ID: 1259
ЖЕЛЕЗНОДОРОЖНАЯ ЛИНИЯ КРИВАНДИНО — РЯЗАНОВКА СХЕМЫ И ТОПОГРАФИЧЕСКИЕ КАРТЫ
84

Железнодорожная линия в «Альбоме схем железных дорог СССР», изданном Министерством
путей сообщения СССР в 1948 году. Показана на участке Кривандино — Сазоново.

Железнодорожная линия на административной карте «Московская область»,
изданной Главным управлением геодезии и картографии МВД СССР
в 1957 году. Конечным пунктом показана не Рязановка, а село
Радовицы, которое в то время являлось
«анклавом» Шатурского района.

Железнодорожная линия в «Атласе железных дорог СССР», изданном в 1975 году.

Железнодорожная линия в издании «Атлас. Железные дороги» (Омская картографическая фабрика, 2002 год).

Железнодорожная линия на карте масштаба 1:1 000 000, изданной в 1994 году.

Железнодорожная линия на топографической карте масштаба 1:500 000, изданной в 1987 году.

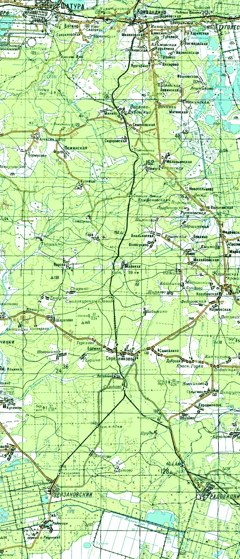
Железнодорожная линия на топографической карте масштаба 1:200 000, изданной в 1980 году (северная часть,
Кривандино — о.п. 29 км), 1984 году (южная часть, о.п. 29 км — Рязановка).
16.01.2010 © [ДАННЫЕ УДАЛЕНЫ]
«Железнодорожная линия Кривандино — Рязановка»

