 © [ДАННЫЕ УДАЛЕНЫ]
назад
«Узкоколейные железные дороги Московской области»
на главную страницу
Фарфоровому заводу принадлежала узкоколейная железная дорога. Первоначально она использовалась в основном для доставки на завод торфа, затем — для межцеховых грузовых перевозок.
Ориентировочная дата открытия узкоколейной железной дороги — 1935 год. Основная линия, протяжённостью около 14 километров, соединила завод с Бельским торфомассивом, где был построен посёлок торфяников Бельское. Доставленный по узкоколейной железной дороге торф в то время был основным топливом на заводе и в котельных посёлка Вербилки.
Позднее участок узкоколейной железной дороги на территории завода и вблизи неё был электрифицирован. Электровозы выполняли мехцеховые грузовые перевозки. Известно о том, что на железнодорожном мосту через реку Дубну путь был электрифицирован. По одной версии, на правом (противоположном от завода) берегу Дубны электрификация заканчивалась в черте посёлка Вербилки, по другой версии, которая представляется спорной — была электрифицирована вся магистраль Вербилки — Бельское.

Узкоколейная железная дорога на топографической карте масштаба 1:200 000,
изданной ориентировочно в 1940 году.

Узкоколейная железная дорога на топографической карте масштаба 1:100 000, изданной в 1941 году.

Узкоколейная железная дорога на карте масштаба 1:250 000,
изданной в США в 1954 году.
Ориентировочная дата ликвидации «торфовозной» линии узкоколейной железной дороги от посёлка Вербилки до торфомассива у посёлка Бельское — начало 1960-х годов. На топографической карте масштаба 1:50 000, изданной в 1965 году, узкоколейная железная дорога на Бельское показана разобранной.

Узкоколейная железная дорога на топографической карте масштаба 1:50 000, изданной в 1965 году
(показана частично, показана разобранной).
После ликвидации торфовозной линии Вербилки — Бельское узкоколейная железная дорога на протяжении нескольких десятилетий действовала в пределах территории фарфорового завода. Регулярное движение прекратилось в 1990-х годах.

Узкоколейная железная дорога на топографической карте масштаба 1:50 000, изданной
в 1965 году (обозначена автором, линия на Бельское не показана). По состоянию на 1995 год, пути на территории завода лежали, однако движения по ним, скорее всего, уже не было. Имелись вагоны, электровоз и по меньшей мере один мотовоз (МД54-4-1547).

Мотовоз МД54-4 на территории фарфорового завода, 1995 год (фото В. Миронова). (Источник: http://narrow.parovoz.com/pereslavl/expo/MD54_v_verbilkah.jpg).
В мае 1999 года мотовоз МД54-4-1547 был вывезен в Переславский железнодорожный музей-заповедник (Талицы, Ярославская область). Значительно более ценный с исторической точки зрения самодельный электровоз по необъяснимой причине не удостоился внимания сотрудников музея.
По состоянию на 2004 год, на территории завода ещё лежали рельсы, сохранялось некоторое количество вагонов и уникальный самодельный электровоз — один из самых «раритетных» образцов подвижного состава узкой колеи. Но о существовании этого электровоза почти никто не знал.
http://narrow.parovoz.com/newgallery/?ID=14879&LNG=RU,
http://narrow.parovoz.com/newgallery/?ID=14880&LNG=RU — самодельный электровоз на территории фарфорового завода, декабрь 2004 года
В 2007 году электровоз был порезан на металлолом. В близкий период времени были уничтожены остававшиеся на территории завода грузовые вагоны, разобраны межцеховые пути.
По состоянию на апрель 2009 года, короткий фрагмент рельсового пути сохранялся только на мосту через реку Якоть (эта линия когда-то соединяла фарфоровый завод с железной дорогой широкой колеи, заканчивающейся в нескольких сотнях метрах от завода).
14.04.2008 © [ДАННЫЕ УДАЛЕНЫ]
назад
«Узкоколейные железные дороги Московской области»
на главную страницу

