ID: 102
УЗКОКОЛЕЙНАЯ ЖЕЛЕЗНАЯ ДОРОГА ТОРФОПРЕДПРИЯТИЯ «ПОЛИСТОВСКОЕ-2» СХЕМЫ И ТОПОГРАФИЧЕСКИЕ КАРТЫ
59

Узкоколейная железная дорога на топографической карте масштаба 1:500 000, изданной в 1994 году.

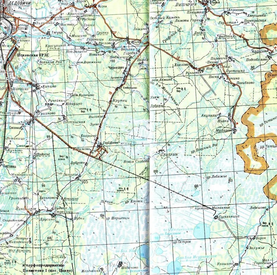
Узкоколейная железная дорога на топографической карте масштаба 1:200 000.
03.08.2008 © [ДАННЫЕ УДАЛЕНЫ]
«Узкоколейная железная дорога торфопредприятия «Полистовское-2»

